Bán 124 M2 đất Lô Góc Tặng Nhà Cấp 4 Mặt Tiền 23m đang Cho Thuê. Đường 13m Khu Thạch Cầu. 4,56 Tỷ

4,56 tỷ 124m²
Đặc điểm
Mã tin 33803358
Cập nhật 19/10/2025
Loại tin Bán đất
Mức giá 4,56 tỷ
Diện tích 124m²
Địa chỉ Thạch Cầu, Long Biên,Quận Long Biên, Hà Nội
Thông tin chi tiết
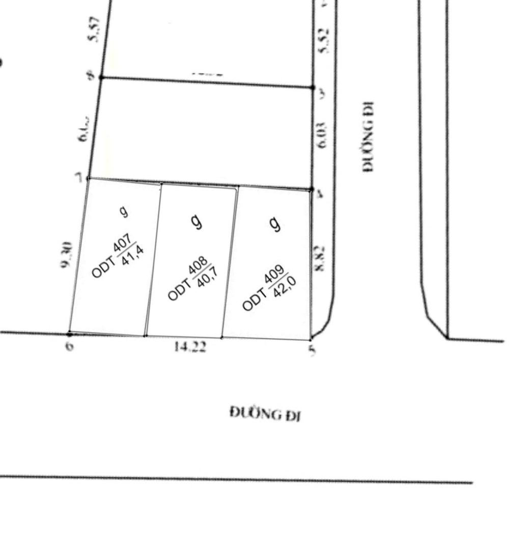
Bán 124 m2 đất lô góc tặng nhà cấp 4 mặt tiền 23m đang cho thuê. Đường 13m khu Thạch Cầu. 4,56 tỷ

Bán 124 m² đất, lô góc, tặng nhà cấp 4, điện, nước máy đầy đủ. Đang cho thuê 10 triệu/tháng; Một chiều rộng 14,2 mét (mặt đường chính, đường rộng 13 mét) và một chiều rộng 8,8 mét (mặt đường phụ, đường nhựa rộng 6 mét, hai bên có vỉa hè và đèn đường); Mặt đường Giếng Nhật, Thạch Cầu phía Giếng Nhật và khu dân cư, trong khu vực ODT, đã được kê khai ODT, có số lô số thửa rõ ràng.

Đất cách cầu Trần Hưng Đạo 500m, cách chợ và trường mầm non Thạch cầu 100m, chỉ 8 phút là vào trung tâm phố cổ.

Rất đẹp.

Đất mua đầu tư sau xây biệt thự thì quá đẹp hoặc có thể chia nhỏ thành từ 2 đến 4 mảnh( đã tách thành 3 lô) . Cực dễ thanh khoản.

Mua cả, giá 38 triệu/m². Mua lẻ, lô góc 40 triệu /m², ác lô còn lại 38 triệu/m². Đất đẹp vô cùng. Liên hệ ngay sdt 0862 012 897 kẻo hết.
Hình ảnh
Dịch vụ và tiện ích quanh đây:
Công viên Công viên Mua sắm Mua sắm Giáo dục Giáo dục Y tế Y tế Ngân hàng Ngân hàng
Bệnh Viện Đa Khoa Hồng Ngọc 0.7 km 09 Nguyễn Văn Linh, Việt Hưng, Long Biên, Hà Nội
Nhà Thuốc Quang Minh 2.7 km 151 Đ. Long Biên, Ngọc Lâm, Long Biên, Hà Nội 100000
Cửa Hàng Khóa 4.8 km 90 P. Hàng Bồ, Hàng Gai, Hoàn Kiếm, Hà Nội
Công Ty Cổ Phần Delia Dental 5.2 km 96 P. Trấn Vũ, Quán Thánh, Ba Đình, Hà Nội
Công Ty Cổ Phần Đầu Tư THT Việt Nam 5.2 km 36C P. Lý Nam Đế, Điện Biên, Hoàn Kiếm, Hà Nội
Nha Khoa Quốc Tế Bạch Mai 5.3 km P. Lê Quý Đôn, Bạch Đằng, Hai Bà Trưng, Hà Nội
Phòng Răng Minh Sơn 5.7 km 18 P. Cửa Nam, Cửa Nam, Hoàn Kiếm, Hà Nội
Cà Phê Cây Đa 5.7 km 130 P. Hai Bà Trưng, Cửa Nam, Hoàn Kiếm, Hà Nội
Nha khoa Hoàng Gia 6.8 km 133 P. Tôn Đức Thắng, Street, Đống Đa, Hà Nội
Nhà thuốc Tú An 1 6.9 km 10 Ng. Thổ Quan, Thổ Quan, Đống Đa, Hà Nội
Dermatology Specialist Clinic 1.2 km 59 P. Trường Lâm, Street, Long Biên, Hà Nội
Phòng Khám Chuyên Khoa Rhm Nha Khoa Hd 2.1 km 22 P. Hồng Tiến, Bồ Đề, Long Biên, Hà Nội
Sản phụ khoa Hoàng Huyền 3.5 km 127 Phan Đăng Lưu, Yên Viên, Gia Lâm, Hà Nội
Trạm Y Tế Phường Hàng Bạc 4.4 km 101 P. Hàng Bạc, Hàng Đào, Hoàn Kiếm, Hà Nội
Ministry of Defense - Department of Criminal Investigation 4.7 km 1 P. Lý Nam Đế, Hàng Mã, Hoàn Kiếm, Hà Nội
Spa thu lâm 5 km 40 P. Cửa Đông, Hàng Mã, Hoàn Kiếm, Hà Nội
Công Ty Cổ Phần Đầu Tư & Dược Phẩm Trung Dũng 5.4 km 2B, Ngõ 310 Nghi Tàm, Phường Tứ Liên, Quận Tây Hồ, Yên Phụ, Tây Hồ, Hà Nội
Phòng Khám Chuyên Khoa Ung Bướu Tâm Việt 5.6 km 60 P. Trần Xuân Soạn, Ngô Thì Nhậm, Hai Bà Trưng, Hà Nội
Cà Phê Hùng Triệu 5.7 km 89 P. Trần Xuân Soạn, Ngô Thì Nhậm, Hai Bà Trưng, Hà Nội
Công Ty Cổ Phần Thiết Bị Kỹ Thuật Labvietchem 5.8 km Số 219 Nguyễn Khoái, Thanh Lương, Hoàn Kiếm, Hà Nội
Phòng Khám Tai Mũi Họng 2.4 km BT14N01A KĐT, TT. Sài Đồng, Long Biên, Hà Nội
Phòng Khám Nha Khoa Hồng Phong 2.6 km 490, Đường Đ. Ng. Gia Tự, Đức Giang, Long Biên, Hà Nội
CÔNG TY CỔ PHẦN THƯƠNG MẠI VÀ DƯỢC PHẨM TRÚC TÂM 2.6 km Số 6 ngách 560/65, Đ. Nguyễn Văn Cừ, Long Biên, Hà Nội
Phòng khám chuyên khoa Mắt Kỹ thuật cao 3.2 km 55 P. Sài Đồng, TT. Sài Đồng, Long Biên, Hà Nội
Công ty cổ phần dược thú y TECHVET 3.3 km 17 Ng. 14 P. Sài Đồng, TT. Sài Đồng, Long Biên, Hà Nội 11814
Phòng Khám Thú Y Mộc Lan Ba Đình ( Mộc Lan Pets Clinic ) 4.3 km Ngõ 163 Đ. Hồng Hà, Phúc xá, Ba Đình, Hà Nội
Nhà Thuốc Tuấn Phương 4.5 km 6, Ngõ 12, Phố Nghĩa Dũng, Phường Phúc Xá, Quận Ba Đình, Phúc xá, Ba Đình, Hà Nội
Phòng khám đa khoa Âu Việt 4.6 km 15a Trần Khánh Dư, Phan Chu Trinh, Hoàn Kiếm, Hà Nội 100000
nhà thuốc quân hoa 4.7 km 63 P. Lãn Ông, Hàng Bồ, Hoàn Kiếm, Hà Nội
Nha Khoa Quốc Tế Tâm An 4.9 km 16 P. Châu Long, Trúc Bạch, Ba Đình, Hà Nội 100000
Thuong Quán 5.2 km 2 P. Trần Thánh Tông, Phạm Đình Hổ, Hai Bà Trưng, Hà Nội
Nigeru Yoga Boutique 5.3 km 6 P.Hàm Long, Phan Chu Trinh, Hoàn Kiếm, Hà Nội
Công Ty Tnhh Dược Nano 6.8 km 6 Ng. Thịnh Hào 1, Hàng Bột, Hoàn Kiếm, Hà Nội
Phòng Khám Nha Khoa Việt Sing 7 km 37 P. Trần Đại Nghĩa, Bách Khoa, Hoàn Kiếm, Hà Nội
Công ty TNHH Dược Phẩm Hoàng Dương 7.5 km 64, Đường Nguyễn Lương Bằng, Chợ Dừa, Đống Đa, Hà Nội
Cửa Hàng Đồ Gỗ Cao Cấp Quang Vinh 7.6 km 58 P. Minh Khai, Trương Định, Hai Bà Trưng, Hà Nội
Công Ty Tnhh Dược Phẩm Việt Anh 7.6 km 20 Nguyễn Lương Bằng, Nam Đồng, Đống Đa, Hà Nội
Trung Tâm Nghiên Cứu & Tư Vấn Phát Triển Khoa Học Kỹ Thuật 7.9 km 1 P. Liễu Giai, Liễu Giai, Ba Đình, Hà Nội
Công Ty Cổ Phần Xuất Nhập Khẩu Minh Tâm 7.9 km 257 - B4 Giải Phóng, Phương Đình, Hoàn Kiếm, Hà Nội
Phòng Khám Răng Hàm Mặt - Bs Đỗ Tiến Khanh 8 km 121 P. Đốc Ngữ, Vĩnh Phú, Ba Đình, Hà Nội
Nhà Thuốc Tư Nhân Đa Phúc 5.8 km 144 Đ. Đê Trần Khát Chân, Thanh Lương, Hai Bà Trưng, Hà Nội
Nhà Thuốc Y Dược Tinh Hoa 6 km 12 P.Nguyễn Như Đổ, Văn Miếu, Đống Đa, Hà Nội 100000
Trung Tâm Chẩn Đoán Thú Y Trung Ương 7.5 km 11 Giải Phóng, Phương Mai, Hai Bà Trưng, Hà Nội
Nha Khoa Sơn Hoàng Cầu 7.7 km 31 P. Hoàng Cầu, Chợ Dừa, Đống Đa, Hà Nội
Phòng Khám Răng Hàm Mặt 7.7 km 194 Nguyễn Lương Bằng, Quang Trung, Đống Đa, Hà Nội
Viện Tài nguyên Môi trường và Kiến thức Bản địa 7.8 km 36 P. Hoàng Cầu, Chợ Dừa, Hoàn Kiếm, Hà Nội
Viện Nghiên Cứu Giáo Dục Quốc ... 7.9 km 345 C, P. Giảng Võ, Chợ Dừa, Hoàn Kiếm, Hà Nội
Shop Na Du 9.1 km 686 Ngách 147/2 Phố Tân Mai, Tân Mai, Hoàng Mai, Hà Nội
Công Ty Cổ Phần Sản Xuất Và Dịch Vụ Pls Việt Nam 9.2 km 103 P. Cù Chính Lan, Khương Mai, Thanh Xuân, Hà Nội
Được đăng bởi:
Liên Hệ
Liên Hệ