Tin đăng này đã hết hạn trên sosanhnha.com
Bạn có thể sử dụng công cụ tìm kiếm trên website để tìm những tin đăng mới nhất.
hoặc xem chi tiết tin
Có thể bạn quan tâm
Bán đất
Bán đất Mặt Tiền đường Số 20, Hiệp Bình Chánh, Thủ đức, Hcm, Giá ưu đãi 40 Tỷ, 400m2
40 tỷ
400m²
Đặc điểm
Mã tin
34200548
Cập nhật
11/12/2025
Loại tin
Bán đất
Mức giá
40 tỷ
Diện tích
400m²
Địa chỉ
Đường Số 20, Phường Hiệp Bình Chánh, Thủ Đức, Hồ Chí Minh
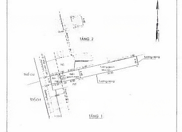
Đất nằm mặt tiền Đường Số 20, Phường Hiệp Bình Chánh, Thủ Đức, Hồ Chí Minh, có diện tích 400m2, giá 40 tỷ VND.
Đường rộng 6m (quy hoạch 16m), phù hợp cho xe ô tô ra vào dễ dàng.
Mặt tiền 7.5m, lý tưởng cho việc kinh doanh.
Pháp lý đầy đủ, đảm bảo an toàn cho giao dịch.
Cách trường học 1km, thuận tiện cho gia đình có trẻ nhỏ.
Cách chợ/siêu thị 1.5km, dễ dàng mua sắm hàng ngày.
Cách công viên 2km, không gian xanh cho cả gia đình.
Liên hệ ngay để biết thêm thông tin chi tiết: Trình nhà đất Thủ Đức
Hình ảnh
Đường rộng 6m (quy hoạch 16m), phù hợp cho xe ô tô ra vào dễ dàng.
Mặt tiền 7.5m, lý tưởng cho việc kinh doanh.
Pháp lý đầy đủ, đảm bảo an toàn cho giao dịch.
Cách trường học 1km, thuận tiện cho gia đình có trẻ nhỏ.
Cách chợ/siêu thị 1.5km, dễ dàng mua sắm hàng ngày.
Cách công viên 2km, không gian xanh cho cả gia đình.
Liên hệ ngay để biết thêm thông tin chi tiết: Trình nhà đất Thủ Đức
Đặc điểm nổi bật
Diện tích :
400m2
Mặt tiền :
7.5m
Giá :
40 tỷ
Đường vào :
6m
Có thể bạn quan tâm
-
sở hữu ngay đất ven sông hiệp bình 8x15m xây 1t2l st giá tốt thương lượng
15 tỷ 120m² Đường 23, Phường Hiệp Bình Chánh, Thành phố Thủ Đức, Hồ Chí Minh
-
siêu phẩm bên sông xây bulding - kế bên gigamall - ngay opal garden - dt 8*22.5m - giá chỉ 26 tỷ
26 tỷ 180m² Đường 20, Phường Hiệp Bình Chánh, Thành phố Thủ Đức, Hồ Chí Minh
-
bán đất f0 đường số 22 hiệp bình chánh, tp thủ đức 56m² gần vành đai 2 sổ riêng 5.4 tỷ tl
5,4 tỷ 56m² Đường Số 22, Phường Hiệp Bình Chánh, Thành phố Thủ Đức, Hồ Chí Minh
-
đất khu dân cư hiện hữu đường số 22 56m² giá tốt cho khách nhanh
5,4 tỷ 56m² Đường Số 22, Phường Hiệp Bình Chánh, Thành phố Thủ Đức, Hồ Chí Minh
-
đất dt lớn thích hợp xây chdv, ks sát đường tam bình 9,5 tỷ tl mạnh
9,5 tỷ 134.3m² Đường Số 44, Phường Hiệp Bình Chánh, Thành phố Thủ Đức, Hồ Chí Minh
-
đất đẹp còn sót lại khu phân lô đường 40, hiệp bình chánh 5 tỷ tl
5 tỷ 50.8m² Đường Số 40, Phường Hiệp Bình Chánh, Thành phố Thủ Đức, Hồ Chí Minh