Bán đất Núi Đối - Kiến Thụy - Hải Phòng
2,75 tỷ
155m²
Đặc điểm
Mã tin
33884796
Cập nhật
28/10
Loại tin
Bán đất
Mức giá
2,75 tỷ
Diện tích
155m²
Địa chỉ
Núi Đối - Kiến Thụy,Đường Tiền Đức, Huyện Kiến Thụy, Hải Phòng
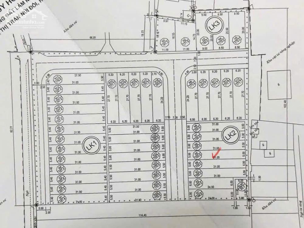
Bán lô N5 - LK2 đấu giá Cẩm Xuân - Núi Đối - Kiến Thụy - Hải Phòng
️ Diện tích : 155m2 - Ngang 5m
️ Mặt đường rộng 10m, cao áp vỉa hè đẹp
️ Vị trí ngay trung tâm Kiến Thụy
️ Cách trường học , ủy ban , ngân hàng , chợ chỉ loanh quanh vài trăm mét
️ Sổ Hồng chính chủ - Hướng : Tây Bắc
️ Giá bán : 2,x tỷ
Liên hệ để biết thêm chi tiết
=========
/ Zalo : 0934333432
NHÀ ĐẤT TRƯỜNG THÀNH
“ An Cư Thịnh Vượng - Vững Bước Thành Công “
️ Địa chỉ : Đường Mạc Thái Tổ - Cẩm La - Thanh Sơn - Kiến Thụy - Hải Phòng
Hình ảnh
️ Diện tích : 155m2 - Ngang 5m
️ Mặt đường rộng 10m, cao áp vỉa hè đẹp
️ Vị trí ngay trung tâm Kiến Thụy
️ Cách trường học , ủy ban , ngân hàng , chợ chỉ loanh quanh vài trăm mét
️ Sổ Hồng chính chủ - Hướng : Tây Bắc
️ Giá bán : 2,x tỷ
Liên hệ để biết thêm chi tiết
=========
/ Zalo : 0934333432
NHÀ ĐẤT TRƯỜNG THÀNH
“ An Cư Thịnh Vượng - Vững Bước Thành Công “
️ Địa chỉ : Đường Mạc Thái Tổ - Cẩm La - Thanh Sơn - Kiến Thụy - Hải Phòng
Có thể bạn quan tâm
-
Bán đất Núi Đối - Kiến Thụy - Hải Phòng
3,28 tỷ 117m² Núi Đối - Kiến Thụy
-
hàng đẹp có 1 0 2 tại thị trấn buôn bán kinh doanh đầu tư đẹp nhất huyện nhanh tay nhanh tay
12,5 tỷ 250m² Đường 361, Phường Núi Đối, Kiến Thụy, Hải Phòng
-
- bán lô n5 - lk2 đấu giá cẩm xuân - núi đối - kiến thụy - hải phòng
2,75 tỷ 155m² Đường Cẩm La, Phường Núi Đối, Kiến Thụy, Hải Phòng
-
Bán đất Núi Đối - Kiến Thụy - Hải Phòng
2,8 tỷ 90m² Núi Đối - Kiến Thụy
-
chuyển nhượng lô đất 159m2 ngang 7,4m cẩm xuân, tt núi đối, kiến thụy, hải phòng
2,75 tỷ 159.1m² Cẩm Xuân, Phường Núi Đối, Kiến Thụy, Hải Phòng
-
Chuyển nhượng lô đất 159m2 ngang 7,4m Cẩm Xuân TT Đối Kiến Thụy Hải Phòng
2,75 tỷ 159m² TT Đối Kiến Thụy Hải Phòng