Tin đăng này đã hết hạn trên sosanhnha.com
Bạn có thể sử dụng công cụ tìm kiếm trên website để tìm những tin đăng mới nhất.
hoặc xem chi tiết tin
Có thể bạn quan tâm
Bán đất
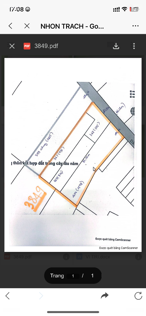
Bán đất đường Hoà Bình, Xã Vĩnh Thanh, Nhơn Trạch, đồng Nai. 3849m2 Full Thổ Cư
32 tỷ
3849m²
Đặc điểm
Mã tin
33574939
Cập nhật
19/09
Loại tin
Bán đất
Mức giá
32 tỷ
Diện tích
3849m²
Địa chỉ
Đường Hòa Bình, Xã Vĩnh Thanh, Nhơn Trạch, Đồng Nai
Bán quỹ đất 3849m2 full thổ cư đường Hoà Bình, Vĩnh Thanh, Nhơn Trạch, Đồng Nai. Ngang 46m gồm 4 sổ. Ngân hàng cho vay. Phù hợp mua đầu tư lâu dài sinh lời cao. Còn 1 lô duy nhất giá tốt.
Hình ảnh
Đặc điểm nổi bật
Diện tích :
3849m2
Mặt tiền :
46m
Giá :
32 tỷ
Đường vào :
8m
Có thể bạn quan tâm
-
bán đất nền full thổ cư, gần đường nguyễn ái quốc cầu cát lái, 166m2, 14tr/m2
2,32 tỷ 166m² Đường Hùng Vương, Xã Vĩnh Thanh, Nhơn Trạch, Đồng Nai
-
cần bán gấp vài lô đất đường qh 32m ôtô 1/nguyễn ái quốc (25c) gần vđ03, thổ cư, kdc, giá rẻ đầu tư
Liên hệ 8260m² Đường Nguyễn Ái Quốc, Xã Vĩnh Thanh, Nhơn Trạch, Đồng Nai
-
bán lô đất mặt tiền đường hùng vương, vĩnh thanh. dt 1091m2, giá đầu tư, sổ cất két, sẵn sàng gd
25 tỷ 1091m² Đường Hùng Vương, Xã Vĩnh Thanh, Nhơn Trạch, Đồng Nai
-
chĩnh chủ gửi bán nền đất ngay 1 sẹc đường hùng vương, huyện nhơn trạch, ngay cầu cát lái, giá f0
1,65 tỷ 83m² Đường Hùng Vương, Xã Vĩnh Thanh, Nhơn Trạch, Đồng Nai
-
cần bán nền đất thổ cư ngay 1 sẹc đường hùng vương, nhơn trạch, ngay sát cầu cát lái, giá f0 rẻ
1,65 tỷ 83m² Đường Hùng Vương, Xã Vĩnh Thanh, Nhơn Trạch, Đồng Nai
-
bán đất vĩnh thanh, nhơn trạch. dt 100m2, trong đó có 80m thổ cư, giá đầu tư, chớp ngay kẻo lỡ
1,65 tỷ 100m² Vĩnh Thanh, Nhơn Trạch, Đồng Nai