Tin đăng này đã hết hạn trên sosanhnha.com
Bạn có thể sử dụng công cụ tìm kiếm trên website để tìm những tin đăng mới nhất.
hoặc xem chi tiết tin
Có thể bạn quan tâm
Bán đất
Bán Lô đất Tây Nha Trang, Dt 63,2 M2, Ngang 8 M, đường 3 M, Sổ Hồng - Giá 2,39 Tỷ
2,39 tỷ
63.2m²
Đặc điểm
Mã tin
33297914
Cập nhật
14/08/2025
Loại tin
Bán đất
Mức giá
2,39 tỷ
Diện tích
63.2m²
Địa chỉ
Xã Vĩnh Hiệp, Nha Trang, Khánh Hòa
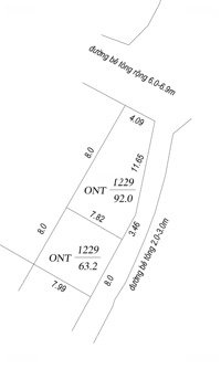
Bán 2 lô đất đẹp phường Tây Nha Trang.
Vị trí: Sát Khu đô thị Vĩnh Điềm Trung, hạ tầng đồng bộ, dân cư đông đúc, tiện ích đầy đủ.
- Lô 1: Diện tích: 63,2m² (ONT), ngang 8m vuông vức đẹp.
- Đường bê tông rộng 3m, ô tô tới nơi.
Giá bán: 2 tỷ 390 triệu.
- Lô 2: Diện tích: 92m² (ONT), ngang 4,09m, nở hậu 7,82m.
- Đường bê tông rộng 6m, ô tô tránh nhau.
Giá bán: 3 tỷ 990 triệu.
Pháp lý: Sổ hồng từng lô sang tên ngay.
Liên hệ: Huyền Nhung.
Hình ảnh
Vị trí: Sát Khu đô thị Vĩnh Điềm Trung, hạ tầng đồng bộ, dân cư đông đúc, tiện ích đầy đủ.
- Lô 1: Diện tích: 63,2m² (ONT), ngang 8m vuông vức đẹp.
- Đường bê tông rộng 3m, ô tô tới nơi.
Giá bán: 2 tỷ 390 triệu.
- Lô 2: Diện tích: 92m² (ONT), ngang 4,09m, nở hậu 7,82m.
- Đường bê tông rộng 6m, ô tô tránh nhau.
Giá bán: 3 tỷ 990 triệu.
Pháp lý: Sổ hồng từng lô sang tên ngay.
Liên hệ: Huyền Nhung.
Đặc điểm nổi bật
Diện tích :
63.2m2
Mặt tiền :
8m
Giá :
2,39 tỷ
Đường vào :
3m
Có thể bạn quan tâm
-
hàng hiếm - lô đất view trực diện sông tắc - hướng về thành phố bao đẹp.
- diện tích 116m2 ngang 5m
2,9 tỷ 116m² Xã Vĩnh Hiệp, Thành phố Nha Trang, Khánh Hòa
-
hàng hiếm - lô góc ngay cạnh kđt vĩnh điềm trung nha trang
4 tỷ 115.9m² Hẻm Đường Cầu Dứa - Phú Nông, Xã Vĩnh Hiệp, Nha Trang, Khánh Hòa
-
bán đất kèm nhà nghỉ doanh thu hàng tháng từ 60 - 70tr/th cạnh kđt vĩnh điềm trung, vĩnh hiệp, nt
8,5 tỷ 271m² Xã Vĩnh Hiệp, Nha Trang, Khánh Hòa
-
chủ kẹt tiền cần bán lô đất mặt tiền đường 23/10 vĩnh hiệp chỉ có 3 tỷ 850tr gần đường d30
3,85 tỷ 75m² Đường 23/10, Xã Vĩnh Hiệp, Nha Trang, Khánh Hòa
-
bán đất xã vĩnh hiệp đoạn gần 23/10 giá rẻ chỉ 1 tỷ 580
1,58 tỷ 85m² Xã Vĩnh Hiệp, Thành phố Nha Trang, Khánh Hòa
-
bán đất khu dân cư lộc phát 2 cạnh đường d30 phường tây nha trang
--------
diện tích : 60.3m2
1,85 tỷ 60m² Đường D30, Xã Vĩnh Hiệp, Nha Trang, Khánh Hòa