Tin đăng này đã hết hạn trên sosanhnha.com
Bạn có thể sử dụng công cụ tìm kiếm trên website để tìm những tin đăng mới nhất.
hoặc xem chi tiết tin
Có thể bạn quan tâm
Bán đất
Bán đất 82m - Hẻm Xe Hơi - Ngay Vòng Xoay An Lạc - Bình Tân - Chỉ 4.4t
4,4 tỷ
82m²
Đặc điểm
Mã tin
34165179
Cập nhật
04/12/2025
Loại tin
Bán đất
Mức giá
4,4 tỷ
Diện tích
82m²
Địa chỉ
Đường Quốc lộ 1A, Phường An Lạc, Bình Tân, Hồ Chí Minh
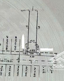
Đất nền có diện tích 82m2, pháp lý đầy đủ, tọa lạc tại Quốc lộ 1A, phường An Lạc, quận Bình Tân, TP.HCM. Mặt tiền rộng 4m, ngõ vào 6m, thuận tiện cho việc xây dựng và kinh doanh. Đặc biệt, vị trí đất có phong thủy tốt, phù hợp cho gia đình và phát triển kinh doanh.
+ Giá: 4,4 tỷ VND
+ Diện tích: 82m2
+ Mặt tiền: 4m
+ Ngõ vào: 6m
Địa điểm xung quanh
+ 7' tới Aeon Tên Lửa
+ Siêu thị Bách Hóa Xanh
Liên hệ để biết thêm thông tin chi tiết: Lê Trần Minh Luân
Hình ảnh
+ Giá: 4,4 tỷ VND
+ Diện tích: 82m2
+ Mặt tiền: 4m
+ Ngõ vào: 6m
Địa điểm xung quanh
+ 7' tới Aeon Tên Lửa
+ Siêu thị Bách Hóa Xanh
Liên hệ để biết thêm thông tin chi tiết: Lê Trần Minh Luân
Đặc điểm nổi bật
Diện tích :
82m2
Mặt tiền :
4m
Giá :
4,4 tỷ
Đường vào :
6m
Có thể bạn quan tâm
-
đất mt kdc nam long (4x15m) đối diện công viên - gần aeon mail - an lạc, đường 7m - chỉ 5.89 tỷ
5,89 tỷ 55m² Đường Số 8, Phường An Lạc, Bình Tân, Hồ Chí Minh
-
cực hiếm! đất oto an dương vương- 4x15.5- vuông vức ko lgqh- sát võ văn kiệt- chỉ 4.8t thương lượng
4,8 tỷ 61.2m² Đường An Dương Vương, Phường An Lạc, Quận Bình Tân, Hồ Chí Minh
-
bán đất tại đường 8, phường an lạc, bình tân, hồ chí minh, giá cực chất 5,6 tỷ, 60m2
5,6 tỷ 60m² Đường 8, Phường An Lạc, Bình Tân, Hồ Chí Minh
-
đất phân lô - ngay aeon mall tên lửa - xây 5 tầng -(4x15m) khu y tế kỹ thuật cao - chỉ: 5.5 tỷ
5,5 tỷ 60m² Đường Kinh Dương Vương, Phường An Lạc, Bình Tân, Hồ Chí Minh
-
bán đất an lạc, bình tân 68m | ngay kdc hồ học lãm, giao võ văn kiệt | giá tốt so với thị trường
3,5 tỷ 68m² Đường Hồ Học Lãm, Phường An Lạc, Bình Tân, Hồ Chí Minh
-
bán đất khu tên lửa - sát đường số 1 & aeon mall chính chủ gửi bán lô đất thích hợp xây mới the
15,5 tỷ 120m² Đường 1, Phường An Lạc, Bình Tân, Hồ Chí Minh