Tin đăng này đã hết hạn trên sosanhnha.com
Bạn có thể sử dụng công cụ tìm kiếm trên website để tìm những tin đăng mới nhất.
hoặc xem chi tiết tin
Có thể bạn quan tâm
Bán đất
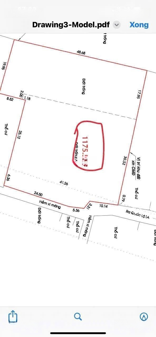
Bán đất / Sông Sài Gòn Dt 2290m Có 1175m Thổ Cư. Vị Trí đẹp Khu Vực đang Phát Triển
57 tỷ
2290m²
Đặc điểm
Mã tin
33969372
Cập nhật
07/11/2025
Loại tin
Bán đất
Mức giá
57 tỷ
Diện tích
2290m²
Địa chỉ
Đường Vườn Lài, Phường An Phú Đông, Quận 12, Hồ Chí Minh
- Hót hót chủ cần bán gấp 60tỷ hạ 3tỷ còn 57tỷ. Đất 1/ sông Sài Gòn - An Phú Đông.
- Dt: 2.290m ngang 45x55m, hiện có 1175m thổ cư, chuyển thêm được 900m.
- 1/ đường sông Sài Gòn vị trí cực đẹp Quận 12 giáp thủ Đức gần cầu Bình Phước. Khi đường sông Sài Gòn mở rộng sẽ ra hai mặt tiền đường lớn.
Lh: lâm.
Hình ảnh
- Dt: 2.290m ngang 45x55m, hiện có 1175m thổ cư, chuyển thêm được 900m.
- 1/ đường sông Sài Gòn vị trí cực đẹp Quận 12 giáp thủ Đức gần cầu Bình Phước. Khi đường sông Sài Gòn mở rộng sẽ ra hai mặt tiền đường lớn.
Lh: lâm.
Đặc điểm nổi bật
Diện tích :
2290m2
Giá :
57 tỷ
Có thể bạn quan tâm
-
bán đất góc 2 mặt tiền gần sát chợ vườn lài diện tích: 127m2 (5,3 x 22), thổ cư 121,7m2 đường nhựa
9 tỷ 127m² Đường Vườn Lài, Phường An Phú Đông, Quận 12, Hồ Chí Minh
-
thạnh lộc quận 12 - đất 132m2 5x26,5 full thổ - mặt tiền sát sông sài gòn - chỉ 6,2 tỷ
6,2 tỷ 132m² Đường Thạnh Lộc 48, Phường An Phú Đông, Quận 12, Hồ Chí Minh
-
chỉ 42tr/m2 - đất full thổ cư - vườn lài, quận 12 - mặt tiền hẻm 6m - 10,7 tỷ
10,7 tỷ 251m² Đường Vườn Lài, Phường An Phú Đông, Quận 12, Hồ Chí Minh
-
bán đất thổ cư hẻm ô tô 1 sẹc đường an phú đông 3 giá chỉ 36tr/m2 shr chính chủ
5,89 tỷ 163.4m² Đường An Phú Đông 3, Phường An Phú Đông, Quận 12, Hồ Chí Minh
-
chị mình cần bán đất thạnh lộc 16, gần ngã 4 ga chợ cầu đồng, 3.8 tỷ / 70m2 thổ cư
3,8 tỷ 70.8m² Đường Thạnh Lộc 16, Phường An Phú Đông, Quận 12, Hồ Chí Minh
-
bán đất mặt tiền đường vườn lài gần cầu sắt qua gò vấp có 2 lô liền kề
16,4 tỷ 126m² Đường Vườn Lài, Phường An Phú Đông, Quận 12, Hồ Chí Minh