Tin đăng này đã hết hạn trên sosanhnha.com
Bạn có thể sử dụng công cụ tìm kiếm trên website để tìm những tin đăng mới nhất.
hoặc xem chi tiết tin
Có thể bạn quan tâm
Bán đất
Bán Khu đất Mặt Tiền Vuông Vức Gần Chợ Linh Xuân Qh Full Thổ Cư Rẻ Nhất Thủ đức Giá Trên 42tr/m2
42 triệu/m²
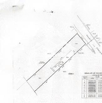
524.9m²
Đặc điểm
Mã tin
33442529
Cập nhật
02/09/2025
Loại tin
Bán đất
Mức giá
42 triệu/m²
Diện tích
524.9m²
Địa chỉ
Linh Xuân, Thủ Đức, Hồ Chí Minh
Chủ bán khu đất ngay trung tâm chợ Linh Xuân gần Bách hóa xanh, điện máy xanh, trường học, bệnh viện UBND phường. Khu dân cư hiện hữu xây nhà tự do, mặt tiền đường nhựa mới 12m, thuận tiên dị chuyển vô sân bay TSN, cao tốc, Gần ga Metro Bến Thành Suối Tiên, Trung tâm thành phố. Khu đất đợi sang chủ mới tìm khách hữu duyên, Sổ hồng vuông vức giá chỉ trên 22 tỷ, Quy hoạch đất full thổ cư. Khách thiện chí liên hệ xem đất công chứng trong ngày.Liên hệ Thiên Khôi
Hình ảnh
Đặc điểm nổi bật
Diện tích :
524.9m2
Mặt tiền :
8m
Giá :
42 triệu
Đường vào :
12m
Có thể bạn quan tâm
-
bán đất đường 8 linh xuân, 59m2, hẻm xe hơi, giá đầu tư cực tốt
4,5 tỷ 59m² Phường Linh Xuân, Thủ Đức, Hồ Chí Minh
-
hiếm có - 1 lô duy nhất - 53m - hxh gần cầu vượt linh xuân + làng đh - kdc đồng bộ - chỉ 3,74 tỷ
3,74 tỷ 53m² Đường Quốc lộ 1K, Phường Linh Xuân, Thành phố Thủ Đức, Hồ Chí Minh
-
bán lô đất đẹp 4m x 17m quốc lộ 1k phường linh xuân tp thủ đức tp hcm
3,94 tỷ 68m² Đường Quốc lộ 1K, Phường Linh Xuân, Thành phố Thủ Đức, Hồ Chí Minh
-
em đã dọn sạch mặt bằng,đẹp như ngọc trinh thửa đất có dt 60.4m
3,65 tỷ 60.4m² Đường 15, Phường Linh Xuân, Thành phố Thủ Đức, Hồ Chí Minh
-
bán lô đất cách chợ linh xuân tầm 400 m vị trí thuận tiện đi trung tâm thành phố
3,65 tỷ 60.4m² Đường Số 15, Phường Linh Xuân, Thành phố Thủ Đức, Hồ Chí Minh
-
chủ đỏ đen _gấp bán_ lô đất khu dân cư êm đềm _ đối diện trường mần non hoa đào _ 90m2 _ chỉ 5,9 tỷ
5,9 tỷ 90m² Đường Quốc lộ 1K, Phường Linh Xuân, Thành phố Thủ Đức, Hồ Chí Minh