Tin đăng này đã hết hạn trên sosanhnha.com
Bạn có thể sử dụng công cụ tìm kiếm trên website để tìm những tin đăng mới nhất.
hoặc xem chi tiết tin
Có thể bạn quan tâm
Bán đất nền dự án
220m2 Tại Pg An đồng, An đồng, An Dương đường Nhựa 10m
7,7 tỷ
220m²
Đặc điểm
Mã tin
34424044
Cập nhật
12/01
Loại tin
Bán đất nền dự án
Mức giá
7,7 tỷ
Diện tích
220m²
Địa chỉ
PG An Đồng, Phường An Đồng, An Dương, Hải Phòng
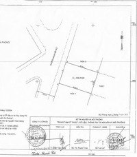
Hàng hiếm 220m2 tại PG An Đồng, An Đồng, An Dương đường nhựa 10m.
Diện tích: 220m2. Ngang: 12m
Hướng: Tây Bắc Đường: 10m thông các ngả
Dân cư đông đúc, cơ sở hạ tầng đồng bộ, gần Aura, TTTM Nam Long
Giá: 35tr/m2
--------------------------------------------------
Nhận tư vấn nhà - đất thổ cư tại An Dương,
- vui lòng liên hệ SĐT: em Vương để đc xem thêm các sp cùng khu vực.
Thông tin người bán
Hình ảnh
Diện tích: 220m2. Ngang: 12m
Hướng: Tây Bắc Đường: 10m thông các ngả
Dân cư đông đúc, cơ sở hạ tầng đồng bộ, gần Aura, TTTM Nam Long
Giá: 35tr/m2
--------------------------------------------------
Nhận tư vấn nhà - đất thổ cư tại An Dương,
- vui lòng liên hệ SĐT: em Vương để đc xem thêm các sp cùng khu vực.
Thông tin người bán
Đặc điểm nổi bật
Diện tích :
220m2
Mặt tiền :
12m
Giá :
7,7 tỷ
Đường vào :
10m
Có thể bạn quan tâm
-
lô đất diện tích 201m2 tại pg an đồng, an dương đường thông 12m. diện tích: 201,9m2. ngang: 11m
8,07 tỷ 201.9m² Dự án PG An Đồng, Phường An Đồng, An Dương, Hải Phòng
-
chỉ 20tr/m2 đất 215,3m2 pg an đồng, tdp trang quan, an đồng, hải phòng
4,31 tỷ 215.3m² Dự án PG An Đồng, Phường An Đồng, An Dương, Hải Phòng
-
lô đất biệt thự pg an đồng giá cực tốt dt 440m2 - mt 13m - đường 13m - 2 mặt đường - 21tr/m2
9,25 tỷ 440.3m² Dự án PG An Đồng, Đường Nguyễn Văn Linh, Phường An Đồng, An Dương, Hải Phòng
-
ngay pg an đồng 150m2, ngang 7,5m2 giá chỉ 38tr/m2, xây biệt thự cực đẹp
5,7 tỷ 150m² An Đồng, An Dương, Hải Phòng