Bán đất Góc 2mt Hẻm Xe Tải Kế Bên Cc Moonlight Đường Đặng Văn Bi, P. Thủ Đức- TP. HCM 110m2/9.5ty
9,5 tỷ
110m²
Đặc điểm
Mã tin
33909502
Cập nhật
31/10/2025
Loại tin
Bán đất
Mức giá
9,5 tỷ
Diện tích
110m²
Địa chỉ
đặng văn bi,Phường Bình Thọ, Quận Thủ Đức, Hồ Chí Minh
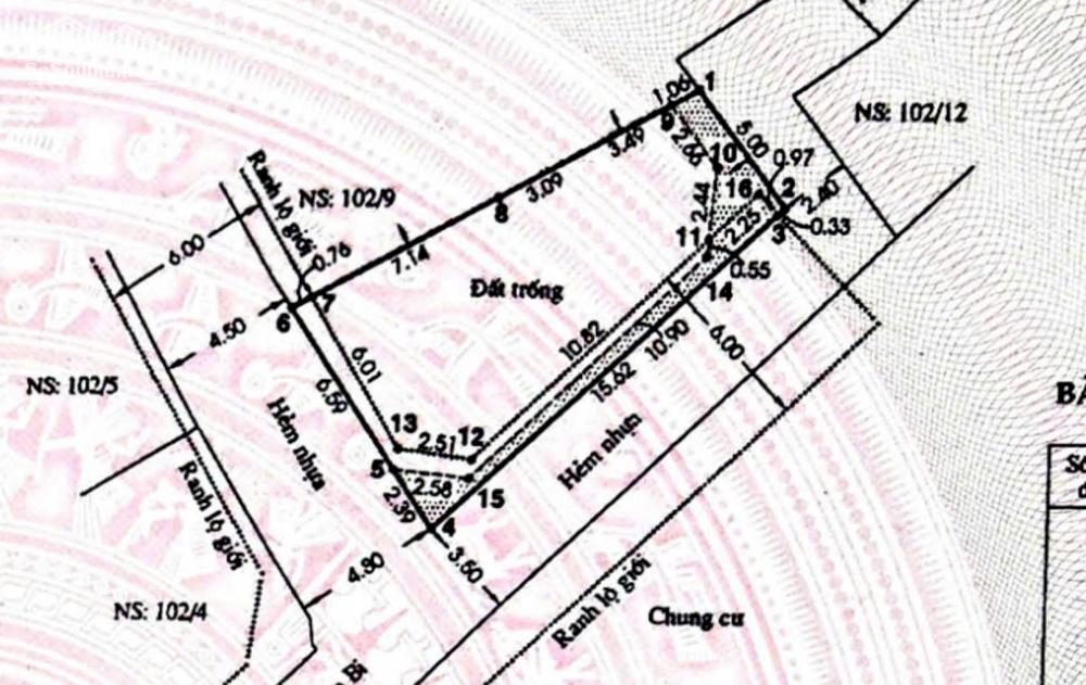
Bán đất góc 2mt hẻm xe tải kế bên cc moonlight Đường Đặng Văn Bi, P. Thủ Đức- TP. HCM
- Kế bên chung cư Chung cư Moonlight Residences - Lotte - VNVC
- DT : 108,8 m² Hệ số 6.0
- Giá : 9.5tỷ TL
- Cách Đặng Văn Bi 50m
lh tài 0935626974
Hình ảnh
- Kế bên chung cư Chung cư Moonlight Residences - Lotte - VNVC
- DT : 108,8 m² Hệ số 6.0
- Giá : 9.5tỷ TL
- Cách Đặng Văn Bi 50m
lh tài 0935626974
Có thể bạn quan tâm
-
bán đất tại đặng văn bi, giá cực chất 9,5 tỷ, 110 m2
9,5 tỷ 110m² Đường Đặng Văn Bi, Phường Bình Thọ, Thành phố Thủ Đức, Hồ Chí Minh
-
bán đất xây toà nhà-mặt tiền đặng văn bi-khu vip bình thọ-dt:128m2(6mx21,3m) ngay ga metro xlhn
23 tỷ 128m² Đường Đặng Văn Bi, Phường Bình Thọ, Thủ Đức, Hồ Chí Minh
-
hàng đẹp khan hiếm của bình thọ ,sót lô full thổ ngang 6m -gần ga metro thủ đức
12,9 tỷ 110m² Đường Đặng Văn Bi, Phường Bình Thọ, Thủ Đức, Hồ Chí Minh
-
bán đất 33m x 48m = 1580m2 thổ cư 100% mặt tiền đường công lý phường bình thọ tp thủ đức tp hcm
130 tỷ 1580m² Đường Công Lý, Phường Bình Thọ, Thủ Đức, Hồ Chí Minh
-
hàng f0! lô góc 2 mặt tiền chỉ 6,6 tỷ ngang 6.5m ngay đ. dân chủ - chợ bắc ninh bình thọ
6,6 tỷ 69m² Đường Dân Chủ, Phường Bình Thọ, Thủ Đức, Hồ Chí Minh
-
bán lô đất full thổ cư vị trí vàng bình thọ - ngang 5m ngay chợ bắc ninh - xd tự do - hệ số cao
6,58 tỷ 66.5m² Đường 4, Phường Bình Thọ, Thủ Đức, Hồ Chí Minh