Bán 2 Lô đất Mặt Tiền Nguyễn Hoàng, Khu Compound, 279,8m2, Giá Chỉ 97,9 Tỷ
97,9 tỷ
279m²
Đặc điểm
Mã tin
33362120
Cập nhật
21/08
Loại tin
Bán đất nền dự án
Mức giá
97,9 tỷ
Diện tích
279m²
Địa chỉ
Nguyễn Hoàng,Phường An Phú, Quận 2, Hồ Chí Minh
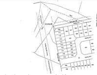
Bán 2 lô đất mặt tiền Nguyễn Hoàng - khu compound đồng bộ, Phường An Phú, Quận 2 cũ, Thành phố Thủ Đức
- Diện tích & thông tin:
+ Lô 1, có diện tích: 146m2, giá bán 51,135 tỷ
• Lô 2, có diện tích: 133.8m2, giá bán 46,830 tỷ
• Tổng 2 lô, diện tích: 279.8m2, tổng giá: 97,965 tỷ
- Hiện trạng: Đất trống, chưa xây dựng.
- Pháp lý: Sổ hồng riêng từng lô, chính chủ, không cầm cố.
Vị trí đắc địa: Đường Nguyễn Hoàng, hạ tầng hoàn thiện, khu dân cư phát triển, giao thông thuận lợi. Tiềm năng tăng giá cao khi khu vực ngày càng được đầu tư đồng bộ.
Xem thêm: https://proviewland.vn/ban-dat/ban-dat-quan-thu-duc/
Liên Hệ: 0919942121 - 0982472121 Mr Hiền (Viber/Zalo/whatsapp)
Hình ảnh
- Diện tích & thông tin:
+ Lô 1, có diện tích: 146m2, giá bán 51,135 tỷ
• Lô 2, có diện tích: 133.8m2, giá bán 46,830 tỷ
• Tổng 2 lô, diện tích: 279.8m2, tổng giá: 97,965 tỷ
- Hiện trạng: Đất trống, chưa xây dựng.
- Pháp lý: Sổ hồng riêng từng lô, chính chủ, không cầm cố.
Vị trí đắc địa: Đường Nguyễn Hoàng, hạ tầng hoàn thiện, khu dân cư phát triển, giao thông thuận lợi. Tiềm năng tăng giá cao khi khu vực ngày càng được đầu tư đồng bộ.
Xem thêm: https://proviewland.vn/ban-dat/ban-dat-quan-thu-duc/
Liên Hệ: 0919942121 - 0982472121 Mr Hiền (Viber/Zalo/whatsapp)
Có thể bạn quan tâm
-
đất kế bên khu global, ngay khu thả diều. dt: 5m x 20m, chỉ 18,5 tỷ, sổ cá nhân. 0902,746.319
18,5 tỷ 100m² The Global City, An Phú, Quận 2, Hồ Chí Minh
-
rẻ hơn thị trường 2 tỷ! bán lô f34 trục chính đường 16m, liền kề global city 100m2 giá chỉ 18,5 tỷ
18,49 tỷ 100m² Nam Rạch Chiếc, Đường Số 8, Phường An Phú, Quận 2, Hồ Chí Minh
-
khai trương 50 nền đất đời f0 nguyễn hoàng, an phú, quận 2, dt 80m2, giá 3 tỷ 500tr, sổ hồng riêng
3,5 tỷ 80m² Đường Nguyễn Hoàng, Phường An Phú, Quận 2, Hồ Chí Minh
-
đất nam rạch chiếc cạnh the global city, giá tốt hơn thị trường hiện tại 10%, 18 tỷ 5, xem ngay
18,5 tỷ 100m² Nam Rạch Chiếc, Phường An Phú, Quận 2, Hồ Chí Minh
-
gấp bán! nền đất mặt tiền đường 16m ngay sát bên the global city, da nam rạch chiếc giá 18,5 tỷ
18,5 tỷ 100m² Dự án Nam Rạch Chiếc, Đường Số 8, Phường An Phú, Quận 2, Hồ Chí Minh
-
chính chủ bán nhanh đất biệt thự 10x20m, đường 18, khu b an phú an khánh q2. 51,5 ty.
51,5 tỷ 200m² An Phú An Khánh, Đường 18, Phường An Phú, Quận 2, Hồ Chí Minh