Tin đăng này đã hết hạn trên sosanhnha.com
Bạn có thể sử dụng công cụ tìm kiếm trên website để tìm những tin đăng mới nhất.
hoặc xem chi tiết tin
Có thể bạn quan tâm
Bán đất
Bán đất Phân Lô Hoặc Làm Biệt Thự Sân Vườn, Giá Rẻ
7,85 tỷ
355m²
Đặc điểm
Mã tin
34246447
Cập nhật
16/12/2025
Loại tin
Bán đất
Mức giá
7,85 tỷ
Diện tích
355m²
Địa chỉ
Đường Đồi Dền, Phường Trung Sơn Trầm, Sơn Tây, Hà Nội
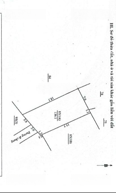
Cc cần bán 3 mảnh đất ( 3 sổ đỏ ) giáp nhau, tổng dt 355m2, có 1 nhà cấp 4 hơn 70m 2 mặt ngõ oto. nhiều đường vào.
Rất tiện để phân lô hoặc xây biệt thự nhà vườn.
Giá : 7 tỷ 850tr
Lh
Hình ảnh
Rất tiện để phân lô hoặc xây biệt thự nhà vườn.
Giá : 7 tỷ 850tr
Lh
Đặc điểm nổi bật
Diện tích :
355m2
Mặt tiền :
6m
Giá :
7,85 tỷ
Đường vào :
6m
Có thể bạn quan tâm
-
bán đất ở đô thị tại hà nội, 1,7 tỷ- 50m2 view đẹp xung quanh dân cư hiện hữu
1,7 tỷ 50m² Đường Trung Sơn Trầm, Phường Trung Sơn Trầm, Sơn Tây, Hà Nội
-
chính chủ bán lô đất đẹp tại trung sơn trầm. giá rẻ nhất khu vực. còn 1 lô duy nhất
1,6 tỷ 59m² Phường Trung Sơn Trầm, Sơn Tây, Hà Nội
-
cần tiền bán gấp mảnh đất mặt tiền 17m, mặt đường quốc lộ 21a, sơn tây giá chỉ hơn 6 tỷ
6 tỷ 300m² Đường Quốc lộ 21A(Quốc lộ 21), Phường Trung Sơn Trầm, Sơn Tây, Hà Nội
-
tôi chính chủ bán gấp 100m2 giá 1,8 tỷ, full thổ cư tại trường sỹ quan lục quân
1,8 tỷ 100m² Đường 21, Phường Trung Sơn Trầm, Sơn Tây, Hà Nội
-
bán 195 m2 đất tại phường trung sơn trầm, sơn tây. bao giá. lh ngay
Liên hệ 195m² Phường Trung Sơn Trầm, Sơn Tây, Hà Nội
-
chính chủ cần bán mảnh đất mặt tiền 17m, mặt đường quốc lộ 21a, sơn tây giá chỉ hơn 6 tỷ
Liên hệ 300m² Đường Quốc lộ 21A(Quốc lộ 21), Phường Trung Sơn Trầm, Sơn Tây, Hà Nội