Tin đăng này đã hết hạn trên sosanhnha.com Bạn có thể sử dụng công cụ tìm kiếm trên website để tìm những tin đăng mới nhất. hoặc xem chi tiết tin
Có thể bạn quan tâm Bán đất
Nhượng Nền Mặt Tiền Lộ Vòng Cung View Sông .Ninh Kiều Giá 2tỷ890tr TL
Nhượng nền Mặt tiền lộ Vòng Cung view sông .Ninh Kiều Giá 2tỷ890tr TL
Liên hệ
Quận Ninh Kiều, Cần Thơ
1 giờ trước
12,5 Tỷ - BÁN NỀN GÓC 2 MẶT TIỀN, NGANG 9,6m ĐƯỜNG NGUYỄN ĐỆ & TRẦN VĂN ƠN
12,5 tỷ - BÁN NỀN GÓC 2 MẶT TIỀN, NGANG 9,6m ĐƯỜNG NGUYỄN ĐỆ & TRẦN VĂN ƠN
12,5 tỷ 100m²
Quận Ninh Kiều, Cần Thơ
3 giờ trước
Nhượng Sỉ & Lẻ Nền TĐC Khu Đô Thị 2 Bên Đường Nguyễn Văn Cừ
Nhượng sỉ & lẻ nền TĐC khu Đô Thị 2 bên Đường Nguyễn Văn Cừ
Liên hệ
Quận Ninh Kiều, Cần Thơ
9 giờ trước
Nền Thổ Cư Hẻm 38 đường 3 Tháng 2 - Gần Bệnh Viện Da Liễu Cần Thơ
Nền thổ cư hẻm 38 đường 3 tháng 2 - Gần bệnh viện Da Liễu Cần Thơ
2,45 tỷ 85m²
Quận Ninh Kiều, Cần Thơ
9 giờ trước
BÁN CẶP NỀN ĐƯỜNG BÙI QUANG TRINH KDC PHÚ AN, PHƯỜNG HƯNG PHÚ, CẦN THƠ
 BÁN CẶP NỀN ĐƯỜNG BÙI QUANG TRINH KDC PHÚ AN, PHƯỜNG HƯNG PHÚ, CẦN THƠ
7 tỷ 200m²
Quận Cái Răng, Cần Thơ
14 giờ trước

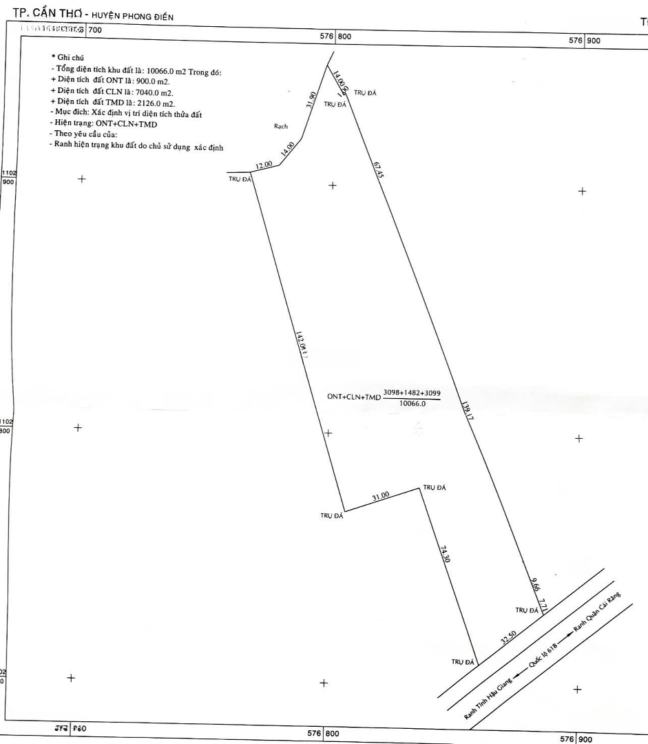
Bán Hơn 10.000m2 đất Thương Mại Mặt Tiền Quốc Lộ 61c Gần Ngã 3 Cầu Vàm Xáng

Liên hệ 10066m²
Đặc điểm
Mã tin 33088561
Cập nhật 15/07
Loại tin Bán đất
Mức giá Liên hệ
Diện tích 10066m²
Địa chỉ Đường Quốc Lộ 61C, Xã Nhơn Nghĩa, Phong Điền, Cần Thơ
Thông tin chi tiết
(CG) Bán hơn 10.000m2 đất thương mại mặt tiền Quốc Lộ 61C gần ngã 3 cầu Vàm Xáng, H. Phong Điền, TP. Cần Thơ.
- Pháp lý đất: 2.126m2 TMD, 900m2 ONT, 7.040m2 CLN.
- Mặt tiền 32.5m nở hậu, phía sau giáp rạch.
- Đơn giá inbox để được giá tốt nhất.

Liên hệ /zalo: gặp Nguyễn Tiến Thanh.
Đặc điểm nổi bật
Diện tích :
10066m2
Mặt tiền :
32.5m
Giá :
Giá thỏa thuận
Hình ảnh
Có thể bạn quan tâm
Được đăng bởi:
Nguyễn Tiến Thanh
Nguyễn Tiến Thanh