Tin đăng này đã hết hạn trên sosanhnha.com
Bạn có thể sử dụng công cụ tìm kiếm trên website để tìm những tin đăng mới nhất.
hoặc xem chi tiết tin
Có thể bạn quan tâm
Bán kho, nhà xưởng
Bán đất Cn Tại Vĩnh Bảo Giá 2,7 Triệu/m2, Dt 5000, 7000, 9000, 20.000 M2, Gần Ql10, Bàn Giao Ngay
13,5 tỷ
5000m²
Đặc điểm
Mã tin
33954177
Cập nhật
06/11
Loại tin
Bán kho, nhà xưởng
Mức giá
13,5 tỷ
Diện tích
5000m²
Địa chỉ
Xã Giang Biên, Vĩnh Bảo, Hải Phòng
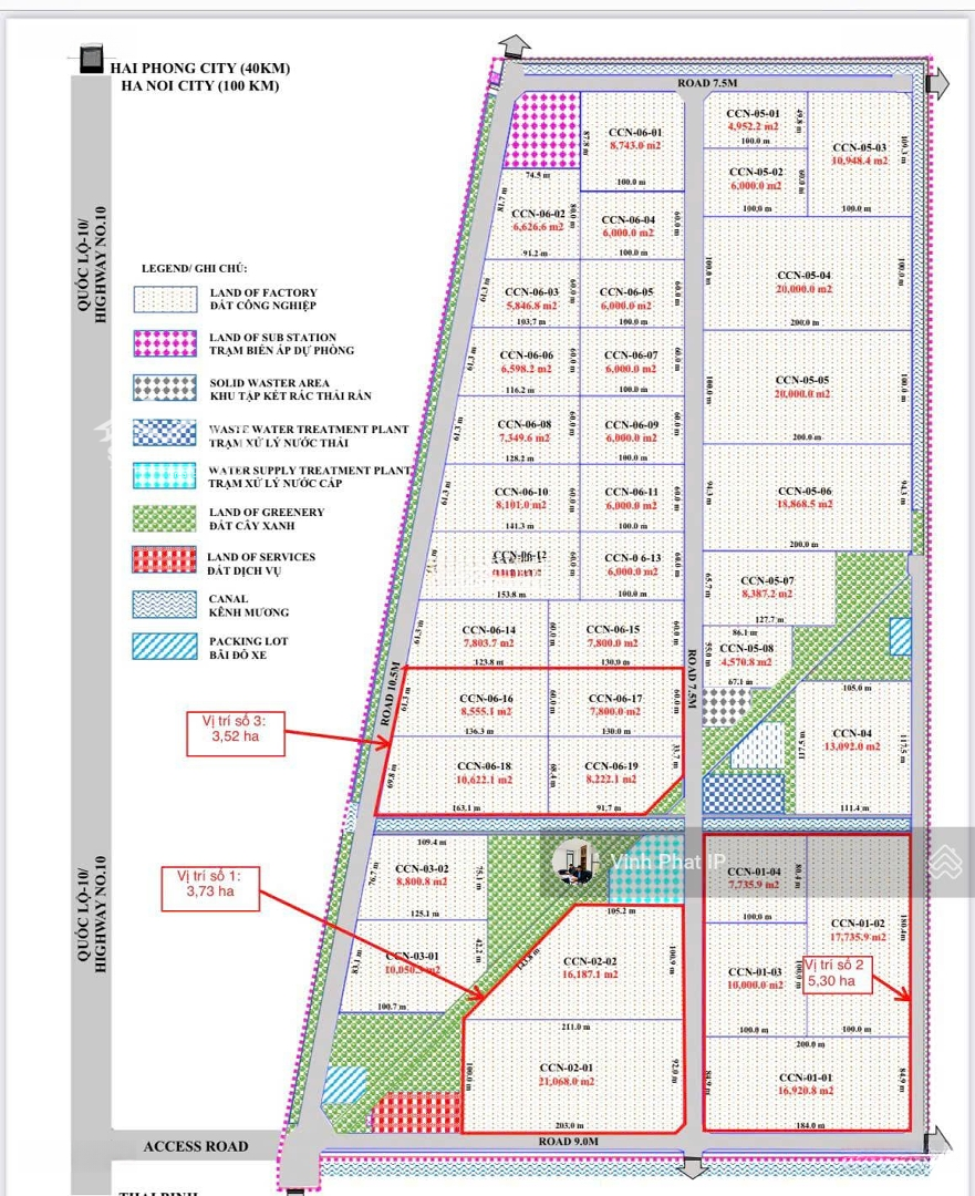
Chuyển nhượng DT 5000, 7000, 9000, 20.000 m2 đất cụm công nghiệp Hải Phòng.
Vị trí ngay gần QL10, bàn giao ngay.
Đây là một trong những khu vực đang phát triển mạnh mẽ và có tiềm năng lớn cho các hoạt động sản xuất đa ngành nghề.
Thông tin chi tiết về bất động sản:
Diện tích: DT 5000, 7000, 9000, 20.000 m2.
Giá bán: 2,7 triệu/m2.
Tình trạng pháp lý: Giấy tờ pháp lý đầy đủ, thời hạn đến 2073.
Phân khu chức năng: Phù hợp cho sản xuất đa ngành nghề, VLXD cơ khí, chế tạo, giày da, may mặc...
Vị trí: Cụm công nghiệp Giang Biên, vị trí thuận lợi kết nối với các tuyến đường giao thông chính, cảng Hải Phòng, cảng lạch huyện, và các khu vực kinh tế trọng điểm.
Lợi ích khi đầu tư:
1. Tiềm năng phát triển: Hải Phòng là một trong những thành phố cảng lớn nhất miền Bắc, là đầu tàu kinh tế với nhiều cơ hội đầu tư và phát triển.
2. Hạ tầng hoàn thiện: Khu công nghiệp có hạ tầng giao thông thuận tiện, đồng bộ, đáp ứng yêu cầu vận chuyển hàng hóa.
3. Hỗ trợ đầu tư: Chính quyền địa phương cũng như các cơ quan liên quan đều tạo điều kiện thuận lợi cho nhà đầu tư, bao gồm các chính sách ưu đãi và hỗ trợ kỹ thuật.
Vĩnh Phát IP rất mong muốn được hợp tác với quý vị trong cơ hội đầu tư này. Nếu quý vị có bất kỳ câu hỏi hoặc muốn biết thêm thông tin chi tiết, vui lòng liên hệ với chúng tôi qua số điện thoại: hoặc email: vphat481@gmail.com
Chúng tôi chân thành cảm ơn quý vị đã quan tâm đến cơ hội này.
Hình ảnh
Vị trí ngay gần QL10, bàn giao ngay.
Đây là một trong những khu vực đang phát triển mạnh mẽ và có tiềm năng lớn cho các hoạt động sản xuất đa ngành nghề.
Thông tin chi tiết về bất động sản:
Diện tích: DT 5000, 7000, 9000, 20.000 m2.
Giá bán: 2,7 triệu/m2.
Tình trạng pháp lý: Giấy tờ pháp lý đầy đủ, thời hạn đến 2073.
Phân khu chức năng: Phù hợp cho sản xuất đa ngành nghề, VLXD cơ khí, chế tạo, giày da, may mặc...
Vị trí: Cụm công nghiệp Giang Biên, vị trí thuận lợi kết nối với các tuyến đường giao thông chính, cảng Hải Phòng, cảng lạch huyện, và các khu vực kinh tế trọng điểm.
Lợi ích khi đầu tư:
1. Tiềm năng phát triển: Hải Phòng là một trong những thành phố cảng lớn nhất miền Bắc, là đầu tàu kinh tế với nhiều cơ hội đầu tư và phát triển.
2. Hạ tầng hoàn thiện: Khu công nghiệp có hạ tầng giao thông thuận tiện, đồng bộ, đáp ứng yêu cầu vận chuyển hàng hóa.
3. Hỗ trợ đầu tư: Chính quyền địa phương cũng như các cơ quan liên quan đều tạo điều kiện thuận lợi cho nhà đầu tư, bao gồm các chính sách ưu đãi và hỗ trợ kỹ thuật.
Vĩnh Phát IP rất mong muốn được hợp tác với quý vị trong cơ hội đầu tư này. Nếu quý vị có bất kỳ câu hỏi hoặc muốn biết thêm thông tin chi tiết, vui lòng liên hệ với chúng tôi qua số điện thoại: hoặc email: vphat481@gmail.com
Chúng tôi chân thành cảm ơn quý vị đã quan tâm đến cơ hội này.
Đặc điểm nổi bật
Diện tích :
5000m2
Giá :
13,5 tỷ
Đường vào :
12m
Có thể bạn quan tâm
-
bán đất ở cụm công nghiệp giang biên, vĩnh bảo, hải phòng
1.235 tỷ 500000m² Đường 10, Xã Giang Biên, Vĩnh Bảo, Hải Phòng