Tin đăng này đã hết hạn trên sosanhnha.com Bạn có thể sử dụng công cụ tìm kiếm trên website để tìm những tin đăng mới nhất. hoặc xem chi tiết tin
Có thể bạn quan tâm Bán đất
Bán Nhanh 110m2 đất Xuân Thủy - Cầu Giấy, Phù Hợp Xây Ccmn, Mt 9m, 22 Tỷ - Lh
bán nhanh 110m2 đất xuân thủy - cầu giấy, phù hợp xây ccmn, mt 9m, 22 tỷ - lh
22 tỷ 110m²
Quận Cầu Giấy, Hà Nội
11 phút trước
đầu Tư đến độ Chín Cần Thanh Khoản
đầu tư đến độ chín cần thanh khoản
Liên hệ 200m²
Huyện Thạch Thất, Hà Nội
14 phút trước
Chủ Nhà Cần Tiền Cắt Bán Gấp 150m Mặt Tiền 6m
chủ nhà cần tiền cắt bán gấp 150m mặt tiền 6m
Liên hệ 150m²
Huyện Thạch Thất, Hà Nội
25 phút trước
Bán đất Trâu Quỳ Vuông Vắn 50m² Mặt đường 22m Giá 195 Triệu/m²
bán đất trâu quỳ vuông vắn 50m² mặt đường 22m giá 195 triệu/m²
9,75 tỷ 50m²
Huyện Gia Lâm, Hà Nội
1 giờ trước

Bán đất 62m2, Mt 5,5m Ngay Vành đai 2.5 Chỉ 135tr/m2 - Sổ Vuông, Xây Ccmn Quá đẹp

8,35 tỷ 62m²
Đặc điểm
Mã tin 34360640
Cập nhật 30/12/2025
Loại tin Bán đất
Mức giá 8,35 tỷ
Diện tích 62m²
Địa chỉ Đường Định Công Hạ, Phường Định Công, Hoàng Mai, Hà Nội
Thông tin chi tiết
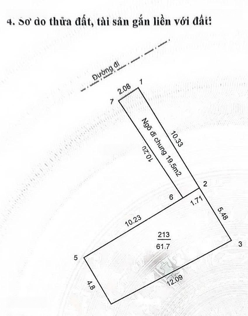
Tọa lạc tại Đường Định Công Hạ, Phường Định Công, Hoàng Mai, Hà Nội, lô đất này có diện tích 62m2, là cơ hội lý tưởng cho những ai đang tìm kiếm một khu đất đẹp để xây dựng hoặc đầu tư.

- Diện tích: 62m2, giá 8,35 tỷ VND
- Mặt tiền rộng 5.5m, thuận lợi cho việc xây dựng nhà ở hoặc kinh doanh
- Ngõ trước rộng 3m, dễ dàng cho xe ô tô ra vào
- Pháp lý đầy đủ, sổ đỏ/sổ hồng rõ ràng

Điểm nhấn:
- Phong thủy tốt, thích hợp cho việc xây dựng nhà ở hoặc văn phòng
- Mặt tiền rộng, có thể kinh doanh hoặc cho thuê
- Khu vực yên tĩnh, phù hợp cho gia đình và an cư lập nghiệp

Tiện ích xung quanh:
- Gần bệnh viện Than - Khoáng sản, trạm y tế phường Định Công
- Siêu thị Thành Đô, siêu thị Đức Thành và siêu thị Tmart CT12B Kim Văn Kim Lũ
- Trường mầm non Linh Đàm

Liên hệ để biết thêm thông tin chi tiết về lô đất này qua số điện thoại và tên Nguyễn Thành Đạt.
Đặc điểm nổi bật
Diện tích :
62m2
Mặt tiền :
5.5m
Giá :
8,35 tỷ
Đường vào :
3m
Hình ảnh
Dịch vụ và tiện ích quanh đây:
Giáo dục Giáo dục Mua sắm Mua sắm Công viên Công viên Ngân hàng Ngân hàng Y tế Y tế
Công Ty Tnhh Đầu Tư Phát Triển Công Nghệ Môi Trường Việt Nam 0.5 km 61 Ngh. 230/111 P. Định Công Thượng, Định Công, Hoàng Mai, Hà Nội
HC studio 0.8 km 173 Ng. 192 Lê Trọng Tấn, Định Công, Thanh Xuân, Hà Nội
Giặt Là Thanh Tùng 0.8 km Số 23 Ng. 250 Đ. Kim Giang, Đại Kim, Hoàng Mai, Hà Nội 100000
Công Ty Tnhh Thương Mại Hht Việt Nam 0.8 km 96 Ngõ 245 Phố Định Công, Định Công, Hoàng Mai, Hà Nội
Cửa Hàng Mỹ Phẩm - Văn Phòng Phẩm 0.9 km 68 P. Trần Điền, Định Công, Hoàng Mai, Hà Nội
Đồng phục ADD Việt Nam 1 km Ng. 175 Định Công, P, Hoàng Mai, Hà Nội 100000
Công Ty Cổ Phần Dược Phẩm Bách Niên 1.2 km 89i P.Nguyễn Văn Trỗi, Phương Liệt, Thanh Xuân, Hà Nội
Nha Khoa Phúc Thành 1.4 km 2, Định Công, Phường Định Công, Quận Hoàng Mai, Thành Phố Hà Nội, Phương Liệt, Thanh Xuân, Hà Nội
Công Ty Cổ Phần Dược Phẩm 1.6 km 127 P. Đại Từ, Đại Kim, Hoàng Mai, Hà Nội
Nhà Thuốc Thanh Tùng 1.6 km 106 P.Khương Trung, Khương Trung, Thanh Xuân, Hà Nội
Công Ty Tnhh Thương Mại Và Dịch Vụ Duyên Định 0.9 km 278/9 Đường Kim Giang, Yên Xá, Hoàng Mai, Hà Nội
Naturelle Cosmetics 1 km C14, Lô 8, Đô Thị Định Công, Định Công, Hoàng Mai, Hà Nội
Công Ty Tnhh Dược Phẩm Polipharm Việt Nam 1.8 km 637 Trương Định, Giáp Bát, Hoàng Mai, Hà Nội
Cửa Hàng Tinh Hoa Thảo Dược 2.2 km 118, Hạ Đình, Quận Thanh Xuân, Thành Phố Hà Nội, Hạ Đình, Thanh Xuân, Hà Nội
Xanh cà phẻ 2.4 km 2 P. Vọng, Đồng Tâm, Hai Bà Trưng, Hà Nội
Mỹ Phẩm Giang Boutique 2.4 km 58 Nguyễn Đức Cảnh, Tân Mai, Hoàng Mai, Hà Nội
Hena Beauty Center 2.5 km P. Lương Khánh Thiện, Tân Mai, Hai Bà Trưng, Hà Nội
Công ty Cổ phần Cơ khí công trình Thép Việt 3 km tổ 85 Ng. 9 P. Minh Khai, Trương Định, Hai Bà Trưng, Hà Nội
Công Ty Cổ Phần Đầu Tư T&C Hà Nội 3.1 km 10A Khuất Duy Tiến, Thanh Xuân Trung, Thanh Xuân, Hà Nội
Phòng Khám Chuyên Khoa Răng Hàm Mặt BS Đào Thu Hằng 3.4 km 198B Đ. Nguyễn Tuân, Nhân Chính, Thanh Xuân, Hà Nội
Bác sĩ Hoàng Nam Khoa Tiết Niệu 1 km 49 P. Trần Điền, Định Công, Hoàng Mai, Hà Nội 100000
Dịch Vụ Giặt Là 1.1 km Ngõ 122 Đ. Kim Giang, Đại Kim, Hoàng Mai, Hà Nội
Công Ty Cổ Phần Đầu Tư Phát Triển Thương Mại Tân Mỹ 1.3 km Số 21 Ngõ 176 Lê Trọng Tấn, Khương Mai, Thanh Xuân, Hà Nội
Công Ty Tnhh Cntlaunch Giải Pháp Số 1.3 km Số 126 Ngõ 168 Đường Kim Giang, Đại Kim, Hoàng Mai, Hà Nội
Nhà Của Thịnh 1.4 km 25/5 P. Bùi Xương Trạch, Khương Đình, Thanh Xuân, Hà Nội 100000
Nha khoa Việt Nga 1.6 km 30 Ngõ 58A Hoàng Đạo Thành, Kim Giang, Thanh Xuân, Hà Nội
Phòng Khám Đa Khoa Elise 2.2 km 62 Đ. Trường Chinh, Phương Đình, Thanh Xuân, Hà Nội
Nhà Thuốc Tây Phương Linh 2.3 km 10 Ng. 214 Nguyễn Xiển, Hạ Đình, Thanh Xuân, Hà Nội
Thước Dây Không Gỉ Komelon 2.4 km 55 Ng. 214 Nguyễn Xiển, Tân Triều, Thanh Xuân, Hà Nội
Spa Lyyn 3.1 km 328 Đ. Láng, Nhân Chính, Đống Đa, Hà Nội
Giặt Là Minh Hải 1.1 km 32 Ngõ 168 Đường Kim Giang, Đại Kim, Hoàng Mai, Hà Nội
Công Ty Cổ Phần Sản Xuất Và Dịch Vụ Pls Việt Nam 1.8 km 103 P. Cù Chính Lan, Khương Mai, Thanh Xuân, Hà Nội
Gỗ nhựa 2 km Tân Triều, Thanh Trì, Hà Nội
Shop Na Du 2.5 km 686 Ngách 147/2 Phố Tân Mai, Tân Mai, Hoàng Mai, Hà Nội
Phòng Khám YHCT Khánh Thiện Đường 2.5 km 71 Ng. 116 Đ. Nguyễn Xiển, Thanh Xuân Nam, Thanh Xuân, Hà Nội
Trung Tâm Chẩn Đoán Thú Y Trung Ương 2.7 km 11 Giải Phóng, Phương Mai, Hai Bà Trưng, Hà Nội
Phòng Khám Răng Hàm Mặt 3.5 km 194 Nguyễn Lương Bằng, Quang Trung, Đống Đa, Hà Nội
Viện Tài nguyên Môi trường và Kiến thức Bản địa 3.9 km 36 P. Hoàng Cầu, Chợ Dừa, Hoàn Kiếm, Hà Nội
Nha Khoa Sơn Hoàng Cầu 4 km 31 P. Hoàng Cầu, Chợ Dừa, Đống Đa, Hà Nội
Viện Nghiên Cứu Giáo Dục Quốc ... 4.6 km 345 C, P. Giảng Võ, Chợ Dừa, Hoàn Kiếm, Hà Nội
Phòng Chẩn Trị Y Học Cổ Truyền Bác Sĩ Thái Ngọc Thanh 1.1 km 5/228, Lê Trọng Tấn, Quận Thanh Xuân, Thành Phố Hà Nội, Định Công, Hoàng Mai, Hà Nội
Phòng khám chuyên khoa nhi Ngọc Tâm 1.4 km CT2, Khu đô thị Tây Nam Linh Đàm, Hoàng Mai, Hà Nội
Phòng Chẩn Trị Y Học Cổ Truyền 1.4 km 4 P. Bùi Xương Trạch, Khương Đình, Thanh Xuân, Hà Nội
Nhà Khách Bệnh Viện 108 1.8 km 509 Giải Phóng, Đồng Tâm, Hoàn Kiếm, Hà Nội
Công Ty Cổ Phần Xuất Nhập Khẩu Minh Tâm 2.3 km 257 - B4 Giải Phóng, Phương Đình, Hoàn Kiếm, Hà Nội
Cửa Hàng Mỹ Phẩm Cường Hương 2.4 km 165, Tân Mai, Quận Hoàng Mai, Thành Phố Hà Nội, Tân Mai, Hoàng Mai, Hà Nội 100000
Cửa Hàng Đồ Gỗ Cao Cấp Quang Vinh 2.9 km 58 P. Minh Khai, Trương Định, Hai Bà Trưng, Hà Nội
Phòng Khám Nha Khoa Việt Sing 3.3 km 37 P. Trần Đại Nghĩa, Bách Khoa, Hoàn Kiếm, Hà Nội
Công Ty Tnhh Dược Phẩm Việt Anh 3.8 km 20 Nguyễn Lương Bằng, Nam Đồng, Đống Đa, Hà Nội
Công ty TNHH Dược Phẩm Hoàng Dương 3.8 km 64, Đường Nguyễn Lương Bằng, Chợ Dừa, Đống Đa, Hà Nội
Có thể bạn quan tâm
Được đăng bởi:
Nguyễn Thành Đạt
Nguyễn Thành Đạt