Tin đăng này đã hết hạn trên sosanhnha.com
Bạn có thể sử dụng công cụ tìm kiếm trên website để tìm những tin đăng mới nhất.
hoặc xem chi tiết tin
Có thể bạn quan tâm
Bán đất
Bán Lô Góc 2 Mặt Tiền 1 Sẹc Hoàng Diệu 2, Linh Trung, 118m2, Thổ Cư 95m2 Nhỉnh 12 Tỷ
12,8 tỷ
118m²
Đặc điểm
Mã tin
34231722
Cập nhật
15/12/2025
Loại tin
Bán đất
Mức giá
12,8 tỷ
Diện tích
118m²
Địa chỉ
Đường Hoàng Diệu 2, Phường Linh Trung, Thủ Đức, Hồ Chí Minh
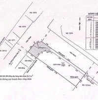
Bán lô góc 2 Mặt Tiền (Mã lô A4) 1 sẹc Hoàng Diệu 2, Linh Trung, Thủ Đức.
Diện tích: 5,8m x 21m.
- Công nhận 118m2. Thổ cư 95m2.
- Xây dựng tự do: Hầm + 5 tầng.
- Vị trí đẹp, cách đường Hoàng Diệu 2 đúng 50m, phù hợp xây Văn Phòng, Khách sạn, Căn Hộ dịch vụ...
Giá bán: 12.8 tỷ.
Liên hệ:
Hình ảnh
Diện tích: 5,8m x 21m.
- Công nhận 118m2. Thổ cư 95m2.
- Xây dựng tự do: Hầm + 5 tầng.
- Vị trí đẹp, cách đường Hoàng Diệu 2 đúng 50m, phù hợp xây Văn Phòng, Khách sạn, Căn Hộ dịch vụ...
Giá bán: 12.8 tỷ.
Liên hệ:
Đặc điểm nổi bật
Diện tích :
118m2
Giá :
12,8 tỷ
Có thể bạn quan tâm
-
bán đất ngang 6m tặng nhà c4 hxh thông thoáng vị trí đắc địa ngay hoàng diệu 2 linh trung thủ đức
6,5 tỷ 90m² Đường Số 7, Phường Linh Trung, Thành phố Thủ Đức, Hồ Chí Minh
-
bán gấp lô đất kế bên khu ẩm thực nai vàng phường linh trung thủ đức
5,9 tỷ 67m² Đường Số 10, Phường Linh Trung, Thủ Đức, Hồ Chí Minh
-
đất linh trung 68m, ngang 5.1m, khu dân cư yên tĩnh, giá 5.65 tỷ
5,6 tỷ 68m² Đường Linh Trung, Phường Linh Trung, Thủ Đức, Hồ Chí Minh
-
đất hiếm linh trung đường 8 gần ẩm thực nai vàng 5,8 tỷ tl
5,8 tỷ 68m² Đường Số 8, Phường Linh Trung, Thủ Đức, Hồ Chí Minh
-
lô đất full thổ hẻm xe tải đường 17 linh trung thủ đức, sổ hồng 160m giá đầu tư tốt
10 tỷ 160m² Phường Linh Trung, Thành phố Thủ Đức, Hồ Chí Minh
-
Bán 214m2 Đất thổ cư hẻm xe tải đường số 17 Linh Trung Thủ Đức, Bán Giá Rất Tốt
13 tỷ 214m² Đường số 17 phường Linh Trung quận Thủ Đức thành phố Hồ Chí Minh