Bán Khuôn đất Khủng 1.2ha Mặt Tiền đỗ Xuân Hợp Quận 9| Dt: 76x135| đất Giáo Dục| 650 Tỷ
650 tỷ
12204m²
Đặc điểm
Mã tin
34528522
Cập nhật
2 tuần trước
Loại tin
Bán đất
Mức giá
650 tỷ
Diện tích
12204m²
Địa chỉ
77, Đường Đỗ Xuân Hợp, Phường Phước Long B, Thủ Đức, Hồ Chí Minh
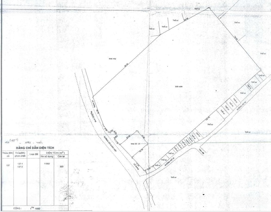
Khan hiếm đất quy hoạch Đất giáo dục Quận 9.
* Thông tin chi tiết:
- Địa chỉ: 77 Đỗ Xuân Hợp KP1, P. Phước Long B, Quận. 9.
+ Thửa 2121; Tờ 04 P. Phước Long B, Q. 9 + 1 phần thửa 137; tờ 04.
Ngang: 76m; Dài: 135m.
Công nhận: 321.95m² / 11.882m² = 12.204m².
Hiện trạng: Cấp 4 / hiện trạng quy hoạch đất giáo dục.
Giá bán: 650 tỷ.
Đừng bỏ lỡ cơ hội hiếm có để sở hữu tải sản tốt nhất khu vực!
* Liên hệ ngay Thảo Trần_BĐS Saigon.
Hình ảnh
* Thông tin chi tiết:
- Địa chỉ: 77 Đỗ Xuân Hợp KP1, P. Phước Long B, Quận. 9.
+ Thửa 2121; Tờ 04 P. Phước Long B, Q. 9 + 1 phần thửa 137; tờ 04.
Ngang: 76m; Dài: 135m.
Công nhận: 321.95m² / 11.882m² = 12.204m².
Hiện trạng: Cấp 4 / hiện trạng quy hoạch đất giáo dục.
Giá bán: 650 tỷ.
Đừng bỏ lỡ cơ hội hiếm có để sở hữu tải sản tốt nhất khu vực!
* Liên hệ ngay Thảo Trần_BĐS Saigon.
Đặc điểm nổi bật
Diện tích :
12204m2
Giá :
650 tỷ
Có thể bạn quan tâm
-
bán đất tại khu dân cư thanh thiếu niên miên nam, giá cực chất 7,2 nghìn vnd, 100m2
7,2 tỷ 100m² Khu dân cư Thanh thiếu Niên Miên Nam, Đường Bưng Ông Thoàn, Phường Phú Hữu, Thành phố Thủ Đức, Hồ Chí Minh
-
siêu hiếm- đất biệt thự đường - phước long b- quận 9 - ngay ubnd quận 9 cũ. giá tốt nhất khu vực
27 tỷ 248m² Đường 672, Phường Phước Long B, Thành phố Thủ Đức, Hồ Chí Minh
-
bạn đang tìm kiếm lô đất để xây nhà ở hoặc xây chdv ,đầu tư sinh lời ,lợi nhuật tốt thanh khoản cao
6,99 tỷ 89m² 14, Đường Lê Văn Thịnh, Phường Bình Trưng Tây, Thành phố Thủ Đức, Hồ Chí Minh
-
bán đất 110m tăng nhơn phú b ô tô tận nơi
6,6 tỷ 110m² Phường Tăng Nhơn Phú B, Thành phố Thủ Đức, Hồ Chí Minh
-
bán nhà đường ôtô giáp chợ 339 đỗ xuân hợp, 155m2, ngang 5m, dòng tiền 24tr/th, nhỉnh 10 tỷ
10 tỷ 152m² Đường 339, Phường Phước Long B, Thành phố Thủ Đức, Hồ Chí Minh
-
chính chủ bán lô đất đường oto tránh - gần metro số 1 - sân gold thủ đức.
6,6 tỷ 102m² Đường Số 1A, Phường Long Thạnh Mỹ, Thành phố Thủ Đức, Hồ Chí Minh