Tin đăng này đã hết hạn trên sosanhnha.com
Bạn có thể sử dụng công cụ tìm kiếm trên website để tìm những tin đăng mới nhất.
hoặc xem chi tiết tin
Có thể bạn quan tâm
Bán đất
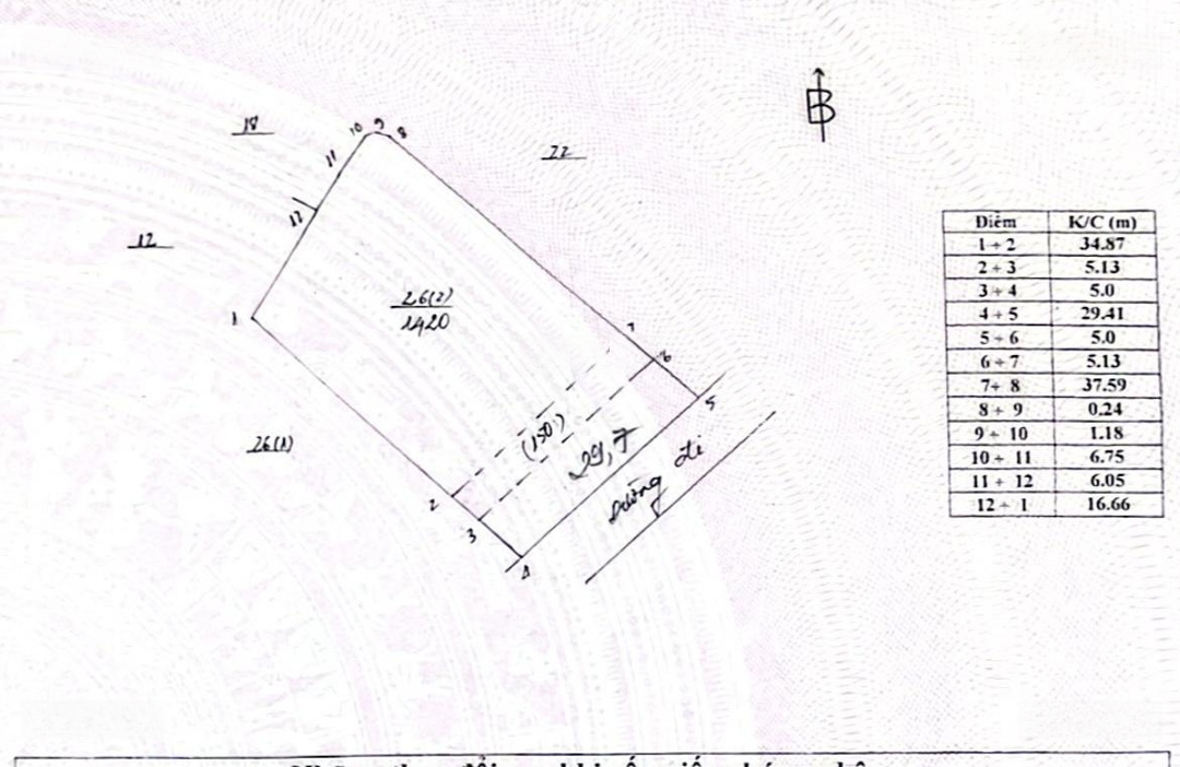
Bán đất Rộng 1.420m Tại Thôn Vĩnh Lộc, Xã Cổ đông, Sơn Tây Cách Khu đại Học Hòa Lạc Chỉ 6km
35,5 tỷ
1420m²
Đặc điểm
Mã tin
33859663
Cập nhật
25/10/2025
Loại tin
Bán đất
Mức giá
35,5 tỷ
Diện tích
1420m²
Địa chỉ
Xã Cổ Đông, Sơn Tây, Hà Nội
Cần bán thửa đất diện tích 1.420m, trong đó có 150m đất ở nông thôn và 1.270m đất trồng cây lâu năm, sổ đỏ chính chủ.
Vị trí tại thôn Vĩnh Lộc, xã Cổ Đông, thị xã Sơn Tây, Hà Nội, cách trung tâm Hòa Lạc chỉ khoảng 6km, thuận tiện di chuyển theo trục đường 21A tuyến huyết mạch kết nối Hòa Lạc Sơn Tây Hà Nội.
Thông tin chi tiết:
Tổng diện tích: 1.420m
Mặt tiền: khoảng 30m, nở hậu nhẹ, đất cao ráo, vuông vắn
Đường trước đất: 5m, ô tô vào tận nơi
Pháp lý: Sổ đỏ rõ ràng, sang tên ngay
Hướng đất: Đông Nam thoáng mát
Hiện trạng: Đất trống, có thể xây nhà vườn, homestay hoặc chia lô
Tiềm năng vị trí:
Nằm trong vùng phát triển mở rộng của khu đô thị vệ tinh Hòa Lạc trung tâm công nghệ cao, Đại học Quốc gia Hà Nội và hàng loạt trường đại học, viện nghiên cứu.
Khoảng cách 6km tới khu Đại học Hòa Lạc giúp kết nối nhanh với khu vực có hạ tầng đồng bộ, dân cư tri thức, thuận lợi cho đầu tư lâu dài hoặc phát triển dịch vụ lưu trú, nghỉ dưỡng.
Khu vực Cổ Đông Sơn Tây đang được quy hoạch mở rộng hạ tầng, giá đất còn thấp hơn đáng kể so với Hòa Lạc tiềm năng tăng giá mạnh khi khu đô thị Hòa Lạc hoàn thiện.
Phù hợp:
Làm nhà vườn, biệt thự sinh thái
Đầu tư trung hạn, đón đầu quy hoạch Hòa Lạc
Kinh doanh farmstay, homestay nghỉ dưỡng cuối tuần
Hình ảnh
Vị trí tại thôn Vĩnh Lộc, xã Cổ Đông, thị xã Sơn Tây, Hà Nội, cách trung tâm Hòa Lạc chỉ khoảng 6km, thuận tiện di chuyển theo trục đường 21A tuyến huyết mạch kết nối Hòa Lạc Sơn Tây Hà Nội.
Thông tin chi tiết:
Tổng diện tích: 1.420m
Mặt tiền: khoảng 30m, nở hậu nhẹ, đất cao ráo, vuông vắn
Đường trước đất: 5m, ô tô vào tận nơi
Pháp lý: Sổ đỏ rõ ràng, sang tên ngay
Hướng đất: Đông Nam thoáng mát
Hiện trạng: Đất trống, có thể xây nhà vườn, homestay hoặc chia lô
Tiềm năng vị trí:
Nằm trong vùng phát triển mở rộng của khu đô thị vệ tinh Hòa Lạc trung tâm công nghệ cao, Đại học Quốc gia Hà Nội và hàng loạt trường đại học, viện nghiên cứu.
Khoảng cách 6km tới khu Đại học Hòa Lạc giúp kết nối nhanh với khu vực có hạ tầng đồng bộ, dân cư tri thức, thuận lợi cho đầu tư lâu dài hoặc phát triển dịch vụ lưu trú, nghỉ dưỡng.
Khu vực Cổ Đông Sơn Tây đang được quy hoạch mở rộng hạ tầng, giá đất còn thấp hơn đáng kể so với Hòa Lạc tiềm năng tăng giá mạnh khi khu đô thị Hòa Lạc hoàn thiện.
Phù hợp:
Làm nhà vườn, biệt thự sinh thái
Đầu tư trung hạn, đón đầu quy hoạch Hòa Lạc
Kinh doanh farmstay, homestay nghỉ dưỡng cuối tuần
Đặc điểm nổi bật
Diện tích :
1420m2
Mặt tiền :
29.5m
Giá :
35,5 tỷ
Đường vào :
1420m
Có thể bạn quan tâm
-
SIÊU PHẨM VIEW HỒ ĐỒNG TRẠNG, SƠN TÂY, FULL THỔ CƯ, PHONG THỦY VƯỢNG KHÍ
3,6 tỷ 100m² SIÊU PHẨM VIEW HỒ ĐỒNG TRẠNG, SƠN TÂY, FULL THỔ CƯ, PHONG THỦY VƯỢNG KHÍ
-
đất nền cổ đông view hồ, gần đường lớn, gần đh quốc gia, trục hồ tây ba vì -tiềm năng tăng giá mạnh
3,5 tỷ 100m² Xã Cổ Đông, Sơn Tây, Hà Nội
-
đất nền cổ đông view hồ siêu chill, đường lớn sát trục tây hồ - ba vì | gần đại học quốc gia
3 tỷ 100m² Xã Cổ Đông, Sơn Tây, Hà Nội
-
mảnh đất view hồ, đồng trạng cổ đông, 100m sẵn sổ đường to, cần bán giá cực mềm
3,5 tỷ 100m² Đường Đồng Trạng, Xã Cổ Đông, Sơn Tây, Hà Nội
-
chính chủ bán lô đất f0 đồng trạng- đoài phương. vị trí đẹp, khu dân cư hiện hữu, an ninh tốt.
3,6 tỷ 100m² Đường Đồng Trạng, Xã Cổ Đông, Sơn Tây, Hà Nội
-
bán đất tại xã cổ đông, sơn tây, hà nội, 3 tỷ, 152m2
3 tỷ 152m² Xã Cổ Đông, Sơn Tây, Hà Nội