Tin đăng này đã hết hạn trên sosanhnha.com
Bạn có thể sử dụng công cụ tìm kiếm trên website để tìm những tin đăng mới nhất.
hoặc xem chi tiết tin
Có thể bạn quan tâm
Bán đất
Bán đất Nền Thạch Thất - Hòa Lạc
2,5 tỷ
100m²
Đặc điểm
Mã tin
34299056
Cập nhật
23/12/2025
Loại tin
Bán đất
Mức giá
2,5 tỷ
Diện tích
100m²
Địa chỉ
Đường Đồng Trúc, Xã Hạ Bằng, Thạch Thất, Hà Nội
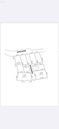
Bán đất nền Thạch Thất - Hòa Lạc.
Bán 3 lô giá F0 tại Đồng Trúc cũ nay là xã Hạ Bằng - Hà Nội.
Diện tích: 100m² full thổ cư vị trí cực đẹp.
Cách Đại lộ Thăng Long, điềm dừng Ga Metro số 5 chỉ 500m, cách đấu giá Đồng Trúc 400m. Bên cạnh khu công nghệ cao Hòa Lạc.
Đường trước đất 2 ô tô tránh, từ trục liên xã mở rộng vào chỉ 350m.
Sẵn sổ công chứng trong ngày.
Hình ảnh
Bán 3 lô giá F0 tại Đồng Trúc cũ nay là xã Hạ Bằng - Hà Nội.
Diện tích: 100m² full thổ cư vị trí cực đẹp.
Cách Đại lộ Thăng Long, điềm dừng Ga Metro số 5 chỉ 500m, cách đấu giá Đồng Trúc 400m. Bên cạnh khu công nghệ cao Hòa Lạc.
Đường trước đất 2 ô tô tránh, từ trục liên xã mở rộng vào chỉ 350m.
Sẵn sổ công chứng trong ngày.
Đặc điểm nổi bật
Diện tích :
100m2
Mặt tiền :
5.6m
Giá :
2,5 tỷ
Có thể bạn quan tâm
-
em tám bán lô đất gần đại lộ thăng long, đại học fpt, diện tích 100m2 sẵn sổ xây cho thuê được
3,8 tỷ 100m² Xã Hạ Bằng, Thạch Thất, Hà Nội
-
duy nhất 1 lô góc 101,6m2 đất tân xã hạ bằng giá chỉ 3xtr/m2. cách đại học fpt 500m
4 tỷ 101.6m² Đường 420, Xã Hạ Bằng, Thạch Thất, Hà Nội
-
bán đất phân lô hạ bằng gần khu nhà trọ sổ đỏ sẵn sang tên
4,6 tỷ 100m² Xã Hạ Bằng, Huyện Thạch Thất, Hà Nội
-
35tr/m bán gấp đất gần bờ hồ tân xã, gần đại học fpt và kcnc hoà lạc
4,9 tỷ 140.6m² Đường Liên Xã, Xã Hạ Bằng, Thạch Thất, Hà Nội
-
cần tiền bán gấp mảnh hạ bằng thạch thất gần trường đh fpt -tuyến metro văn cao -hoà lạc
2,8 tỷ 79m² Xã Hạ Bằng, Thạch Thất, Hà Nội
-
bán đất cạnh khu dịch vụ tân xã tại hạ bằng, hoà lạc 348m2 lô góc mt 16m, 11.2 tỷ:
11,21 tỷ 348m² Phố Hạ Bằng, Xã Hạ Bằng, Thạch Thất, Hà Nội