Tin đăng này đã hết hạn trên sosanhnha.com
Bạn có thể sử dụng công cụ tìm kiếm trên website để tìm những tin đăng mới nhất.
hoặc xem chi tiết tin
Có thể bạn quan tâm
Bán đất
Bán đất, Lô Góc 2 Mặt Tiền, Hẻm ô Tô, Chợ Phú Thuận, Xây Dựng 3 Lầu đồng Bộ
4,9 tỷ
60.75m²
Đặc điểm
Mã tin
33411498
Cập nhật
27/08/2025
Loại tin
Bán đất
Mức giá
4,9 tỷ
Diện tích
60.75m²
Địa chỉ
Đường Huỳnh Tấn Phát, Phường Phú Thuận, Quận 7, Hồ Chí Minh
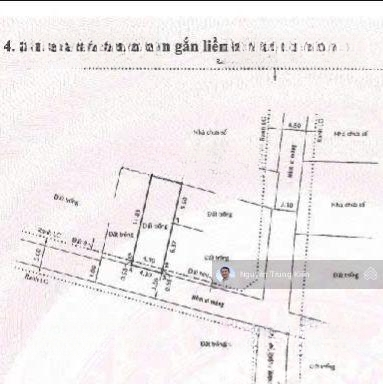
Bán đất lô góc 2MT HXH, chợ Phú Thuận, xây dựng 3 lầu đồng bộ.
7m x 14m 7.2 tỷ.
5.5m x 13.5m 6.8 tỷ.
4.5m x 13.5m 4.9 tỷ.
Sổ hồng riêng từng nền, không quy hoạch.
LH gặp Kiên Nhà Phố để biết thêm chi tiết.
Hình ảnh
7m x 14m 7.2 tỷ.
5.5m x 13.5m 6.8 tỷ.
4.5m x 13.5m 4.9 tỷ.
Sổ hồng riêng từng nền, không quy hoạch.
LH gặp Kiên Nhà Phố để biết thêm chi tiết.
Đặc điểm nổi bật
Diện tích :
60.75m2
Mặt tiền :
4.5m
Giá :
4,9 tỷ
Đường vào :
4m
Có thể bạn quan tâm
-
đất trống tiện xây - khu cao tầng - xe hơi đỗ - phú thuận - 4x 17 vuông đẹp - chỉ 4.x tỷ
4,98 tỷ 67m² Đường Huỳnh Tấn Phát, Phường Phú Thuận, Quận 7, Hồ Chí Minh
-
bán đất 4x17m full thổ cư, hẻm xe tải quay đầu gần chợ phú thuận, quận 7 chưa tới 5 tỷ!!!
4,98 tỷ 70m² Đường Huỳnh Tấn Phát, Phường Phú Thuận, Quận 7, Hồ Chí Minh
-
(video full) tận 205m2 hẻm 3m. ngang 8.3m. khu dân cư hiện hữu. 30m ra đường xe hơi. gần q1 tầm 6km
7,9 tỷ 205m² 1 1135 Huỳnh Tấn Phát, Phường Phú Thuận, Quận 7, Hồ Chí Minh
-
bán đất hẻm đường phú thuận, quận 7, tp.hcm, giá ưu đãi 4,95 tỷ, diện tích 68m2 đẹp, nhiều tiện ích
4,95 tỷ 68m² Đường Phú Thuận, Phường Phú Thuận, Quận 7, Hồ Chí Minh
-
đất huỳnh tấn phát đường xehơi thông tứ trung-gần nam long tấn trường
5,19 tỷ 70m² Đường Huỳnh Tấn Phát, Phường Phú Thuận, Quận 7, Hồ Chí Minh
-
bán đất hxh 1015 huỳnh tấn phát, xe tải tránh nhau, full thổ cư xây cao tầng, dt: 80m2, giá 5 tỷ
5 tỷ 80m² Hẻm 1015, Đường Huỳnh Tấn Phát, Phường Phú Thuận, Quận 7, Hồ Chí Minh