Tin đăng này đã hết hạn trên sosanhnha.com
Bạn có thể sử dụng công cụ tìm kiếm trên website để tìm những tin đăng mới nhất.
hoặc xem chi tiết tin
Có thể bạn quan tâm
Bán đất
Bán đất Tại Bình Yên, Thạch Thất, Hà Nội, 30 Triệu Vnd, 90.6m2
30 triệu/m²
90.6m²
Đặc điểm
Mã tin
33131391
Cập nhật
20/07/2025
Loại tin
Bán đất
Mức giá
30 triệu/m²
Diện tích
90.6m²
Địa chỉ
Bình Yên, Thạch Thất, Hà Nội
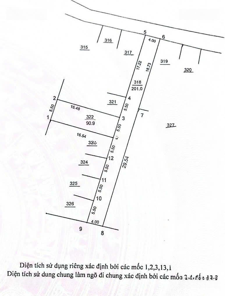
Đất nền diện tích 90.6m2 ở Bình Yên, Thạch Thất, Hà Nội đang chờ đón chủ mới.
Giá chỉ HƠN 30 triệu/m, pháp lý đầy đủ với sổ đỏ, sổ hồng.
Mặt tiền rộng 5.5m, ngõ trước rộng 6m, dễ dàng di chuyển và phù hợp cho việc kinh doanh.
Khu vực này cực kỳ phong thủy, giúp mang lại tài lộc cho gia chủ.
Đất nằm ở vị trí thoáng đãng, thích hợp cho việc xây dựng nhà ở hoặc đầu tư.
Khu vực xung quanh:
+ Gần siêu thị Đức Thành.
+ Trường mầm non song ngữ Mimi.
+ Gần TT hành chính xã, các trường MN, cấp 1, 2 ,3
+ Cách khu CNC chỉ hơn 1km, khu vực tiềm năng tăng giá cao.
Liên hệ ngay để biết thêm chi tiết qua số điện thoại hoặc gặp Linh Hoàng.
Hình ảnh
Giá chỉ HƠN 30 triệu/m, pháp lý đầy đủ với sổ đỏ, sổ hồng.
Mặt tiền rộng 5.5m, ngõ trước rộng 6m, dễ dàng di chuyển và phù hợp cho việc kinh doanh.
Khu vực này cực kỳ phong thủy, giúp mang lại tài lộc cho gia chủ.
Đất nằm ở vị trí thoáng đãng, thích hợp cho việc xây dựng nhà ở hoặc đầu tư.
Khu vực xung quanh:
+ Gần siêu thị Đức Thành.
+ Trường mầm non song ngữ Mimi.
+ Gần TT hành chính xã, các trường MN, cấp 1, 2 ,3
+ Cách khu CNC chỉ hơn 1km, khu vực tiềm năng tăng giá cao.
Liên hệ ngay để biết thêm chi tiết qua số điện thoại hoặc gặp Linh Hoàng.
Đặc điểm nổi bật
Diện tích :
90.6m2
Mặt tiền :
5.5m
Giá :
30 triệu
Đường vào :
6m
Có thể bạn quan tâm
-
hàng f0 chủ cắt lỗ cả tỷ,tách 150m khu tái định cư giá rẻ hơn đất dân gốc, trung tâm cnc hòa lạc
Liên hệ 150m² Xã Bình Yên, Huyện Thạch Thất, Hà Nội
-
em bán 62m bình yên sát cnc hoà lạc đường oto chỉ loanh quanh 2tỷ xung quanh có nhà trọ !
2,05 tỷ 62m² Xã Bình Yên, Thạch Thất, Hà Nội
-
bán gấp! - 100m đất tái định cư bình yên (hòa lạc).
5,4 tỷ 100m² Xã Bình Yên, Huyện Thạch Thất, Hà Nội
-
60m đất gần cnc đh fpt giá cực tốt
2,2 tỷ 60m² Thôn sen trì , Xã Bình Yên, Thạch Thất, Hà Nội
-
cần tiền trả nợ giá chỉ 2,35tỷ có ngay lô 64.7m2 full tc trung tâm công nghệ cao, giáp hv tài chính
2,35 tỷ 64.7m² Phố Hạ Bằng, Xã Bình Yên, Thạch Thất, Hà Nội
-
125m full thổ tại cánh chủ-bình yên-thạch thất/ sát chợ hòa lạc
4,75 tỷ 125m² Xã Bình Yên, Thạch Thất, Hà Nội