Tin đăng này đã hết hạn trên sosanhnha.com
Bạn có thể sử dụng công cụ tìm kiếm trên website để tìm những tin đăng mới nhất.
hoặc xem chi tiết tin
Có thể bạn quan tâm
Bán kho, nhà xưởng
Bán Kho, Nhà Xưởng Tại đường Tỉnh Lộ 824, Xã Mỹ Hạnh Bắc, đức Hòa, Long An, 47 Tỷ, 5200 M2
47 tỷ
5200m²
Đặc điểm
Mã tin
34362638
Cập nhật
31/12/2025
Loại tin
Bán kho, nhà xưởng
Mức giá
47 tỷ
Diện tích
5200m²
Địa chỉ
Đường Tỉnh lộ 824, Xã Mỹ Hạnh Bắc, Đức Hòa, Long An
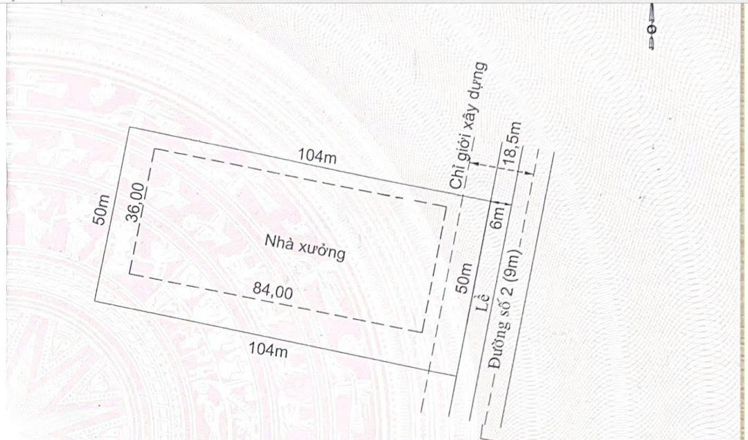
Được xây dựng trên diện tích 5200 m2, kho, nhà xưởng này nằm ở vị trí chiến lược tại Đường Tỉnh lộ 824, Xã Mỹ Hạnh Bắc, Đức Hòa, Long An. Đây là một cơ hội tuyệt vời cho các nhà đầu tư và doanh nghiệp đang tìm kiếm không gian lưu trữ hoặc sản xuất.
+ Ưu điểm:
+ Pháp lý đầy đủ, Đã đóng tiền thuê đất 1 lần đến 2056
+ Nội thất cơ bản
+ Mặt tiền rộng 50m, thuận lợi cho việc kinh doanh
+ Đường vào rộng 36m, phù hợp cho xe tải và phương tiện lớn
+ Các trang bị cơ bản như điều hòa, ánh sáng đảm bảo cho hoạt động, PCCC...
+ DT xưởng 3.000 xây sẵn, kết cấu nền Bê Tông, Khung sườn kèo Thép, Mái Vách Tole còn mới.
Khu vực xung quanh cũng rất thuận tiện với sự hiện diện của siêu thị Bách Hóa Xanh ấp mới 2 và công ty cổ phần bệnh viện Sài Gòn TG, tạo điều kiện thuận lợi cho việc tiếp cận các dịch vụ cần thiết.
Xin vui lòng liên hệ để biết thêm thông tin chi tiết qua số điện thoại và người liên hệ Hùng Long.
Hình ảnh
+ Ưu điểm:
+ Pháp lý đầy đủ, Đã đóng tiền thuê đất 1 lần đến 2056
+ Nội thất cơ bản
+ Mặt tiền rộng 50m, thuận lợi cho việc kinh doanh
+ Đường vào rộng 36m, phù hợp cho xe tải và phương tiện lớn
+ Các trang bị cơ bản như điều hòa, ánh sáng đảm bảo cho hoạt động, PCCC...
+ DT xưởng 3.000 xây sẵn, kết cấu nền Bê Tông, Khung sườn kèo Thép, Mái Vách Tole còn mới.
Khu vực xung quanh cũng rất thuận tiện với sự hiện diện của siêu thị Bách Hóa Xanh ấp mới 2 và công ty cổ phần bệnh viện Sài Gòn TG, tạo điều kiện thuận lợi cho việc tiếp cận các dịch vụ cần thiết.
Xin vui lòng liên hệ để biết thêm thông tin chi tiết qua số điện thoại và người liên hệ Hùng Long.
Đặc điểm nổi bật
Diện tích :
5200m2
Mặt tiền :
50m
Giá :
47 tỷ
Đường vào :
36m
Có thể bạn quan tâm
-
BÁN KHO XƯỞNG HUYỆN ĐỨC HÒA , TỈNH TÂY NINH ( LONG AN CỦ )
37 tỷ 5000m² 11
-
bán xưởng mới 100& kcn xuyên á đức hòa long an
46 tỷ 5100m² Xã Mỹ Hạnh Bắc, Đức Hòa, Long An
-
BÁN ĐẤT XÂY XƯỞNG TẠI ĐỨC HÒA, LONG AN 17.000M2- SỔ RIÊNG
Liên hệ 17000m² ĐỨC HÒA
-
cần bán xưởng kcn đức hòa 3 long an dt 3030
29 tỷ 3030m² Xã Mỹ Hạnh Bắc, Đức Hòa, Long An
-
bán kho xưởng kv: 5.000m2, xưởng : 3.000m2 , ngoài kcn đức hòa, long an , giá bán : 38 tỷ (tl)
38 tỷ 5000m² Xã Mỹ Hạnh Bắc, Đức Hòa, Long An
-
bán xưởng 6.300m2 tại kcn xuyên á, long an , đã hoàn công, có giấy phép nhuộm, giá bán : 65 tỷ
65 tỷ 6300m² Xã Mỹ Hạnh Bắc, Đức Hòa, Long An