Tin đăng này đã hết hạn trên sosanhnha.com
Bạn có thể sử dụng công cụ tìm kiếm trên website để tìm những tin đăng mới nhất.
hoặc xem chi tiết tin
Có thể bạn quan tâm
Bán đất
5 Lô đất Mặt Tiền đường Cây Keo Tam Phú Cực Hiếm Và đẹp 80m2 Giá Chỉ Từ 7,8 Tỷ/ Lô, Gọi Ngay Cho Em
7,8 tỷ
80m²
Đặc điểm
Mã tin
33953857
Cập nhật
06/11
Loại tin
Bán đất
Mức giá
7,8 tỷ
Diện tích
80m²
Địa chỉ
Đường Cây Keo, Phường Tam Phú, Thủ Đức, Hồ Chí Minh
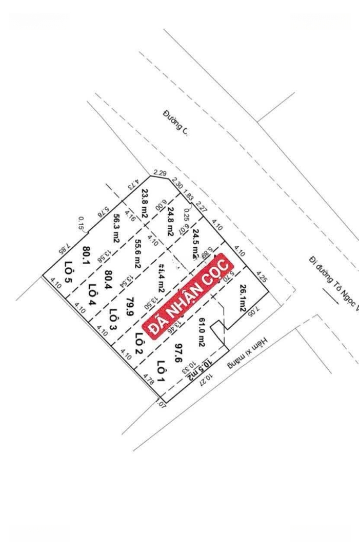
Đất mặt tiền Cây Keo, P.Tam Phú, TP.Thủ Đức.
- Lô 1 là 2 mặt tiền có thêm 22m2 đất giấy tay làm cho miếng đất vuông vức.
- Giá 9,4 Tỷ.
- Lô 2,3,4,5 = 7,8 Tỷ.
- Tất cả đã có sổ riêng công chứng mua bán hỗ trợ ngân hàng.
ANH CHỊ QUAN TÂM GỌI CHO EM SỐ : HÙNG !
Hình ảnh
- Lô 1 là 2 mặt tiền có thêm 22m2 đất giấy tay làm cho miếng đất vuông vức.
- Giá 9,4 Tỷ.
- Lô 2,3,4,5 = 7,8 Tỷ.
- Tất cả đã có sổ riêng công chứng mua bán hỗ trợ ngân hàng.
ANH CHỊ QUAN TÂM GỌI CHO EM SỐ : HÙNG !
Đặc điểm nổi bật
Diện tích :
80m2
Mặt tiền :
4.1m
Giá :
7,8 tỷ
Đường vào :
10m
Có thể bạn quan tâm
-
bán đất 5,8x19m góc 2 mặt tiền đường cây keo, tam phú, thủ đức giá 9,5 tỷ
9,5 tỷ 122.6m² Đường Cây Keo, Phường Tam Phú, Thủ Đức, Hồ Chí Minh
-
bán đất, 300m2 (ngang khủng 20m2) giá 9 tỷ gần chợ trường học tam bình thủ đức phạm văn đồng
9 tỷ 300m² Đường Tam Bình, Phường Tam Phú, Thủ Đức, Hồ Chí Minh
-
đất hẻm xe tải câu keo, ngang bề thế (20x14) 275m2 thích hợp tách 4 - 5 lô giá 11,5tỷ (40tr/m2)
11,5 tỷ 275m² Đường Cây Keo, Phường Tam Phú, Thủ Đức, Hồ Chí Minh
-
bán đất tặng nhà, ngay chợ tam hà, hẻm xe hơi, 5,3x16m giá trước tết nhỉnh 5 tỷ
5,7 tỷ 90m² Đường Số 2, Phường Tam Phú, Thủ Đức, Hồ Chí Minh
-
tam phú thủ đức | đất dài đẹp 5x31m vị trí đẹp, gần bv thủ đức chợ tam hà nhà thờ
7,5 tỷ 159m² Đường Số 6, Phường Tam Phú, Thủ Đức, Hồ Chí Minh
-
đất đẹp 61m2 (4x16m) full thổ, khu đồng bộ đường ụ ge, p tam phú , giá tốt chỉ 4.98 tỉ hẻm xe tải
4,98 tỷ 61m² Đường Ụ Ghe, Phường Tam Phú, Thủ Đức, Hồ Chí Minh