Tin đăng này đã hết hạn trên sosanhnha.com
Bạn có thể sử dụng công cụ tìm kiếm trên website để tìm những tin đăng mới nhất.
hoặc xem chi tiết tin
Có thể bạn quan tâm
Bán đất
Bán Lô đất Gần Khu Sân Vận động, Hoàng Quốc Việt, Quận 7. Dt: 5 X 12m, Giá 6.7 Tỷ Shr
6,7 tỷ
60m²
Đặc điểm
Mã tin
32895530
Cập nhật
21/06
Loại tin
Bán đất
Mức giá
6,7 tỷ
Diện tích
60m²
Địa chỉ
Đường Hoàng Quốc Việt, Phường Phú Mỹ, Quận 7, Hồ Chí Minh
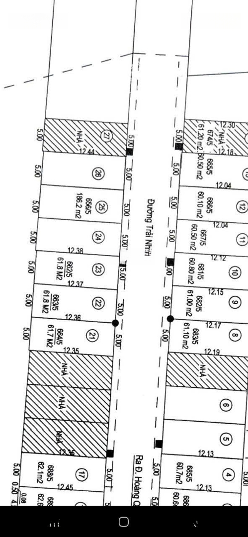
Cần bán lô đất nhà phố Khu sân vận đông, đường Hoàng Quốc Việt Quận 7.
- Diện tích: 5 x 12m.
- GPXD: Trệt 3 lầu.
- Khu xây dựng đồng bộ, KDC yên tĩnh, an ninh và đầy đủ tiện ích như, sân vận động quận, trường hoc TP Ngô Quyền, trường tiểu học Nguyễn văn Hưởng, siêu thị CoopMart, chợ và các siêu thị tiện ích khác,... Cách Phú Mỹ Hưng 5p đi xe.
- Pháp Lý: Sổ hồng riêng.
- Giá: 6,7 tỷ.
Liên hệ:
Hình ảnh
- Diện tích: 5 x 12m.
- GPXD: Trệt 3 lầu.
- Khu xây dựng đồng bộ, KDC yên tĩnh, an ninh và đầy đủ tiện ích như, sân vận động quận, trường hoc TP Ngô Quyền, trường tiểu học Nguyễn văn Hưởng, siêu thị CoopMart, chợ và các siêu thị tiện ích khác,... Cách Phú Mỹ Hưng 5p đi xe.
- Pháp Lý: Sổ hồng riêng.
- Giá: 6,7 tỷ.
Liên hệ:
Đặc điểm nổi bật
Diện tích :
60m2
Mặt tiền :
5m
Giá :
6,7 tỷ
Đường vào :
20m
Có thể bạn quan tâm
-
bán 4 lô đất hẻm xe hơi sát mặt tiền đường, huỳnh tấn phát q7, chỉ từ 7.xx tỷ
7,43 tỷ 64m² Đường Huỳnh Tấn Phát, Phường Phú Mỹ, Quận 7, Hồ Chí Minh
-
chính chủ bán gấp đất huỳnh tấn phát, quận 7, giá ngộp 7.4 tỷ, sổ sẵn công chứng. lh
7,4 tỷ 70m² Đường Huỳnh Tấn Phát, Phường Phú Mỹ, Quận 7, Hồ Chí Minh
-
chính chủ bán đất đường huỳnh tấn phát, giá 7.4 tỷ (4x17m) hẻm 1549 xe hơi vào nhà, cách htp 50m
7,4 tỷ 70m² Đường Huỳnh Tấn Phát, Phường Phú Mỹ, Quận 7, Hồ Chí Minh
-
bán 4 lô đất hẻm 1549/ htp q.7 - hẻm xe hơi vào tận nhà - cách đường huỳnh tấn phát 50m - sổ sẵn
7,49 tỷ 70m² Đường Huỳnh Tấn Phát, Phường Phú Mỹ, Quận 7, Hồ Chí Minh
-
hàng hiếm mặt tiền 1549 huỳnh tấn phát - sổ sẵn từng lô - xe hơi vô tận nhà -giá chỉ 7,49 tỷ
7,49 tỷ 70m² Đường Huỳnh Tấn Phát, Phường Phú Mỹ, Quận 7, Hồ Chí Minh
-
bán 4 lô đất 4x17m/lô hẻm 1549 htp q.7, xe hơi vào tận nhà, cách đường huỳnh tấn phát 50m
7,5 tỷ 70m² Đường Huỳnh Tấn Phát, Phường Phú Mỹ, Quận 7, Hồ Chí Minh