Tin đăng này đã hết hạn trên sosanhnha.com Bạn có thể sử dụng công cụ tìm kiếm trên website để tìm những tin đăng mới nhất. hoặc xem chi tiết tin
Có thể bạn quan tâm Bán đất

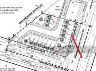
Bán đất đấu Giá Cổng Hinode Royal Park Hai Mặt đường, Kinh Doanh đỉnh

Liên hệ 73.9m²
Đặc điểm
Mã tin 33301022
Cập nhật 14/08
Loại tin Bán đất
Mức giá Liên hệ
Diện tích 73.9m²
Địa chỉ Lai Xá, Kim Chung, Hoài Đức, Hà Nội
Thông tin chi tiết
Cần bán lô đất 73,9 m² ngay cổng chính Hinode Royal Park, mặt trước đường 33 m, mặt sau đường 6 m 2 lối đi cực tiện cho kinh doanh và ở.

Mặt tiền: 5,4 m, sâu 13,69 m.

Sát khu đô thị đông đúc, gần đường 32 và vành đai 3.5.

Pháp lý chuẩn, sổ đỏ sẵn sàng sang tên.

Vị trí hiếm, lưu lượng qua lại lớn, tiềm năng tăng giá mạnh.

Giá bán đầu tư liên hệ ngay để xem đất.
Đặc điểm nổi bật
Diện tích :
73.9m2
Mặt tiền :
5.4m
Giá :
Giá thỏa thuận
Đường vào :
33m
Hình ảnh
Dịch vụ và tiện ích quanh đây:
Giáo dục Giáo dục Mua sắm Mua sắm Ngân hàng Ngân hàng Công viên Công viên Y tế Y tế
PHÒNG KHÁM CHUYÊN KHOA NHI NGUYỄN TRỌNG 1.5 km Đường Bê Tông, Thôn Cao Trung, Hoài Đức, Hà Nội
Công Ty Cổ Phần Sơn Lâm 2.8 km Xã Đức Thượng, Huyện Hoài Đức, Thành Phố Hà Nội, Đức Thượng, Hoài Đức, Hà Nội
Phòng Khám Chuyên Khoa Phụ Sản Hoài Đức 4 km 46 đường Đoàn Kết, xóm Gia, Hoài Đức, Hà Nội
Công Ty Tnhh Xây Dựng & Quảng Cáo Tân An 5.2 km Ngõ 75 Đ. Phú Diễn, Cầu Diễn, Bắc Từ Liêm, Hà Nội
Bao bì carton Hapackco 6.1 km Số 5D2, KĐT, Cầu Diễn, Bắc Từ Liêm, Hà Nội 100000
hanh 6.1 km 70, street, Nam Từ Liêm, 100000
Trường 6.2 km Trường Cao đẳng Đại, Mỹ Đình 1, Nam Từ Liêm, Hà Nội
Trung Tâm Phục Hồi SK Dr.B 6.3 km Chung cư Thăng Long Victory, Căn 14, Hoài Đức, Hà Nội
Công Ty Tnhh Phát Triển Thương Mại Và Dịch Vụ Ngọc Ánh 6.7 km 113 P. Mai Dịch, Mai Dịch, Hoàn Kiếm, Hà Nội
PHÒNG KHÁM NHA KHOA HÀ NỘI 7.3 km Ngõ 252 Hoàng Quốc Việt, Cổ Nhuế, Bắc Từ Liêm, Hà Nội
Viện Nghiên Cứu & Phát Triển Trung Tâm Nắng Mai 5.9 km 56 Khu Đô Thị Mỹ Đình 1, Cầu Diễn, Từ Liêm, Hà Nội
Công Ty Tnhh Thương Mại Và Sản Xuất Bảo Sơn 6.5 km 57 Ng. 347 Đ. Cổ Nhuế, Cổ Nhuế, Bắc Từ Liêm, Hà Nội
Công Ty Cổ Phần Phát Triển Công Nghệ Tài Nguyên Xanh 7.2 km số 30 Phạm Văn Đồng, Mai Dịch, Hoàn Kiếm, Hà Nội
Khoa mắt 7.4 km 9 P. Trần Bình, Mai Dịch, Cầu Giấy, Hà Nội
Nha Khoa Hoa Linh 7.8 km 347 Đ. Xuân Đỉnh, Xuân Đỉnh, Từ Liêm, Hà Nội
Công Ty Cổ Phần Truyền Thông Bất Động Sản Gtland Việt Nam 8.4 km 131 Trần Đăng Ninh, Dịch Vọng, Cầu Giấy, Hà Nội
Răng Hàm Mặt 6.6 km 2 P. Lưu Hữu Phước, Mỹ Đình, Từ Liêm, Hà Nội
Cà Phê Tít 7.2 km 40 Đ. Mỹ Đình, Mỹ Đình, Từ Liêm, Hà Nội
Bao Bì Hà Thành 9 km 42 P. Hoàng Sâm, Nghĩa Đô, Hoàn Kiếm, Hà Nội
CCIC 9.4 km Yên Hoà, Cầu Giấy, Hà Nội
Khoa nội tiết 7.4 km 9 P. Trần Bình, Mai Dịch, Cầu Giấy, Hà Nội
Công ty TNHH Sơn Đông 7.9 km Toà nhà Kim Hoàn, Ngõ 19, Từ Liêm, Hà Nội
Đoàn Thanh niên Bộ Nội vụ 8.1 km Tôn Thất Thuyết, Mỹ Đình, Cầu Giấy, Hà Nội
Plastic Joint Stock Company Phu Hoa An 8.3 km 272 Hữu Hưng, Đai Mỗ, Hà Đông, Hà Nội 100000
Đại lý thu BHXH, BHYT phường Nghĩa Tân 8.4 km Số 45 P. Nghĩa Tân, Nghĩa Tân, Cầu Giấy, Hà Nội
Trung tâm nghỉên cứu, tư vấn và phát triển bền vững 9.2 km Tòa nhà Sông Đà CG, số 6 255 P. q., 20 ngõ 165 Cầu Giấy Ng. 165 Đ. Cầu Giấy, Dịch Vọng, Cầu Giấy, Hà Nội
Trọ của Na 9.4 km 19 Ng. 36 P. Miếu Đầm, Mễ Trì, Từ Liêm, Hà Nội
Công ty cổ phần giáo dục và du lịch Vietkite 9.5 km P1006, Tòa nhà B6B, Hanoi City, Khu đô thị Nam Trung Yên, Cầu Giấy, Hà Nội 100000
Trung Tâm Giáo Dục Trẻ Em Ngày Mới 9.6 km Số 29 Ng. 68 Đ. Cầu Giấy, Nam Đồng, Hoàn Kiếm, Hà Nội
Học Xoa Bóp Bấm Huyệt - Trung cấp Y Dược Tuệ Tĩnh HN 9.7 km 20 P. Đông Quan, Nghĩa Đô, Cầu Giấy, Hà Nội 100000
Có thể bạn quan tâm
Được đăng bởi:
Nguyễn Văn Sinh
Nguyễn Văn Sinh