Hàng Hot Tại Sông Xoài, Phú Mỹ, BRVT 452 M2

14,15 tỷ 452m²
Đặc điểm
Mã tin 31939360
Cập nhật 25/08/2025
Loại tin Bán đất
Mức giá 14,15 tỷ
Diện tích 452m²
Địa chỉ Sông Xoài, Phú Mỹ, Bà Rịa Vũng Tàu,Xã Sông Xoài, Thị xã Phú Mỹ, Bà Rịa Vũng Tàu
Thông tin chi tiết
Đất tại Sông Xoài, Phú Mỹ, Bà Rịa Vũng Tàu đang chờ đón những ai muốn đầu tư bất động sản.

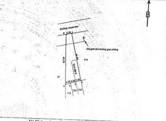
Đất công nhận trên sổ 452m² trong đó có 100m² thỗ cư

Đường nhựa ô tô rộng 5m xe hơi chạy thông thoáng. gần trục đường Võ văn Kiệt, chợ siêu thị.

Sống tại đây, không chỉ là đầu tư mà còn là tận hưởng cuộc sống với không gian thoáng đãng.

Đất thổ cư, tiện xây dựng, tạo cơ hội cho những dự án mơ ước.

Chớp lấy cơ hội này để tăng giá trị tài sản cá nhân.

https://maps.app.goo.gl/od4C5noU3kcba2ve6

Liên hệ ngay để không bỏ lỡ! Lê Hoài Nam 0918743369.
Hình ảnh
Dịch vụ và tiện ích quanh đây:
Y tế Y tế Mua sắm Mua sắm Công viên Công viên Ngân hàng Ngân hàng Giáo dục Giáo dục
THUỐC TÂY TIẾN DOAN 1.8 km Láng Lon, Châu Đức, Bà Rịa - Vũng Tàu 78614
Quầy Thuốc Dũng Kính 1.9 km Mỹ Xuân, Châu Đức, Bà Rịa - Vũng Tàu
EXO 2.9 km Suối Nghệ, Láng Lon, Châu Đức, Bà Rịa - Vũng Tàu
Quầy Thuốc Số 193 4 km Hắc Dịch - Tóc Tiên, Hắc Dịch, Tân Thành, Bà Rịa - Vũng Tàu
DV cho thuê xe Dương Ngọc 4.8 km Kp2, phường, TX phú mỹ, Bà Rịa - Vũng Tàu
Quấy Thuốc Tư Nhân Hà Linh 7 km Phú Mỹ, Tân Thành, Bà Rịa - Vũng Tàu
Phòng Khám Đa Khoa Vạn Tâm 8.2 km Châu Pha, Tân Thành, Bà Rịa - Vũng Tàu
Quầy Thuốc 239 9.9 km Ngãi Giao - Hòa Bình, Mỹ Xuân, Tân Thành, Bà Rịa - Vũng Tàu
Nhà thuốc Thuỵ Niên 9.9 km 31 Đường số 6, thôn Gio An, Châu Đức, Bà Rịa - Vũng Tàu
Quầy Thuốc Tây Thuận An 10 km Đường số 6, Suối Nghệ, Châu Đức, Bà Rịa - Vũng Tàu
Vườn nhà Uyên Vy 1.8 km Kp 1.F, Hắc Dịch, Tân Thành, Bà Rịa - Vũng Tàu
Vườn hoa 4 Lan 2.2 km Láng Lon, Châu Đức, Bà Rịa - Vũng Tàu
Siêu Thị Sữa - BHG Mart.com 3.9 km Ấp 2, Tân Thành, Bà Rịa - Vũng Tàu
Siêu thị Bách hoá XANH Trảng Cát 7.2 km Khu Phố Trảng Cát Phường, Tân Thành, Bà Rịa - Vũng Tàu
Công ty TNHH ĐTTM & DV NHẬT LONG 7.3 km Đường Mỹ Xuân - Tóc Tiên, Ấp 5, Tân Thành, Bà Rịa - Vũng Tàu
Chợ Châu Pha , Tân Thành, Bà Rịa -Vũng Tàu 8.5 km Unnamed Road, Tân Thành, Bà Rịa - Vũng Tàu
Lô Tô 8.8 km Unnamed Road, Cù Bị, Châu Đức, Bà Rịa - Vũng Tàu
Vựa Hải Sản Tươi Sống Mãi Phát 9.4 km 31 Ngô Quyền, TT. Ngãi Giao, Châu Đức, Bà Rịa - Vũng Tàu
Công an xã Kim Long 9.9 km Thôn Hưng Long, Châu Đức, Bà Rịa - Vũng Tàu
Siêu thị Bách hoá XANH 576 Ấp Trung Sơn 9.9 km 576 Ấp Trung Sơn, Suối Nghệ, Châu Đức, Bà Rịa - Vũng Tàu
Tý châu xe hợp đồng 3.2 km Hắc Dịch, Tân Thành, Bà Rịa - Vũng Tàu
Bida Hoàng Phúc 4.1 km Mỹ Xuân - Ngãi Giao, Tân Thành, Bà Rịa - Vũng Tàu
thuê xe hắc dịch 4.7 km kp5/26a, Tân Hạnh, Hắc Dịch, Tân Thành, Bà Rịa - Vũng Tàu 790000
nhà kho 5.3 km Unnamed Road, Tóc Tiên, Tân Thành, Bà Rịa - Vũng Tàu
Xe Khách Sơn Trọng 5.8 km Kim Long, Châu Đức, Bà Rịa - Vũng Tàu
Vườn cỏ ven hồ Suối Nhum 8.1 km Hắc Dịch, Tân Thành, Bà Rịa - Vũng Tàu
Điểm Gửi Xe NA 8.4 km Tân Ninh, Tân Thành, Bà Rịa - Vũng Tàu
Nhà thương cường 8.9 km Cù Bị, Châu Đức, Bà Rịa - Vũng Tàu
Khu Vui Chơi Giải Trí THỎ NGỌC 9.7 km Suối Nghệ, Châu Đức, Bà Rịa - Vũng Tàu
Khu vui chơi châu pha 9.8 km Tân Sơn, Tân Thành, Bà Rịa - Vũng Tàu
Ngân Hàng Chính Sách Xã Hội Huyện Tân Thành (Vbsp) - Đgd Xã Hắc Dịch 4.1 km Ngãi Giao - Hòa Bình, Hắc Dịch, Tân Thành, Bà Rịa - Vũng Tàu
PGD BIDV CHI NHÁNH PHÚ MỸ 5 km Hắc Dịch, Tân Thành, Bà Rịa - Vũng Tàu
PGD Tân Thành - CN Phú Mỹ - Ngân hàng TMCP Đầu tư & Phát triển Việt Nam (BIDV) 5 km Ấp 2, phường, Tân Thành, Bà Rịa - Vũng Tàu 790000
Ngân hàng Nông nghiệp & Phát triển Nông thôn - Agribank 9.4 km Ngô Quyền, TT. Ngãi Giao, Châu Đức, Bà Rịa - Vũng Tàu
PGD Châu Đức - CN Phú Mỹ - Ngân hàng TMCP Đầu tư & Phát triển Việt Nam (BIDV) 9.6 km Số 26-28 Đ. Lê Lợi, Thị Trấn Ngãi Giao, Huyện Châu Đức , Bà Rịa Vũng Tàu, Ngãi Giao, Châu Đức, Bà Rịa–Vũng Tàu, Bà Rịa - Vũng Tàu 790000
Ngân Hàng Chính Sách Xã Hội huyện Châu Đức, tỉnh Bà Rịa - Vũng Tàu 9.7 km 84 Hoàng Hoa Thám, TT. Ngãi Giao, Châu Đức, Bà Rịa - Vũng Tàu
ATM Bidv 9.8 km Trần Hưng Đạo, TT. Ngãi Giao, Châu Đức, Bà Rịa - Vũng Tàu
Kho bạc Nhà nước huyện Châu Đức 9.8 km Lê Hồng Phong, TT. Ngãi Giao, Châu Đức, Bà Rịa - Vũng Tàu
Hdbank Châu Đức 10 km 45 Lê Hồng Phong, TT. Ngãi Giao, Châu Đức, Bà Rịa - Vũng Tàu
Mầm Non Huy Hoàng 4.2 km Hắc Dịch, Tân Thành, Bà Rịa - Vũng Tàu
Mầm non Hướng Dương 5.9 km Hắc Dịch, Tân Thành, Bà Rịa - Vũng Tàu
900m Hac Dich 6.9 km Unnamed Road, Hắc Dịch, Tân Thành, Bà Rịa - Vũng Tàu
Mầm Non Nhật Minh 7.4 km Mỹ Xuân - Ngãi Giao, Tân Thành, Bà Rịa - Vũng Tàu
Trường tiểu học Nguyễn Công Trứ 7.6 km khu phố Trảng Cát, phường, Tân Thành, Bà Rịa - Vũng Tàu
Thầy Tùng Toán THCS Châu Đức 9.7 km 136 Điện Biên Phủ, TT. Ngãi Giao, Châu Đức, Bà Rịa - Vũng Tàu
Từ Vân Thích Nữ An Tánh 9.8 km Bình Ba, Châu Đức, Bà Rịa - Vũng Tàu
Trường Tiểu Học Ngãi Giao 9.9 km 149 Trần Hưng Đạo, TT. Ngãi Giao, Châu Đức, Bà Rịa - Vũng Tàu
Kindergarten Sunshine 9.9 km Hoàng Hoa Thám, TT. Ngãi Giao, Châu Đức, Bà Rịa - Vũng Tàu
MÁI ẤM TÌNH THƯƠNG LONG QUANG 10 km 40 Hoàng Hoa Thám, TT. Ngãi Giao, Châu Đức, Bà Rịa - Vũng Tàu
Có thể bạn quan tâm
Được đăng bởi:
Hoài Nam Lê
Hoài Nam Lê