Tin đăng này đã hết hạn trên sosanhnha.com Bạn có thể sử dụng công cụ tìm kiếm trên website để tìm những tin đăng mới nhất. hoặc xem chi tiết tin
Có thể bạn quan tâm Bán đất
Bán đất Lô Góc Dương Nội, Hà đông - 35,6m2 - Cách Aeon Mall 500m - Giá 5,35 Tỷ
bán đất lô góc dương nội, hà đông - 35,6m2 - cách aeon mall 500m - giá 5,35 tỷ
5,35 tỷ 35.6m²
Quận Hà Đông, Hà Nội
3 phút trước
Cần Bán Nhanh 50m2 đất Chúc Sơn, ô Tô đỗ Cửa. Giá Rẻ 3.1 Tỷ
Cần bán nhanh 50m2 đất Chúc Sơn, ô tô đỗ cửa. Giá rẻ 3.1 tỷ
Liên hệ
Huyện Chương Mỹ, Hà Nội
6 phút trước
Bán 65m2 Phượng Đồng, Phụng Châu. Đường ô Tô, Giá 3.25 Tỷ.
Bán 65m2 Phượng Đồng, Phụng Châu. Đường ô tô, giá 3.25 tỷ.
Liên hệ
Huyện Chương Mỹ, Hà Nội
21 phút trước

Chính Chủ Cần Bán đất Tổ 5 Yên Nghĩa .dt 50m Lô Góc Mt 4.5m Rộng Thoáng 30m Ra Trung Tâm Chợ Tổ 5,6

6,5 tỷ 50m²
Đặc điểm
Mã tin 34304877
Cập nhật 23/12/2025
Loại tin Bán đất
Mức giá 6,5 tỷ
Diện tích 50m²
Địa chỉ Phường Yên Nghĩa, Quận Hà Đông, Hà Nội
Thông tin chi tiết
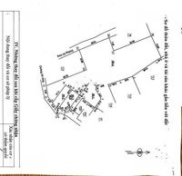
Lô đất vị trí cực đẹp tại chợ tổ 5 Yên Nghĩa. 10m ra chợ, 300m ra vành đai 4, bến xe, ga tàu điện
- Diện tích : 50m2
- Lô góc thoáng sáng. Mặt tiền rộng
- Giá chỉ 6.5 tỷ ( khách thiện chí là bán )
- Liên hệ :
Đặc điểm nổi bật
Diện tích :
50m2
Giá :
6,5 tỷ
Hình ảnh
Dịch vụ và tiện ích quanh đây:
Giáo dục Giáo dục Công viên Công viên Y tế Y tế Mua sắm Mua sắm Ngân hàng Ngân hàng
Công Ty Cổ Phần Năng Lượng Hiệu Quả 2.4 km Giang Chính, Hà Đông, Hà Nội
Cửa Hàng Thiết Bị Bảo Hộ Lao Động & Phòng Cháy Chữa Cháy 2.9 km 849 Đ. Quang Trung, La Khê, Hà Đông, Hà Nội
Cửa Hàng Bảo Hộ Lao Động 638 3.1 km 638 Đ. Quang Trung, La Khê, Hà Đông, Hà Nội
Công Ty Cổ Phần Đầu Tư Và Xuất Nhập Khẩu Y Tế Việt 3.9 km Số 368B Đ. Quang Trung, La Khê, Hà Đông, Hà Nội
Dịch vụ diệt côn trùng BioX 4.1 km Tòa 101 Usilk city, Khu đô thị Văn Khê, Hà Đông, Hà Nội
Phòng khám sức khoẻ 4.2 km 21, Khu đô thị Văn Phú, Hà Đông, Hà Nội
Công ty cổ phần đầu tư và sản xuất nội thất tân thịnh phát 4.4 km Ng. 22 Phố Ngô Quyền, La Khê, Hà Đông, Hà Nội 100000
Công Ty TNHH Giấy và Bao Bì Vipack 4.7 km 66 Lô CL29-04,05 khu đất, La Nội, Hà Đông, Hà Nội 10000
Nhà Thuốc Thúy Hằng 5.6 km 7 P. Lụa, Vạn Phúc, Hà Đông, Hà Nội
Nhà Thuốc 37 5.7 km 37 Đường Nguyễn Trãi, P. Nguyễn Trãi, Hà Đông, Hà Nội
Du học Bảo Anh - GMS 4.4 km Số 27, Liền kề 18, Khu đô thị Văn Khê, Hà Đông, Hà Nội 152261
Plastic Joint Stock Company Phu Hoa An 5.5 km 272 Hữu Hưng, Đai Mỗ, Hà Đông, Hà Nội 100000
Công ty TNHH Thương Mại Dược Phẩm Minh Quân 7.5 km LK3, Ngõ 67 Phùng Khoang, Trung Văn, Nam Từ Liêm, Hà Nội
Trọ của Na 8.3 km 19 Ng. 36 P. Miếu Đầm, Mễ Trì, Từ Liêm, Hà Nội
Thước Dây Không Gỉ Komelon 8.7 km 55 Ng. 214 Nguyễn Xiển, Tân Triều, Thanh Xuân, Hà Nội
Nhà Thuốc Tây Phương Linh 8.8 km 10 Ng. 214 Nguyễn Xiển, Hạ Đình, Thanh Xuân, Hà Nội
Nha khoa thẩm mỹ Seoul 8.8 km 237 Khuất Duy Tiến, Nhân Chính, Thanh Xuân, Hà Nội 100000
Nha khoa Việt Nga 9.2 km 30 Ngõ 58A Hoàng Đạo Thành, Kim Giang, Thanh Xuân, Hà Nội
Công Ty Tnhh Cntlaunch Giải Pháp Số 9.3 km Số 126 Ngõ 168 Đường Kim Giang, Đại Kim, Hoàng Mai, Hà Nội
Công ty cổ phần giáo dục và du lịch Vietkite 9.4 km P1006, Tòa nhà B6B, Hanoi City, Khu đô thị Nam Trung Yên, Cầu Giấy, Hà Nội 100000
Quầy Thuốc Thùy Dung Bán Lẻ Thuốc Thành Phẩm - Dụng Cụ Y Tế 4.4 km Đ. Liên Thôn, Cao Viên, Thanh Oai, Hà Nội
Nha Khoa Thẩm Mỹ 108 4.5 km 88 Hòa Sơn, TT. Chúc Sơn, Chương Mỹ, Hà Nội
Khoa Tim mạch - Lão học 5.1 km 2 Bế Văn Đàn, P. Quang Trung, Hà Đông, Hà Nội
Công Ty Cổ Phần Đầu Tư T&C Hà Nội 8.9 km 10A Khuất Duy Tiến, Thanh Xuân Trung, Thanh Xuân, Hà Nội
Cửa Hàng Tinh Hoa Thảo Dược 9.1 km 118, Hạ Đình, Quận Thanh Xuân, Thành Phố Hà Nội, Hạ Đình, Thanh Xuân, Hà Nội
Phòng Khám Chuyên Khoa Răng Hàm Mặt BS Đào Thu Hằng 9.3 km 198B Đ. Nguyễn Tuân, Nhân Chính, Thanh Xuân, Hà Nội
Trung tâm Ngoại ngữ ECE 9.5 km Ng. Số 7 Đ. Hoàng Minh Giám, Trung Hòa Nhân Chính, Thanh Xuân, Hà Nội
Viện Nghiên Cứu & Phát Triển Trung Tâm Nắng Mai 9.9 km 56 Khu Đô Thị Mỹ Đình 1, Cầu Diễn, Từ Liêm, Hà Nội
Gỗ nhựa 8.6 km Tân Triều, Thanh Trì, Hà Nội
Phòng Khám YHCT Khánh Thiện Đường 8.7 km 71 Ng. 116 Đ. Nguyễn Xiển, Thanh Xuân Nam, Thanh Xuân, Hà Nội
Giặt Là Minh Hải 9.6 km 32 Ngõ 168 Đường Kim Giang, Đại Kim, Hoàng Mai, Hà Nội
CCIC 9.8 km Yên Hoà, Cầu Giấy, Hà Nội
Răng Hàm Mặt 10 km 2 P. Lưu Hữu Phước, Mỹ Đình, Từ Liêm, Hà Nội
Có thể bạn quan tâm
Được đăng bởi:
Dauthanhthuy102
Dauthanhthuy102