Tin đăng này đã hết hạn trên sosanhnha.com
Bạn có thể sử dụng công cụ tìm kiếm trên website để tìm những tin đăng mới nhất.
hoặc xem chi tiết tin
Có thể bạn quan tâm
Bán đất
Bán đất đấu Giá Khu Dân Cư Lạc Hòa Xã Ninh An
878 triệu
244m²
Đặc điểm
Mã tin
33076493
Cập nhật
14/07
Loại tin
Bán đất
Mức giá
878 triệu
Diện tích
244m²
Địa chỉ
Ninh An, Ninh Hòa, Khánh Hòa
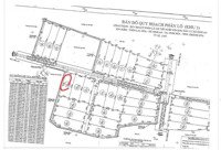
Tổng diện tích 244m2 chỉ 3.6tr/m2 full thổ nguồn gốc đất đấu giá nhà nước. Giáp đường bê tông gần khu dân cư.
Hình ảnh
Đặc điểm nổi bật
Diện tích :
244m2
Mặt tiền :
9.5m
Giá :
878,4 triệu
Đường vào :
6m
Có thể bạn quan tâm
-
chủ cần tiền bán nhanh. lô đất mặt tiền ngang 10 m. có thổ cư. giá chỉ: 629 triệu
629 triệu 474m² Xã Ninh An, Ninh Hòa, Khánh Hòa
-
chính chủ xã lỗ lô hoà thiện 1 xã bắc ninh hoà (ninh an cũ) giá tốt
550 triệu 273.5m² Thôn Hoà Thiện 1, Xã Ninh An, Ninh Hòa, Khánh Hòa
-
bán gấp 3205m2, có 3000m2 đất ở đô thị còn lại cây lâu năm
đường quốc lộ 1a, xã ninh an, ninh hòa,
29 tỷ 3205m² Đường Quốc lộ 1A, Xã Ninh An, Ninh Hòa, Khánh Hòa
-
em chính chủ bán 15.000m đất khu kinh tế vân phong đẹp, mặt tiền quốc lộ 1a ninh an, ninh hoà
65 tỷ 15000m² Đường Quốc lộ 1A, Xã Ninh An, Ninh Hòa, Khánh Hòa
-
chủ cần bán gấp lô đất mặt tiền 10m sổ hồng riêng giá siêu ưu đãi
550 triệu 444m² Thôn Hòa Thiện, Xã Ninh An, Ninh Hòa, Khánh Hòa
-
chủ bán lô lô đất . dt 474 m2, ngang 10 m . thổ cư 100%. chia được 2 lô , ô tô tận nơi.
599 triệu 474.4m² Xã Ninh An, Ninh Hòa, Khánh Hòa