Bán đất Mặt Tiền đường Lớn, 4.5x16m. Giá 3.9 Tỷ Tại An Phú đông. Q12. Gần Sông Sài Gòn
3,9 tỷ
72m²
Đặc điểm
Mã tin
34635200
Cập nhật
12 giờ trước
Loại tin
Bán đất
Mức giá
3,9 tỷ
Diện tích
72m²
Địa chỉ
Đường Vườn Lài, Phường An Phú Đông, Quận 12, Hồ Chí Minh
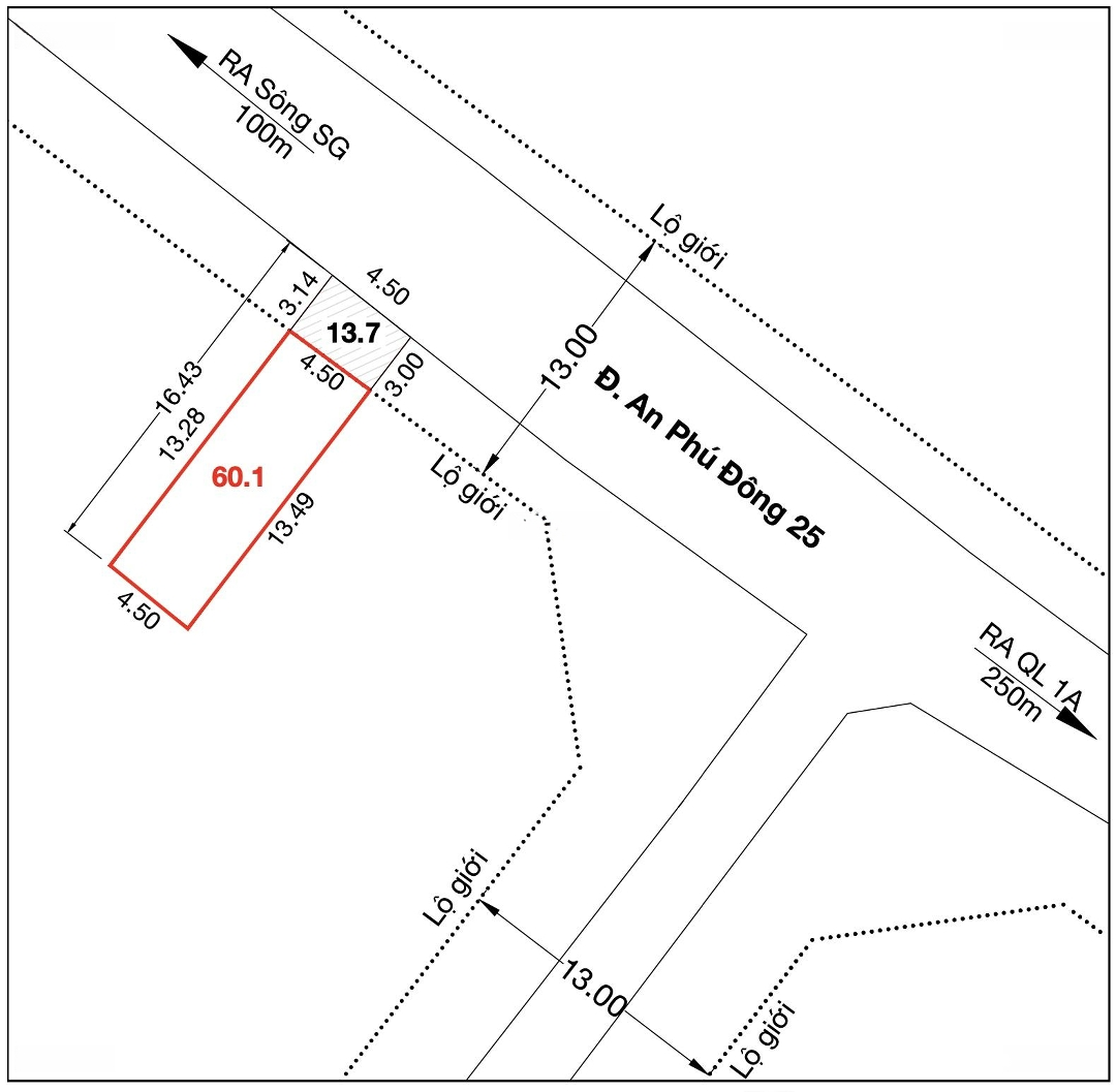
+ ĐẤT MẶT TIỀN ĐƯỜNG LỚN. CÓ GIÁ ĐẦU TƯ CHỈ 3.9 tỷ !!!!
+ DT: 4.5x16m=73m. Đất ở 60m
+ 3.9 tỷ
+ Mặt tiền An Phú Đông 25, rộng thênh thang, xe tải quay đầu, kinh doanh buôn bán sầm uất!!!
+ Sổ hồng riêng. Sang tên ngay
Hình ảnh
+ DT: 4.5x16m=73m. Đất ở 60m
+ 3.9 tỷ
+ Mặt tiền An Phú Đông 25, rộng thênh thang, xe tải quay đầu, kinh doanh buôn bán sầm uất!!!
+ Sổ hồng riêng. Sang tên ngay
Đặc điểm nổi bật
Diện tích :
72m2
Mặt tiền :
4.5m
Giá :
3,9 tỷ
Đường vào :
10m
Có thể bạn quan tâm
-
bán đất hẻm 224 thông ra hem 252 đường nhựa dự phóng 16m : 5x26m = 129m2 tc 5x21m =105 m 107.4m2
8,5 tỷ 129m² Đường Vườn Lài, Phường An Phú Đông, Quận 12, Hồ Chí Minh
-
bán đất góc 2 mặt tiền hẻm 47 vườn lài , diện tích: 127m2 (5,3 x 22), thổ cư 121,7m2 giá: 8.9 tỷ
8,9 tỷ 121m² Đường Vườn Lài, Phường An Phú Đông, Quận 12, Hồ Chí Minh
-
cần bán gấp lô đất 155.5m hẻm 140/27 đường vườn lài giá 10.95 tỷ
10,95 tỷ 155.5m² Đường Vườn Lài, Phường An Phú Đông, Quận 12, Hồ Chí Minh
-
cần bán đất hẻm 301 đường vườn lài diện tích 5 x 20m xây được 6 tầng
9,7 tỷ 100m² Đường Vườn Lài, Phường An Phú Đông, Quận 12, Hồ Chí Minh
-
19000m2 quỹ đất vàng ven sông q12 (apđ 13) làm dự án, phân lô bao ra pháp lý 1/500 chỉ 900 tỷ
900 tỷ 19000m² Đường An Phú Đông 13, Phường An Phú Đông, Quận 12, Hồ Chí Minh
-
cần ra lô đất góc 2 mặt tiền 6,2x13m hẻm 94 đường 7m thông chỉ 5,5 tỷ
5,5 tỷ 80m² Đường Vườn Lài, Phường An Phú Đông, Quận 12, Hồ Chí Minh