Tin đăng này đã hết hạn trên sosanhnha.com Bạn có thể sử dụng công cụ tìm kiếm trên website để tìm những tin đăng mới nhất. hoặc xem chi tiết tin
Có thể bạn quan tâm Bán trang trại, khu nghỉ dưỡng
Bán đất Vườn Bàu Bàng Tp. Hồ Chí Minh 850 Ngàn/ Mét
bán đất vườn bàu bàng tp. hồ chí minh 850 ngàn/ mét
1,7 tỷ 2000m²
Huyện Bàu Bàng, Bình Dương
1 ngày trước
Chỉ 920tr – Đất Mặt Tiền Trừ Văn Thố, Có Sẵn Vườn Bưởi Thu Hoạch
 Chỉ 920tr – Đất mặt tiền Trừ Văn Thố, có sẵn vườn bưởi thu hoạch
920 triệu 250m²
Huyện Bàu Bàng, Bình Dương
2 ngày trước
Bcons Newsky - Giá F0 Từ Cđt - Tặng Chỉ Vàng 999 Chín - ưu Tiên Khách Giữ Chỗ Sớm Chọn Căn đẹp
bcons newsky - giá f0 từ cđt - tặng chỉ vàng 999 chín - ưu tiên khách giữ chỗ sớm chọn căn đẹp
2,3 tỷ 47m²
2 phòng ngủ
Huyện Thuận An, Bình Dương
1 tuần trước
Bán đất Khu Vườn Bạch đằng Tân Uyên Bình Dương Tphcm
bán đất khu vườn bạch đằng tân uyên bình dương tphcm
12 tỷ 2000m²
Huyện Tân Uyên, Bình Dương
1 tuần trước

Bán 21000m2 Có 300m2 Thổ Cư, Trang Trại Măng, Trại Heo Giá Siêu Rẻ 5,5 Tỷ

5,5 tỷ 21000m²
Đặc điểm
Mã tin 33621582
Cập nhật 29/09
Loại tin Bán trang trại, khu nghỉ dưỡng
Mức giá 5,5 tỷ
Diện tích 21000m²
Địa chỉ Xã Minh Tân, Dầu Tiếng, Bình Dương
Thông tin chi tiết
Thông tin ts:

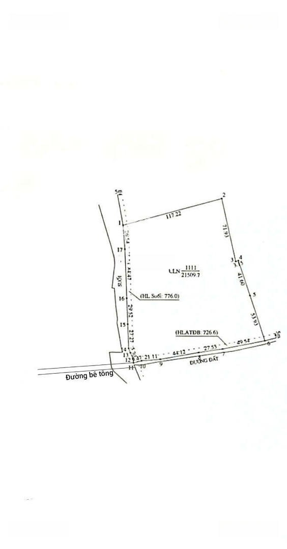
1, Loại hình BDS: Thổ cư, CLN.

2, vị trí: Tân Định, Minh Tân, Dầu Tiếng, BD.

3, DIện tích: 21000m2.

4, Tình trạng đất: Trồng măng tre, trại heo.
Đặc điểm nổi bật
Diện tích :
21000m2
Mặt tiền :
150m
Giá :
5,5 tỷ
Hình ảnh
Được đăng bởi:
Tài Chinh Bds
Tài Chinh Bds