Bán Lô đất 117,5m2 Mặt đường Vành đai 3.5, Sát Khu đô Thị An Lạc, Vườn Cam

Liên hệ 117.5m²
Đặc điểm
Mã tin 34410545
Cập nhật 2 tuần trước
Loại tin Bán đất
Mức giá Liên hệ
Diện tích 117.5m²
Địa chỉ Xã Vân Canh, Hoài Đức, Hà Nội
Thông tin chi tiết
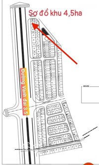
Lô 11 mặt đường Vành Đai 3.5.
- Diện tích: 117.5m2.
- Mặt tiền: 9.42m.
- Mặt đường Vành Đai 3.5, ngã tư giao đường Vân Canh Lại Yên. Sát KĐT Vườn Cam, An Lạc. Vị trí kinh doanh đắc địa bậc nhất phía tây. Đón đầu hạ tầng chuẩn bị thông đường.
- LH: để biết thêm thông tin chi tiết.
Đặc điểm nổi bật
Diện tích :
117.5m2
Mặt tiền :
9.42m
Giá :
Giá thỏa thuận
Hình ảnh
Dịch vụ và tiện ích quanh đây:
Giáo dục Giáo dục Mua sắm Mua sắm Ngân hàng Ngân hàng Công viên Công viên Y tế Y tế
hanh 2 km 70, street, Nam Từ Liêm, 100000
Trung Tâm Phục Hồi SK Dr.B 2.6 km Chung cư Thăng Long Victory, Căn 14, Hoài Đức, Hà Nội
Trường 3.2 km Trường Cao đẳng Đại, Mỹ Đình 1, Nam Từ Liêm, Hà Nội
Công Ty Tnhh Xây Dựng & Quảng Cáo Tân An 3.4 km Ngõ 75 Đ. Phú Diễn, Cầu Diễn, Bắc Từ Liêm, Hà Nội
Trụ sở công an phường Mỹ Đình 2 4.3 km 190 Đ. Mỹ Đình, Mỹ Đình, Từ Liêm, Hà Nội
Bao bì carton Hapackco 4.4 km Số 5D2, KĐT, Cầu Diễn, Bắc Từ Liêm, Hà Nội 100000
Công Ty Tnhh Phát Triển Thương Mại Và Dịch Vụ Ngọc Ánh 4.5 km 113 P. Mai Dịch, Mai Dịch, Hoàn Kiếm, Hà Nội
Công Ty TNHH Giấy và Bao Bì Vipack 5 km 66 Lô CL29-04,05 khu đất, La Nội, Hà Đông, Hà Nội 10000
PHÒNG KHÁM CHUYÊN KHOA NHI NGUYỄN TRỌNG 5.1 km Đường Bê Tông, Thôn Cao Trung, Hoài Đức, Hà Nội
PHÒNG KHÁM NHA KHOA HÀ NỘI 5.6 km Ngõ 252 Hoàng Quốc Việt, Cổ Nhuế, Bắc Từ Liêm, Hà Nội
Viện Nghiên Cứu & Phát Triển Trung Tâm Nắng Mai 3.1 km 56 Khu Đô Thị Mỹ Đình 1, Cầu Diễn, Từ Liêm, Hà Nội
Khoa mắt 4.8 km 9 P. Trần Bình, Mai Dịch, Cầu Giấy, Hà Nội
Công Ty Cổ Phần Phát Triển Công Nghệ Tài Nguyên Xanh 5.3 km số 30 Phạm Văn Đồng, Mai Dịch, Hoàn Kiếm, Hà Nội
Công Ty Tnhh Thương Mại Và Sản Xuất Bảo Sơn 6.1 km 57 Ng. 347 Đ. Cổ Nhuế, Cổ Nhuế, Bắc Từ Liêm, Hà Nội
Công Ty Cổ Phần Truyền Thông Bất Động Sản Gtland Việt Nam 6.3 km 131 Trần Đăng Ninh, Dịch Vọng, Cầu Giấy, Hà Nội
Nha Khoa Hoa Linh 7.6 km 347 Đ. Xuân Đỉnh, Xuân Đỉnh, Từ Liêm, Hà Nội
Trung tâm Ngoại ngữ ECE 7.6 km Ng. Số 7 Đ. Hoàng Minh Giám, Trung Hòa Nhân Chính, Thanh Xuân, Hà Nội
Khoa Tim mạch - Lão học 7.8 km 2 Bế Văn Đàn, P. Quang Trung, Hà Đông, Hà Nội
Phòng Khám Chuyên Khoa Răng Hàm Mặt BS Đào Thu Hằng 7.9 km 198B Đ. Nguyễn Tuân, Nhân Chính, Thanh Xuân, Hà Nội
Công Ty Cổ Phần Đầu Tư T&C Hà Nội 8.1 km 10A Khuất Duy Tiến, Thanh Xuân Trung, Thanh Xuân, Hà Nội
Răng Hàm Mặt 3.8 km 2 P. Lưu Hữu Phước, Mỹ Đình, Từ Liêm, Hà Nội
Cà Phê Tít 4.4 km 40 Đ. Mỹ Đình, Mỹ Đình, Từ Liêm, Hà Nội
CCIC 6.2 km Yên Hoà, Cầu Giấy, Hà Nội
Bao Bì Hà Thành 7.2 km 42 P. Hoàng Sâm, Nghĩa Đô, Hoàn Kiếm, Hà Nội
Phòng Khám YHCT Khánh Thiện Đường 8.7 km 71 Ng. 116 Đ. Nguyễn Xiển, Thanh Xuân Nam, Thanh Xuân, Hà Nội
Viện Nghiên Cứu Giáo Dục Quốc ... 9.2 km 345 C, P. Giảng Võ, Chợ Dừa, Hoàn Kiếm, Hà Nội
Viện Tài nguyên Môi trường và Kiến thức Bản địa 9.7 km 36 P. Hoàng Cầu, Chợ Dừa, Hoàn Kiếm, Hà Nội
Gỗ nhựa 9.7 km Tân Triều, Thanh Trì, Hà Nội
Nha Khoa Sơn Hoàng Cầu 9.8 km 31 P. Hoàng Cầu, Chợ Dừa, Đống Đa, Hà Nội
Plastic Joint Stock Company Phu Hoa An 4.1 km 272 Hữu Hưng, Đai Mỗ, Hà Đông, Hà Nội 100000
Khoa nội tiết 4.8 km 9 P. Trần Bình, Mai Dịch, Cầu Giấy, Hà Nội
Công ty TNHH Sơn Đông 5.1 km Toà nhà Kim Hoàn, Ngõ 19, Từ Liêm, Hà Nội
Đoàn Thanh niên Bộ Nội vụ 5.3 km Tôn Thất Thuyết, Mỹ Đình, Cầu Giấy, Hà Nội
Trọ của Na 5.8 km 19 Ng. 36 P. Miếu Đầm, Mễ Trì, Từ Liêm, Hà Nội
Công ty cổ phần giáo dục và du lịch Vietkite 6.1 km P1006, Tòa nhà B6B, Hanoi City, Khu đô thị Nam Trung Yên, Cầu Giấy, Hà Nội 100000
Đại lý thu BHXH, BHYT phường Nghĩa Tân 6.5 km Số 45 P. Nghĩa Tân, Nghĩa Tân, Cầu Giấy, Hà Nội
Trung tâm nghỉên cứu, tư vấn và phát triển bền vững 6.8 km Tòa nhà Sông Đà CG, số 6 255 P. q., 20 ngõ 165 Cầu Giấy Ng. 165 Đ. Cầu Giấy, Dịch Vọng, Cầu Giấy, Hà Nội
Du học Bảo Anh - GMS 7 km Số 27, Liền kề 18, Khu đô thị Văn Khê, Hà Đông, Hà Nội 152261
Trung Tâm Giáo Dục Trẻ Em Ngày Mới 7.2 km Số 29 Ng. 68 Đ. Cầu Giấy, Nam Đồng, Hoàn Kiếm, Hà Nội
Học Xoa Bóp Bấm Huyệt - Trung cấp Y Dược Tuệ Tĩnh HN 7.6 km 20 P. Đông Quan, Nghĩa Đô, Cầu Giấy, Hà Nội 100000
Phòng Khám Răng Hàm Mặt - Bs Đỗ Tiến Khanh 8.5 km 121 P. Đốc Ngữ, Vĩnh Phú, Ba Đình, Hà Nội
Trung Tâm Nghiên Cứu & Tư Vấn Phát Triển Khoa Học Kỹ Thuật 8.7 km 1 P. Liễu Giai, Liễu Giai, Ba Đình, Hà Nội
Phòng Chẩn Trị Y Học Cổ Truyền 9.8 km 4 P. Bùi Xương Trạch, Khương Đình, Thanh Xuân, Hà Nội
Công Ty Tnhh Dược Phẩm Việt Anh 10 km 20 Nguyễn Lương Bằng, Nam Đồng, Đống Đa, Hà Nội
Có thể bạn quan tâm
Được đăng bởi:
Trần Huyền
Trần Huyền