Tin đăng này đã hết hạn trên sosanhnha.com
Bạn có thể sử dụng công cụ tìm kiếm trên website để tìm những tin đăng mới nhất.
hoặc xem chi tiết tin
Có thể bạn quan tâm
Bán đất
Bán Khu đất đẹp Rẻ Nhất Khu Vực Linh Xuân Thủ đức Diện Tích 524.9m2 Giá Chỉ 42tr/m2
22,05 tỷ
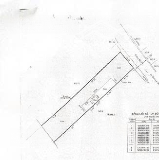
524.9m²
Đặc điểm
Mã tin
33460016
Cập nhật
04/09/2025
Loại tin
Bán đất
Mức giá
22,05 tỷ
Diện tích
524.9m²
Địa chỉ
Linh Xuân, Thủ Đức, Hồ Chí Minh
Bán khu đất đẹp rẻ nhất Linh xuân sổ hồng vuông vức diện tích 524.9m2. Vị trí ngay trục đường nhựa trung tâm chợ Linh xuân. Khu dân cư mới hiện hữu xây dựng tự do gần UBND phường Linh xuân, trường học Đào Sơn Tây, Điện máy xanh, Bách Hóa Xanh, kết nối Quốc lộ 1k, khu chế xuất linh Trung 1 .Giá thương lượng khách thiện chí liên hệ xem đất, cọc công chứng sang tên trong ngày.Sđt
Hình ảnh
Đặc điểm nổi bật
Diện tích :
524.9m2
Mặt tiền :
8m
Giá :
22,05 tỷ
Đường vào :
12m
Có thể bạn quan tâm
-
chủ đỏ đen _gấp bán_ lô đất khu dân cư êm đềm _ đối diện trường mần non hoa đào _ 90m2 _ chỉ 5,9 tỷ
5,9 tỷ 90m² Đường Quốc lộ 1K, Phường Linh Xuân, Thành phố Thủ Đức, Hồ Chí Minh
-
bán đất khu phân lộ đồng bộ, hẻm 6m, khu đất hiếm ngay chợ linh xuân, 4,2x16m, thủ đức, nhỉnh 4 tỷ
4,7 tỷ 66m² Phường Linh Xuân, Thành phố Thủ Đức, Hồ Chí Minh
-
- mình còn nền số 6 , dt : 68m2 - và nền số 7 , dt : 86m2 - giá chỉ từ 58tr/m2
58 triệu/m² 86m² Đường 7, Phường Linh Xuân, Thành phố Thủ Đức, Hồ Chí Minh
-
đất góc 2mt dg số 11 linh xuân - thủ đức dt ; 65m2đất- gần trg , chợ big c go giá : 4.3ty tl
4,3 tỷ 65m² Đường 11, Phường Linh Xuân, Thành phố Thủ Đức, Hồ Chí Minh
-
bán đất thổ cư linh xuân mặt tiền hẻm xe hơi gần chợ hướng đông nam
4,5 tỷ 66m² Đường Số 1, Phường Linh Xuân, Thành phố Thủ Đức, Hồ Chí Minh
-
đất đẹp linh xuân gần cầu vượt linh xuân | 74.1m | đường ô tô 6m | 4.75 tỷ
4,75 tỷ 74m² Đường Số 1, Phường Linh Xuân, Thành phố Thủ Đức, Hồ Chí Minh