Tin đăng này đã hết hạn trên sosanhnha.com
Bạn có thể sử dụng công cụ tìm kiếm trên website để tìm những tin đăng mới nhất.
hoặc xem chi tiết tin
Có thể bạn quan tâm
Bán đất
Bán 330,8 M2 (148m2 Tc) Tại Tân Khai, đất Sát Kcn Lê Vy, Khu Du Lịch Ula Resort Glamping Chỉ 750tr
750 triệu
330.8m²
Đặc điểm
Mã tin
34440697
Cập nhật
14/01
Loại tin
Bán đất
Mức giá
750 triệu
Diện tích
330.8m²
Địa chỉ
Thị trấn Tân Khai, Hớn Quản, Bình Phước
Cận tết cần bán gấp đất tại Tân Khai Bình Phước cũ.
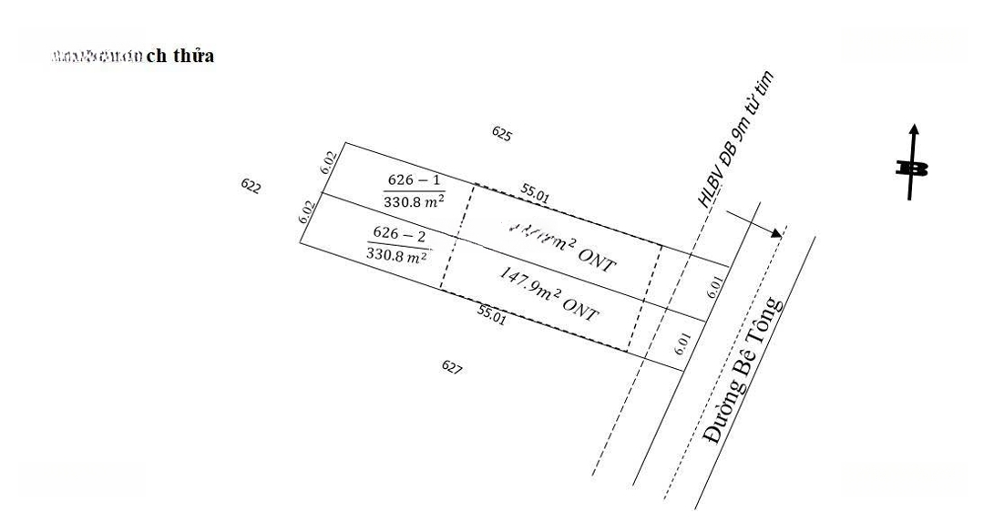
- Diện tích: 6m x 55m (tổng là 330,8 m2).
- Có 148m2 thổ cư.
Giá bán nhanh chỉ 750 triệu VND.
- Mặt tiền đường bê tông rộng 5m, đường thông tứ hướng.
- Cách nhựa ĐT 756 chỉ 500m, cách QL 13 chỉ 1,5km.
Tiện ích:
- Sát cạnh Khu Công Nghiệp Lê Vy (phù hợp xây phòng trọ cho thuê).
- Cách Khu Du Lịch ULa Resort Glamping chỉ 800 mét.
- Cách cây xăng gần nhất chỉ 1km, cách chợ, trường học bán kính chỉ 1,2-2km.
- Dân cư đông đúc, đã khoan giếng sẵn, điện nhà nước đi ngang.
Hướng đất Đông Nam, Pháp lý đầy đủ.
Liên hệ SĐT: Hùng) để đi xem đất và kiểm tra các thông tin trên trước khi mua.
Cam kết các thông tin trên đều chính xác.
Hình ảnh
- Diện tích: 6m x 55m (tổng là 330,8 m2).
- Có 148m2 thổ cư.
Giá bán nhanh chỉ 750 triệu VND.
- Mặt tiền đường bê tông rộng 5m, đường thông tứ hướng.
- Cách nhựa ĐT 756 chỉ 500m, cách QL 13 chỉ 1,5km.
Tiện ích:
- Sát cạnh Khu Công Nghiệp Lê Vy (phù hợp xây phòng trọ cho thuê).
- Cách Khu Du Lịch ULa Resort Glamping chỉ 800 mét.
- Cách cây xăng gần nhất chỉ 1km, cách chợ, trường học bán kính chỉ 1,2-2km.
- Dân cư đông đúc, đã khoan giếng sẵn, điện nhà nước đi ngang.
Hướng đất Đông Nam, Pháp lý đầy đủ.
Liên hệ SĐT: Hùng) để đi xem đất và kiểm tra các thông tin trên trước khi mua.
Cam kết các thông tin trên đều chính xác.
Đặc điểm nổi bật
Diện tích :
330.8m2
Mặt tiền :
6m
Giá :
750 triệu
Đường vào :
5m
Có thể bạn quan tâm
-
bán gấp lô đất vip tân khai sát cụm kcn diện tích 60x50 - có nhà & vườn
2,5 tỷ 2950m² Thị trấn Tân Khai, Huyện Hớn Quản, Bình Phước
-
đất chính chủ cần bán 500m2 giá 980 triệu sổ sẵn mua bán nhanh gọn
980 triệu 500m² Đường ĐT 756, Thị trấn Tân Khai, Hớn Quản, Bình Phước
-
bán đất tại thị trấn tân khai, hớn quản, bình phước, 950 triệu, 250m2, bao đẹp
950 triệu 250m² Thị trấn Tân Khai, Hớn Quản, Bình Phước
-
bán dn 438m2 tại tân khai, hớn quản, bình phước, giá siêu hời 1,5 tỷ
1,5 tỷ 438m² Thị trấn Tân Khai, Hớn Quản, Bình Phước
-
bán đất tại thị trấn tân khai, hớn quản, bình phước, giá cực chất 2,1 tỷ, 700m2
2,1 tỷ 700m² Thị trấn Tân Khai, Hớn Quản, Bình Phước
-
bán đất tại thị trấn tân khai, hớn quản, bình phước, 2,1 tỷ, 700 m2 chỉ với chính chủ
2,1 tỷ 700m² Thị trấn Tân Khai, Hớn Quản, Bình Phước