Bán 3500m2 đất Tmdv, Mặt đường Xuân Quỳnh, Bãi Tăm Quất Lâm, Ninh Bình
8,5 tỷ
3500m²
Đặc điểm
Mã tin
34576095
Cập nhật
3 giờ trước
Loại tin
Bán đất
Mức giá
8,5 tỷ
Diện tích
3500m²
Địa chỉ
Đường Triệu Việt Vương, Thị trấn Giao Thủy, Huyện Giao Thủy, Nam Định
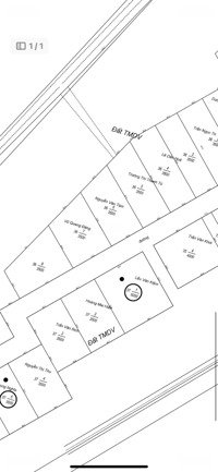
Bán 3500m2 đất TMDV, mặt đường Xuân Quỳnh, khu du lịch biển Quất Lam, Ninh Bình, MT 40m, hướng nhìn ra biển, cách biển 50m, SDCC, chấp nhận TG, có thể bán 3 lô cạnh nhau cùng DT 3500m2, phù hợp xây resort, khách sạn,, nhà hầng...
Hình ảnh
Đặc điểm nổi bật
Diện tích :
3500m2
Mặt tiền :
40m
Giá :
8,5 tỷ
Đường vào :
50m
Có thể bạn quan tâm
-
cắt lỗ bán nhanh 800 triệu lô đất 108m2, mt 6m nam định gần kcn vsip và bãi tắm quất lâm
800 triệu 108m² Đường Giao Tiến, Thị trấn Giao Thủy, Giao Thủy, Nam Định
-
bán nhanh lô đất biển quất lâm chính chủ - diện tích 98m2 mt 6m sát khu nghĩ dưỡng
2 tỷ 100m² Thị trấn Giao Thủy, Giao Thủy, Nam Định
-
chủ cần tiền bán gấp mảnh góc trục chính trần hưng đạo, thị trấn giao thuỷ, ninh bình
4,42 tỷ 85m² Đường Trần Hưng Đạo, Thị trấn Giao Thủy, Giao Thủy, Nam Định
-
bán đất tdp sơn đài - tt giao thuỷ nam định
5 tỷ 257m² Thị trấn Giao Thủy, Giao Thủy, Nam Định
-
bán đất mặt biển du lịch gần quất lâm 70tr/m2
7 tỷ 100m² Thị trấn Giao Thủy, Giao Thủy, Nam Định
-
bán đất nền view biển quất lâm
2 tỷ 100m² Đường Quốc Lộ 37B, Thị trấn Giao Thủy, Giao Thủy, Nam Định