Tin đăng này đã hết hạn trên sosanhnha.com
Bạn có thể sử dụng công cụ tìm kiếm trên website để tìm những tin đăng mới nhất.
hoặc xem chi tiết tin
Có thể bạn quan tâm
Bán đất
Bán Lô đất Hẻm Hoàng Quốc Việt, Phú Thuận - 6m X 10m - 4,2 Tỷ Ko Qh - Ngay Phú Mỹ Hưng
4,2 tỷ
60m²
Đặc điểm
Mã tin
34194131
Cập nhật
10/12/2025
Loại tin
Bán đất
Mức giá
4,2 tỷ
Diện tích
60m²
Địa chỉ
Đường Hoàng Quốc Việt, Phường Phú Thuận, Quận 7, Hồ Chí Minh
Bán Gấp Lô Đất hẻm 3m Hoàng Quốc Việt, Phú Mỹ, Q7
Giá: 4.2 tỷ (TL)
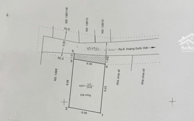
Diện tích: 6m x 10m.
Hiện trạng: Đất trống tiện xây dựng mới.
Khu dân cư hiện hữu, an ninh, yên tỉnh, dân trí cao, khu nhà cao tầng đồng bộ.
Pháp Lý: Sổ Hồng Riêng. Hỗ trợ vay ngân hàng.
Hình ảnh
Giá: 4.2 tỷ (TL)
Diện tích: 6m x 10m.
Hiện trạng: Đất trống tiện xây dựng mới.
Khu dân cư hiện hữu, an ninh, yên tỉnh, dân trí cao, khu nhà cao tầng đồng bộ.
Pháp Lý: Sổ Hồng Riêng. Hỗ trợ vay ngân hàng.
Đặc điểm nổi bật
Diện tích :
60m2
Mặt tiền :
6m
Giá :
4,2 tỷ
Đường vào :
3m
Có thể bạn quan tâm
-
bán đất 55m2 (4.2x13)_đường ôtô thông huỳnh tấn phát cạnh chợ phú thuận kế pmh quận 7 - chỉ 4tỷ350
4,35 tỷ 55m² Đường Huỳnh Tấn Phát, Phường Phú Thuận, Quận 7, Hồ Chí Minh
-
bán đất hẽm xe hơi cạnh chợ phú thuận dg cao thí chính, phường phú thuận quận 7. giá 3.9 ty
3,9 tỷ 52m² Đường Gò Ô Môi, Phường Phú Thuận, Quận 7, Hồ Chí Minh
-
lô đất vị trí đẹp tiện xây mới - căn hộ dịch vụ, khách sạn đều được - 4,5x19m sổ hồng giá 12,8 tỷ
12,8 tỷ 85m² Đường Huỳnh Tấn Phát, Phường Phú Thuận, Quận 7, Hồ Chí Minh
-
lô đất vị trí đẹp -mặt tiền hẻm 6m gò ô môi - đón đầu cầu phú mỹ 2 - 4,5m x 16m sổ hồng giá 7,55 tỷ
7,55 tỷ 72m² Đường Gò Ô Môi, Phường Phú Thuận, Quận 7, Hồ Chí Minh
-
đất đẹp 5x16m hoàng quốc việt quận 7 chỉ 9,99 tỷ. đường nhựa 10m. sổ riêng full thổ. hỗ ngân hàng
9,99 tỷ 80m² Đường Hoàng Quốc Việt, Phường Phú Thuận, Quận 7, Hồ Chí Minh
-
21 tỷ - khuôn đất 1314m2 vuông vức 26.7x49.2m hẻm xe tải huỳnh tấn phát quận 7 quy hoạch cao tầng
21 tỷ 1314m² Đường Huỳnh Tấn Phát, Phường Phú Thuận, Quận 7, Hồ Chí Minh