Tin đăng này đã hết hạn trên sosanhnha.com
Bạn có thể sử dụng công cụ tìm kiếm trên website để tìm những tin đăng mới nhất.
hoặc xem chi tiết tin
Có thể bạn quan tâm
Bán đất
Bán đất Xã Cẩm Lĩnh, Ba Vì Dt 1.776,5m², Cách Hồ Suối Hai Chỉ 1km, Vị Trí Siêu đẹp, Giá Thỏa Thuận
Liên hệ
1776.5m²
Đặc điểm
Mã tin
34355698
Cập nhật
30/12/2025
Loại tin
Bán đất
Mức giá
Liên hệ
Diện tích
1776.5m²
Địa chỉ
Xã Cẩm Lĩnh, Ba Vì, Hà Nội
Một mảnh đất đẹp không phải lúc nào cũng chỉ nằm ở hình thửa, mà vị trí mới chính là yếu tố quan trọng nhất. Và mảnh đất này có một vị trí tuyệt vời, chỉ cách du lịch hồ Suối Hai chưa đến 1km nơi lý tưởng để tận hưởng không khí trong lành và sự bình yên.
Thông tin chi tiết:
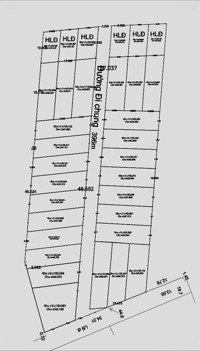
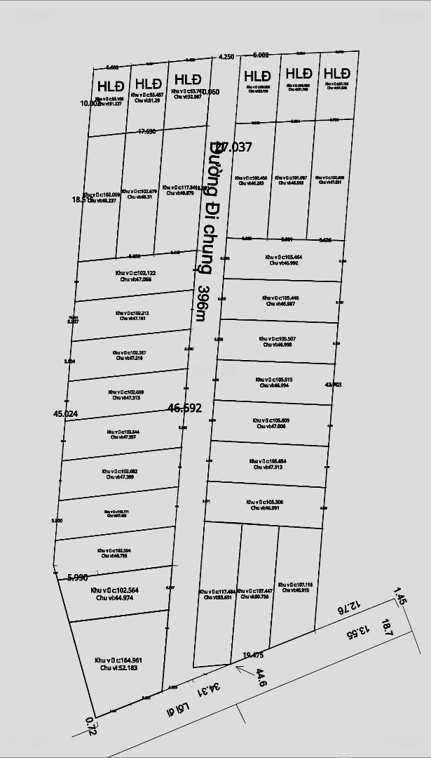
Diện tích: 1.776,5m²
Loại đất: Đất nông nghiệp, tiềm năng phát triển du lịch nghỉ dưỡng
Vị trí: Gần hồ Suối Hai, khu vực đang phát triển mạnh mẽ về du lịch
Giá bán: Thỏa thuận
Với vị trí thuận lợi, mảnh đất này có thể là lựa chọn tuyệt vời cho những ai tìm kiếm một không gian để nghỉ ngơi hoặc phát triển các dự án du lịch nhỏ.
Liên hệ: Anh Bắc
Hình ảnh
Thông tin chi tiết:
Diện tích: 1.776,5m²
Loại đất: Đất nông nghiệp, tiềm năng phát triển du lịch nghỉ dưỡng
Vị trí: Gần hồ Suối Hai, khu vực đang phát triển mạnh mẽ về du lịch
Giá bán: Thỏa thuận
Với vị trí thuận lợi, mảnh đất này có thể là lựa chọn tuyệt vời cho những ai tìm kiếm một không gian để nghỉ ngơi hoặc phát triển các dự án du lịch nhỏ.
Liên hệ: Anh Bắc
Đặc điểm nổi bật
Diện tích :
1776.5m2
Giá :
Giá thỏa thuận
Có thể bạn quan tâm
-
hơn 700tr chính chủ cần bán gấp
770 triệu 100m² Xã Cẩm Lĩnh, Huyện Ba Vì, Hà Nội
-
-chỉ 9xx triệu có ngay lô đất trung tâm quảng oai, ba vì, hà nội.
-dt 50m2 full đất ở, gần trường t
950 triệu 50m² Đường Quảng Oai, Xã Cẩm Lĩnh, Huyện Ba Vì, Hà Nội
-
chính chủ cần bán, 200m2, 6m mặt tiền, lô góc 2 mặt tiền, trục xe buýt, cách hồ suối hai 100m,
Liên hệ 200m² Xã Cẩm Lĩnh, Huyện Ba Vì, Hà Nội
-
bán đất 100m² full thổ cư bất bạt - huyện ba vì - hà nội giá nhỉnh 1 tỷ
1,3 tỷ 100m² Đường ĐT 86, Xã Cẩm Lĩnh, Huyện Ba Vì, Hà Nội
-
chỉ còn 6 lô cụm này nữa thôi 100m2 full thổ cư đã có sổ giá hơn 700tr tại ba vì lh e để
750 triệu 100m² Đường Quốc lộ 32, Xã Cẩm Lĩnh, Huyện Ba Vì, Hà Nội
-
chủ cần bán gấp rẻ nhất tân thành tại xã cẩm lĩnh, ba vì, hà nội, 720tr s114.8 m2. gần hồ suối hai
720 triệu 114.8m² Xã Cẩm Lĩnh, Huyện Ba Vì, Hà Nội