Tin đăng này đã hết hạn trên sosanhnha.com
Bạn có thể sử dụng công cụ tìm kiếm trên website để tìm những tin đăng mới nhất.
hoặc xem chi tiết tin
Có thể bạn quan tâm
Bán đất nền dự án
Bán đất Nền 3000m2 Tại Xã Ninh Hòa, Hoa Lư, Ninh Bình, Giá 12,5 Triệu Vnd
12 triệu/m²
3000m²
Đặc điểm
Mã tin
33281317
Cập nhật
12/08/2025
Loại tin
Bán đất nền dự án
Mức giá
12 triệu/m²
Diện tích
3000m²
Địa chỉ
Xã Ninh Hòa, Hoa Lư, Ninh Bình
BÁN ĐẤT CƠ SỞ SẢN XUẤT PHI NÔNG NGHIỆP VỊ TRÍ ĐẮC ĐỊA TẠI NINH BÌNH
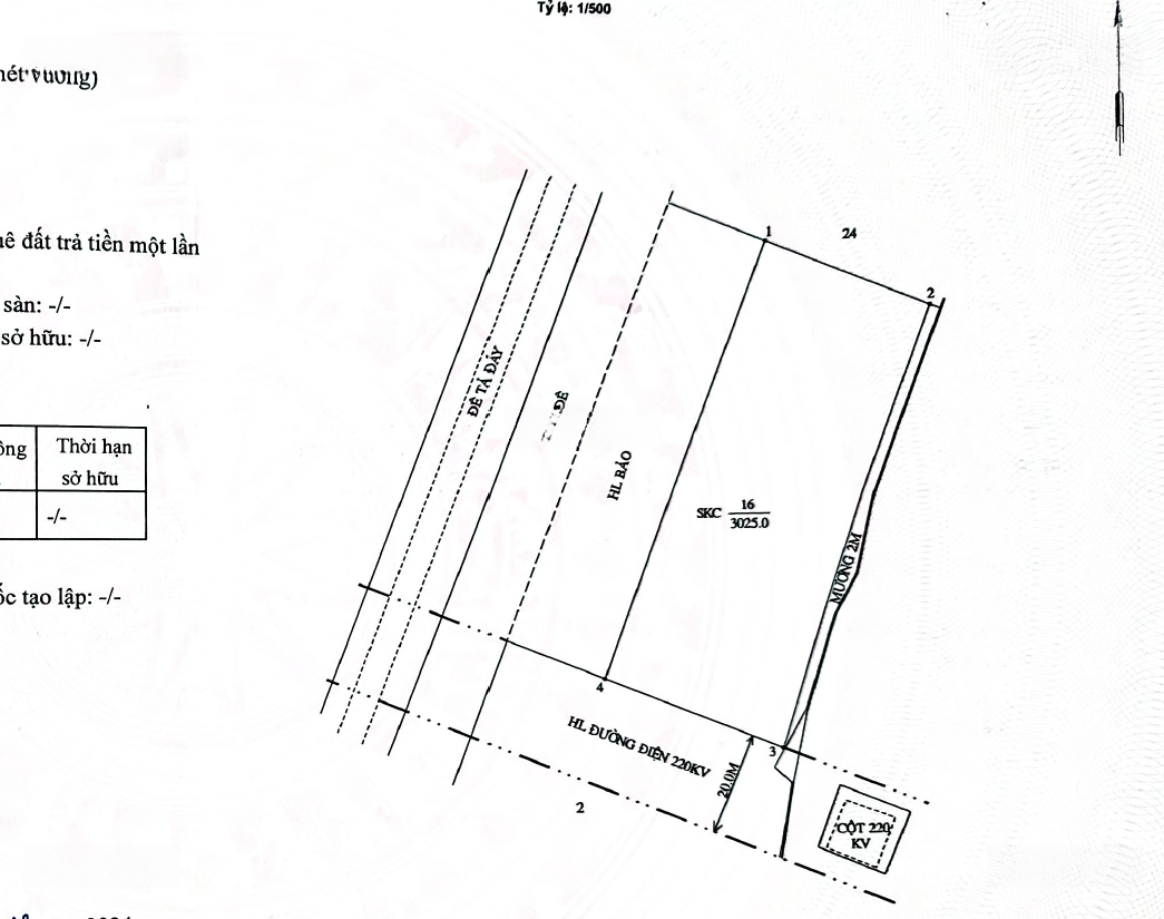
Vị trí: Xã Ý Yên, Ninh Bình cạnh Sông Đáy, đối diện qua sông là Quảng trường Thành phố Hoa Lư trung tâm văn hóa, kinh tế sôi động bậc nhất Ninh Bình.
Thông tin lô đất:
Diện tích: 3.000m²
Loại đất: Đất cơ sở sản xuất phi nông nghiệp (SKC)
Pháp lý: Sổ đỏ chính chủ, sang tên nhanh chóng
Hạ tầng hoàn thiện: Điện, nước đầy đủ; tường rào kiên cố bao quanh toàn bộ khu đất.
Giao thông thuận tiện: Tiếp giáp trục đường chính, kết nối nhanh với trung tâm thành phố và các khu công nghiệp lân cận.
Ưu điểm nổi bật:
Vị trí sát sông, tầm nhìn thoáng đẹp, không gian mát mẻ.
Đối diện khu quảng trường trung tâm tổ chức sự kiện, lễ hội, thu hút đông đảo khách du lịch và người dân.
Phù hợp xây dựng nhà xưởng, kho bãi, cơ sở sản xuất kinh doanh, hoặc phát triển dịch vụ du lịch ẩm thực.
Giá bán: 12,5 triệu/1m2.
Liên hệ ngay: để được tư vấn chi tiết và xem đất thực tế.
Hình ảnh
Vị trí: Xã Ý Yên, Ninh Bình cạnh Sông Đáy, đối diện qua sông là Quảng trường Thành phố Hoa Lư trung tâm văn hóa, kinh tế sôi động bậc nhất Ninh Bình.
Thông tin lô đất:
Diện tích: 3.000m²
Loại đất: Đất cơ sở sản xuất phi nông nghiệp (SKC)
Pháp lý: Sổ đỏ chính chủ, sang tên nhanh chóng
Hạ tầng hoàn thiện: Điện, nước đầy đủ; tường rào kiên cố bao quanh toàn bộ khu đất.
Giao thông thuận tiện: Tiếp giáp trục đường chính, kết nối nhanh với trung tâm thành phố và các khu công nghiệp lân cận.
Ưu điểm nổi bật:
Vị trí sát sông, tầm nhìn thoáng đẹp, không gian mát mẻ.
Đối diện khu quảng trường trung tâm tổ chức sự kiện, lễ hội, thu hút đông đảo khách du lịch và người dân.
Phù hợp xây dựng nhà xưởng, kho bãi, cơ sở sản xuất kinh doanh, hoặc phát triển dịch vụ du lịch ẩm thực.
Giá bán: 12,5 triệu/1m2.
Liên hệ ngay: để được tư vấn chi tiết và xem đất thực tế.
Đặc điểm nổi bật
Diện tích :
3000m2
Mặt tiền :
100m
Giá :
12,5 triệu
Đường vào :
30m