Tin đăng này đã hết hạn trên sosanhnha.com
Bạn có thể sử dụng công cụ tìm kiếm trên website để tìm những tin đăng mới nhất.
hoặc xem chi tiết tin
Có thể bạn quan tâm
Bán đất
Bán đất Nền Chính Chủ Lâu Năm Tại Trần Xuân Soạn Q7
7,2 tỷ
106m²
Đặc điểm
Mã tin
34304410
Cập nhật
23/12/2025
Loại tin
Bán đất
Mức giá
7,2 tỷ
Diện tích
106m²
Địa chỉ
Phố Trần Xuân Soạn, Phường Tân Kiểng, Quận 7, Hồ Chí Minh
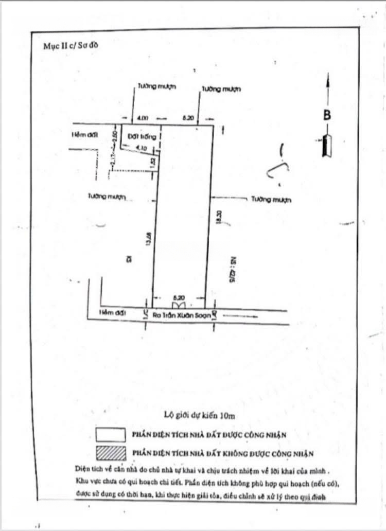
Bán đất nền tại Trần Xuân Soạn, Q. 7 (chính chủ lâu năm).
Vị trí: Hẻm thông thoáng, ngay đường Trần Xuân Soạn, P. Tân Kiểng, Quận 7.
Diện tích: 106m2 (ngang 5.2m nở hậu đẹp, dài 19.3m).
Đất thổ cư 100%, sổ hồng riêng, chính chủ cất bank.
Hẻm bê tông rộng rãi, sạch sẽ.
Khu dân cư hiện hữu, an ninh, hàng xóm thân thiện!
Gần chợ Tân Thuận, Lotte Mart, chỉ 5 phút sang Phú Mỹ Hưng.
Thích hợp xây nhà ở, căn hộ dịch vụ hoặc đầu tư sinh lời. Tiềm năng tăng giá trong tương lai,
Thích hợp đầu tư giữ tiền!
Hình ảnh
Vị trí: Hẻm thông thoáng, ngay đường Trần Xuân Soạn, P. Tân Kiểng, Quận 7.
Diện tích: 106m2 (ngang 5.2m nở hậu đẹp, dài 19.3m).
Đất thổ cư 100%, sổ hồng riêng, chính chủ cất bank.
Hẻm bê tông rộng rãi, sạch sẽ.
Khu dân cư hiện hữu, an ninh, hàng xóm thân thiện!
Gần chợ Tân Thuận, Lotte Mart, chỉ 5 phút sang Phú Mỹ Hưng.
Thích hợp xây nhà ở, căn hộ dịch vụ hoặc đầu tư sinh lời. Tiềm năng tăng giá trong tương lai,
Thích hợp đầu tư giữ tiền!
Đặc điểm nổi bật
Diện tích :
106m2
Mặt tiền :
5.2m
Giá :
7,2 tỷ
Có thể bạn quan tâm
-
hxh đỗ cửa 3.5m - đất đẹp thẳng 1 trục ra mt lê văn lương tân phong cũ-gần 50m2 chỉ 5 tỷ
5 tỷ 47m² Đường Lê Văn Lương, Phường Tân Kiểng, Quận 7, Hồ Chí Minh
-
6 tỷ có mảnh đất 100m2 hxh vuông vức kdc hiện hữu xây nhà hay chdv, gần lotte, q7
6 tỷ 100m² Đường Tân Mỹ, Phường Tân Kiểng, Quận 7, Hồ Chí Minh
-
đất đẹp giá tốt phù hợp xây chdv đường số tân kiểng q7 có sẵn gpxd 7 tầng
23,9 tỷ 136m² Đường Số 45, Phường Tân Kiểng, Quận 7, Hồ Chí Minh
-
chính chủ bán đất tặng nhà mặt tiền đường số tân kiểng q7 6.8x20 phù hợp xây chdv
23,9 tỷ 136m² Đường Số 45, Phường Tân Kiểng, Quận 7, Hồ Chí Minh
-
cần bán nhanh lô đất hẻm 8m lê văn lương
10 tỷ 64m² Đường Lê Văn Lương, Phường Tân Kiểng, Quận 7, Hồ Chí Minh
-
Đất 16x35m hẻm 30 Lâm Văn Bền Phường Tân Kiểng Q7. xe Tải Ra vào
75 tỷ 574m² hẻm 30 lâm văn bền phường tân kiểng Q7