Tin đăng này đã hết hạn trên sosanhnha.com Bạn có thể sử dụng công cụ tìm kiếm trên website để tìm những tin đăng mới nhất. hoặc xem chi tiết tin
Có thể bạn quan tâm Bán đất
Bán Nhanh 2 Lô đất View Hồ Tại Xuân Mai
bán nhanh 2 lô đất view hồ tại xuân mai
2,1 tỷ 84m²
Huyện Chương Mỹ, Hà Nội
4 giờ trước
Duy Nhất 1 Lô 86m Bám Quốc Lộ 6 Tại Phố Gốt, Phú Nghĩa, Hà Nội.
duy nhất 1 lô 86m bám quốc lộ 6 tại phố gốt, phú nghĩa, hà nội.
3,4 tỷ 86m²
Huyện Chương Mỹ, Hà Nội
4 giờ trước
đất - 42m² Mai Lâm 6m Mặt Tiền, Xây Nhà Cực Thoáng.
đất - 42m² mai lâm 6m mặt tiền, xây nhà cực thoáng.
5,25 tỷ 42m²
Huyện Đông Anh, Hà Nội
7 giờ trước
đất Việt Hưng, 88m2, Mt5.7m 24.4 Tỷ, 2 Mặt Tiền Trước - Sau
đất việt hưng, 88m2, mt5.7m 24.4 tỷ, 2 mặt tiền trước - sau
24,4 tỷ 88m²
Quận Long Biên, Hà Nội
12 giờ trước

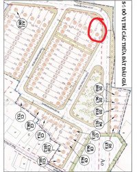
Bán 94 M² đất đấu Giá Tại Yên Sơn,quốc Oai,đl Thăng Long đã Có Sổ Mt 5.5m Vỉa Hè 8m Nhìn Ra đồng T

6,2 tỷ 94m²
Đặc điểm
Mã tin 34450716
Cập nhật 15/01
Loại tin Bán đất
Mức giá 6,2 tỷ
Diện tích 94m²
Địa chỉ Xã Phượng Sơn, Quốc Oai, Hà Nội
Thông tin chi tiết
Bán 94 m² đất đấu giá gần Song Phương, Hoài Đức.

Vị trí đất tại khu đấu giá Sơn Trung, Yên Sơn, Quốc Oai.

- Cách Đại Lộ thăng Long 200m.

- Cách Big C Trần Duy Hưng 15km.

- Lô A3.

- Diện tích 94m2, mặt tiền 5.5 m.

- Đường lớn 2 ô tô tránh nhau, có vỉa hè 8 m.

- Khu dân cư thân thiện, không khí trong lành. Tiện ích gần chợ, trường học, vài bước là ra đại lộ thăng Long về Hà Nội.

- Sổ đỏ cất két sẵn sàng giao dịch.

Giá từ 65 triệu/ m2.
Đặc điểm nổi bật
Diện tích :
94m2
Mặt tiền :
5m
Giá :
6,2 tỷ
Đường vào :
10m
Hình ảnh
Dịch vụ và tiện ích quanh đây:
Giáo dục Giáo dục Công viên Công viên
Phòng Khám Chuyên Khoa Phụ Sản Hoài Đức 5.4 km 46 đường Đoàn Kết, xóm Gia, Hoài Đức, Hà Nội
Trung Tâm Phục Hồi SK Dr.B 6.4 km Chung cư Thăng Long Victory, Căn 14, Hoài Đức, Hà Nội
PHÒNG KHÁM CHUYÊN KHOA NHI NGUYỄN TRỌNG 7.3 km Đường Bê Tông, Thôn Cao Trung, Hoài Đức, Hà Nội
Công Ty Cổ Phần Sơn Lâm 7.7 km Xã Đức Thượng, Huyện Hoài Đức, Thành Phố Hà Nội, Đức Thượng, Hoài Đức, Hà Nội
hanh 8.8 km 70, street, Nam Từ Liêm, 100000
Công Ty TNHH Giấy và Bao Bì Vipack 9.5 km 66 Lô CL29-04,05 khu đất, La Nội, Hà Đông, Hà Nội 10000
Plastic Joint Stock Company Phu Hoa An 9.1 km 272 Hữu Hưng, Đai Mỗ, Hà Đông, Hà Nội 100000
Có thể bạn quan tâm
Được đăng bởi:
Nguyễn Thị Cúc
Nguyễn Thị Cúc