Bán đất Dt 794m2 đất Thổ Hẻm 1041 Trần Xuân Soạn,tân Hưng,q7, Hcm, Giá 60 Triệu / M2, Lh
47,64 tỷ
794m²
Đặc điểm
Mã tin
34510837
Cập nhật
1 tuần trước
Loại tin
Bán đất
Mức giá
47,64 tỷ
Diện tích
794m²
Địa chỉ
hẻm 1041 Phố Trần Xuân Soạn, Phường Tân Hưng, Quận 7, Hồ Chí Minh
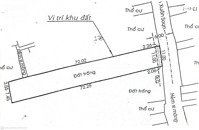
Đất nền có diện tích 794m2, vị trí đẹp tại Trần Xuân Soạn, Tân Hưng, Quận 7, TP.HCM.
Pháp lý đầy đủ, sổ hồng riêng.
Mặt tiền rộng 6m, thuận tiện cho kinh doanh.
Đường vào 6m, dễ dàng tiếp cận bằng xe hơi.
Phong thủy tốt, phù hợp cho việc xây dựng nhà ở hoặc đầu tư.
Giá bán 60 triệu / m2, rất hợp lý cho khu vực này.
Liên hệ ngay để biết thêm chi tiết: Xuân Trường
Hình ảnh
Pháp lý đầy đủ, sổ hồng riêng.
Mặt tiền rộng 6m, thuận tiện cho kinh doanh.
Đường vào 6m, dễ dàng tiếp cận bằng xe hơi.
Phong thủy tốt, phù hợp cho việc xây dựng nhà ở hoặc đầu tư.
Giá bán 60 triệu / m2, rất hợp lý cho khu vực này.
Liên hệ ngay để biết thêm chi tiết: Xuân Trường
Đặc điểm nổi bật
Diện tích :
794m2
Mặt tiền :
6m
Giá :
47,64 tỷ
Đường vào :
6m
Có thể bạn quan tâm
-
bán đất gần lotte mart nguyễn thị thập, 47,3m2, hxh, shr ko quy hoạch, giá chỉ 5tỷ thương lượng
5 tỷ 47.3m² Đường Lê Văn Lương, Phường Tân Hưng, Quận 7, Hồ Chí Minh
-
đất vuông vắn xd đẹp - 64 mét vuông chỉ 6tỷ ( còn thương lượng ) hẻm rộng kv p. tân hưng kề himlam
6 tỷ 64m² Phường Tân Hưng, Quận 7, Hồ Chí Minh
-
lô đất phường tân hưng quận 7, dt 64m( 4.5x14m), gần lotte xây dựng 5 tầng, nhỉnh 6.5 tỷ
6,5 tỷ 64m² Phố Trần Xuân Soạn, Phường Tân Hưng, Quận 7, Hồ Chí Minh
-
đất trống có sẵn gpxd ( 5x20m ) không trừ lộ giới - khu vực nhà phố đồng bộ, yên tĩnh - 13tỷ
13 tỷ 100m² Phường Tân Hưng, Quận 7, Hồ Chí Minh
-
bán lô đất vuông vức ngay sát lotte quân 7, hàng hiếm tại tân hưng, q7, tp.hcm
10 tỷ 68m² Đường Số 793, Phường Tân Hưng, Quận 7, Hồ Chí Minh
-
đất rẻ nhất quận 7 chỉ 70tr/m2
56 tỷ 794m² Phố Trần Xuân Soạn, Phường Tân Hưng, Quận 7, Hồ Chí Minh