Tin đăng này đã hết hạn trên sosanhnha.com
Bạn có thể sử dụng công cụ tìm kiếm trên website để tìm những tin đăng mới nhất.
hoặc xem chi tiết tin
Có thể bạn quan tâm
Bán đất
6ty - Hàng đấu Giá Bank - Q.9 100m2 /lô - Hẻm Xe Hơi Thông - Lã Xuân Oai - Tăng Nhơn Phú A - Q.9
6 tỷ
100m²
Đặc điểm
Mã tin
33892403
Cập nhật
29/10
Loại tin
Bán đất
Mức giá
6 tỷ
Diện tích
100m²
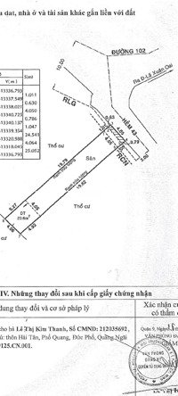
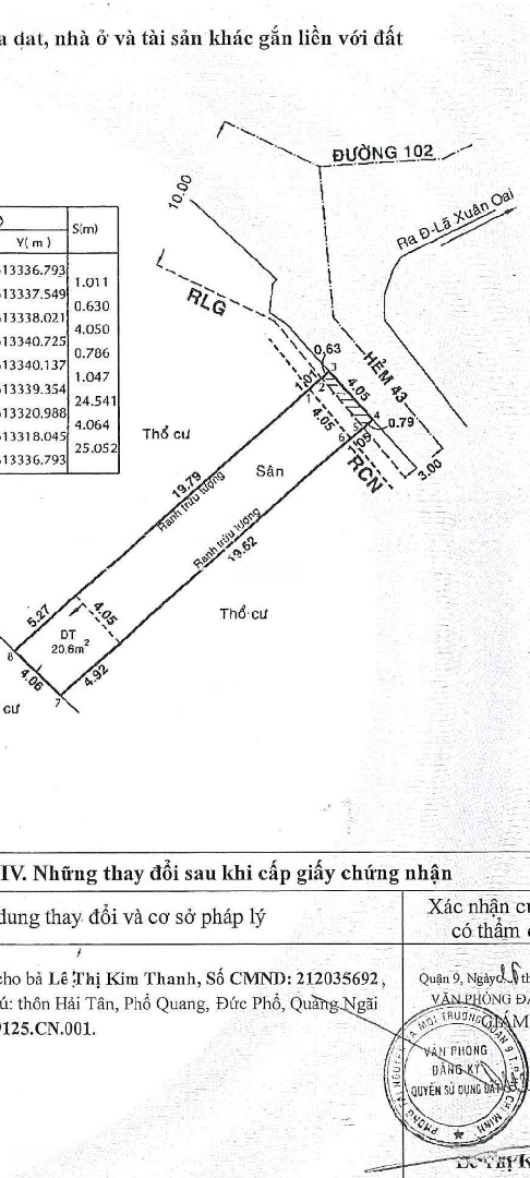
Địa chỉ
Đường 102, Phường Tăng Nhơn Phú A, Quận 9, Hồ Chí Minh
HÀNG ĐẤU GIÁ BANK - Q.9
100M2 /LÔ - HẺM XE HƠI THÔNG - LÃ XUÂN OAI - TĂNG NHƠN PHÚ A - Q.9 6TY / LÔ
Hình ảnh
100M2 /LÔ - HẺM XE HƠI THÔNG - LÃ XUÂN OAI - TĂNG NHƠN PHÚ A - Q.9 6TY / LÔ
Đặc điểm nổi bật
Diện tích :
100m2
Mặt tiền :
4m
Giá :
6 tỷ
Đường vào :
6m
Có thể bạn quan tâm
-
bán 6 lô đất hẻm 42 lã xuân oai, gần lê văn việt q9 - khu vip gần ngã tư thủ đức
5,6 tỷ 100m² Đường Lã Xuân Oai, Phường Tăng Nhơn Phú A, Quận 9, Hồ Chí Minh
-
bán đất tại đường 160, tăng nhơn phú a, quận 9, hồ chí minh, 5,25 tỷ, 61 m2
5,25 tỷ 62m² Đường 160, Phường Tăng Nhơn Phú A, Quận 9, Hồ Chí Minh
-
bán đất hẻm ô tô đường số 2,hẻm 175, tăng nhơn phú,tp thủ đức, dt 80m2(5x16), sổ hồng.lh:0904398639
7,5 tỷ 80m² Hẻm 175 Đường Tăng Nhơn Phú, Phường Tăng Nhơn Phú A, Quận 9, Hồ Chí Minh
-
bán gấp lô đất vườn hẻm 59 đường 102 phường tăng nhơn phú a, quận 9, 543m2 giá 7.6 tỷ
7,6 tỷ 100m² Hẻm 59, Đường 102, Phường Tăng Nhơn Phú A, Quận 9, Hồ Chí Minh
-
bán lô đất hẻm xe hơi đường 102 tăng nhơn phú a, dt 120m²/6.5ty
6,5 tỷ 107m² Đường 102, Phường Tăng Nhơn Phú A, Quận 9, Hồ Chí Minh
-
đất mặt đường xe tải né 100m2 (6.2x17), 7.9 tỷ, ngay lã xuân oai, tăng nhơn phú a, q9
7,9 tỷ 100m² Đường Số 182, Phường Tăng Nhơn Phú A, Quận 9, Hồ Chí Minh