Tin đăng này đã hết hạn trên sosanhnha.com
Bạn có thể sử dụng công cụ tìm kiếm trên website để tìm những tin đăng mới nhất.
hoặc xem chi tiết tin
Có thể bạn quan tâm
Bán đất
Bán Gấp đất Mặt Tiền đường 61, Thảo điền, 73m2 (7,3*10m), Sổ Hồng Riêng, 12tỷ5 Mặt Tiền đường Lớn
12,5 tỷ
73m²
Đặc điểm
Mã tin
33192371
Cập nhật
28/07
Loại tin
Bán đất
Mức giá
12,5 tỷ
Diện tích
73m²
Địa chỉ
Đường 61, Phường Thảo Điền, Quận 2, Hồ Chí Minh
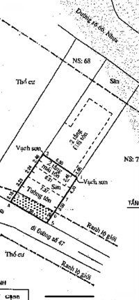
Bán đất mặt tiền đường 61, Phường Thảo Điền, Tp. Thủ Đức.
Vị trí cực hiếm.
Diện tích: 7.3m x 10m công nhận đủ 73m².
Kết cấu: Đất trống tiện xây mới hầm + 6 tầng.
Pháp lý: Sổ hồng riêng, công chứng sang tên ngay.
Đường: Mặt tiền đường lớn, xe hơi tránh nhau thoải mái.
Chỉ 12.5 tỷ ~ 170tr/m2.
Hình ảnh
Vị trí cực hiếm.
Diện tích: 7.3m x 10m công nhận đủ 73m².
Kết cấu: Đất trống tiện xây mới hầm + 6 tầng.
Pháp lý: Sổ hồng riêng, công chứng sang tên ngay.
Đường: Mặt tiền đường lớn, xe hơi tránh nhau thoải mái.
Chỉ 12.5 tỷ ~ 170tr/m2.
Đặc điểm nổi bật
Diện tích :
73m2
Giá :
12,5 tỷ
Có thể bạn quan tâm
-
rẻ nhất thảo điền - lô góc 2mt nguyễn văn hưởng - 30m x 17m, 877m2 - góa 280tr/m2 - 245 tỷ
245 tỷ 877m² Đường Nguyễn Văn Hưởng, Phường Thảo Điền, Quận 2, Hồ Chí Minh
-
hạ giá bán lô đất 500m2 compound vip thảo điền 1 - dt 12 x 25m - giá chỉ 117 tỷ
117 tỷ 500m² Đường Nguyễn Văn Hưởng, Phường Thảo Điền, Quận 2, Hồ Chí Minh
-
siêu phẩm ! bán đất ngay trần văn sắc, thảo điền. diện tích : 10 x22m - hầm + 6 tầng - giá 48 tỷ tl
48 tỷ 220m² Đường Trần Văn Sắc, Phường Thảo Điền, Quận 2, Hồ Chí Minh
-
bán khuôn đất xây biệt thự thảo điền - quận 2. dt 15m x 20m - 300m2. giá chỉ 75 tỷ thương lượng
75 tỷ 300m² Đường Thảo Điền, Phường Thảo Điền, Quận 2, Hồ Chí Minh
-
mtkd song hành đất trống ngay ga metro an phú - full thổ cư (27x18) xây dựng hầm 7 tầng -giá đầu tư
90 tỷ 486m² Đường Song Hành, Phường Thảo Điền, Quận 2, Hồ Chí Minh
-
bán đất đường ô tô phường thảo điền quận 2
21,5 tỷ 90m² Phường Thảo Điền, Quận 2, Hồ Chí Minh