Tin đăng này đã hết hạn trên sosanhnha.com
Bạn có thể sử dụng công cụ tìm kiếm trên website để tìm những tin đăng mới nhất.
hoặc xem chi tiết tin
Có thể bạn quan tâm
Bán đất
Bán đất Ngay Dh507 Tp. Hcm đối Diện Kcn Vsip 4 - 201.8m2 Giá 260tr - Sổ Sẳn
260 triệu
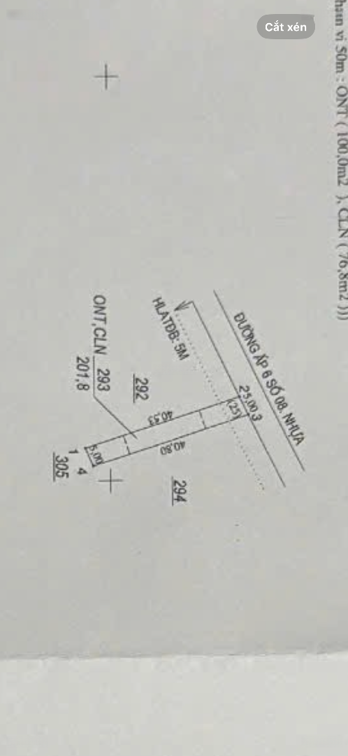
201.8m²
Đặc điểm
Mã tin
33650482
Cập nhật
02/10
Loại tin
Bán đất
Mức giá
260 triệu
Diện tích
201.8m²
Địa chỉ
Đường DH507, Xã An Linh, Huyện Phú Giáo, Bình Dương
Bán đất ngay DH 507 TP. HCM đối diện KCN Vsip 4 - 201.8m2 giá 260tr - sổ sẵn.
Sai lầm đi vào con đường sai trái, bán nhanh lô đất ngay DH507 TP HCM đi vào 100m, mặt tiền đường nhựa hiện hữu 10m, điện sẳn, nước máy, dân cư đông, tương lai mua bán kinh doanh được.
Chợ trường sát bên, đi xe máy hết 5p.
Anh chị mua đầu tư thích KCN thì lô này rất nên cân đối, đối diện KCN Vsip 4 1000h (700m), cách vành đai 6 1km, cách cao tốc HCM - TDM - Chơn Thành đang triển khai 4km.
260Tr lo giấy tờ sang tên, đo đạc lại đất nếu muốn, thuế bên nào bên đó đóng (có thể thương lượng). Có bớt cho anh chị mua bán nhanh.
Liên hệ xem đất.
Hình ảnh
Sai lầm đi vào con đường sai trái, bán nhanh lô đất ngay DH507 TP HCM đi vào 100m, mặt tiền đường nhựa hiện hữu 10m, điện sẳn, nước máy, dân cư đông, tương lai mua bán kinh doanh được.
Chợ trường sát bên, đi xe máy hết 5p.
Anh chị mua đầu tư thích KCN thì lô này rất nên cân đối, đối diện KCN Vsip 4 1000h (700m), cách vành đai 6 1km, cách cao tốc HCM - TDM - Chơn Thành đang triển khai 4km.
260Tr lo giấy tờ sang tên, đo đạc lại đất nếu muốn, thuế bên nào bên đó đóng (có thể thương lượng). Có bớt cho anh chị mua bán nhanh.
Liên hệ xem đất.
Đặc điểm nổi bật
Diện tích :
201.8m2
Mặt tiền :
5m
Giá :
260 triệu
Đường vào :
10m
Có thể bạn quan tâm
-
mt kinh doanh có lô đất đẹp ngang 10m phù hợp nhiều loại hình kinh doanh khác nhau
640 triệu 396m² Đường DH507, Xã An Linh, Phú Giáo, Bình Dương
-
đất gần trường tiểu học đi vào dt 2873m2 giá 790tr mua công liền
790 triệu 2873m² Đường DH507, Xã An Linh, Phú Giáo, Bình Dương
-
bán gấp đất đầu tư an linh phú giáo, bình dương ,dt: 1.018m2 (100m2 thổ cư) giá chỉ 750 triệu
Liên hệ 1018m² Đường DH509, Xã An Linh, Phú Giáo, Bình Dương
-
cô cần bán đất thổ vườn 550m2_giá 500 triệu, có vườn cây trái, đường nhựa ngay trung tâm hành chính
500 triệu 550m² Đường DH507, Xã An Linh, Phú Giáo, Bình Dương
-
2 vkck li dị cần bán gấp lô đất 531m2 có 100m thổ cư. giá 550 bao hết chi phí
550 triệu 531m² Đường DH507, Xã An Linh, Huyện Phú Giáo, Bình Dương
-
ngộp sang lô ngay trường an linh, 1 cặp 400m2 sẵn 200tc, đường nhựa, dh 507 - 150m. giá: 680tr
680 triệu 400m² DH507, An Linh, Phú Giáo, Bình Dương