Tin đăng này đã hết hạn trên sosanhnha.com
Bạn có thể sử dụng công cụ tìm kiếm trên website để tìm những tin đăng mới nhất.
hoặc xem chi tiết tin
Có thể bạn quan tâm
Bán đất
Bán Lô đất Thổ Cư đường Bê Tông 7m Thông ấp đông 5, 5m X 21m, 4.5 Tỷ
4,5 tỷ
105m²
Đặc điểm
Mã tin
33521766
Cập nhật
12/09
Loại tin
Bán đất
Mức giá
4,5 tỷ
Diện tích
105m²
Địa chỉ
Đường Ấp Đông 5, Xã Thới Tam Thôn, Hóc Môn, Hồ Chí Minh
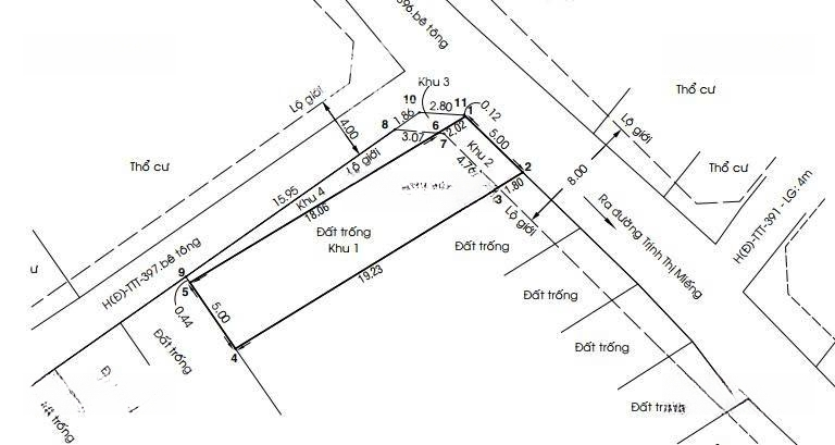
Bán đất thổ cư hẻm 7m Ấp Đông, Thới Tam Thôn, Hóc Môn. Ngay gần chợ Bắp
Dt: 5m x 21m
Giá: 4.5 tỷ
Hẻm xe tải thông ra Tô Ký. Cách Tô Ký 200m. Cách chợ Ba Bầu 250m
Xung quanh nhà kín, cao ráo, sạch sẽ
Xem đất vui lòng liên hệ: Mr Diệp
Hình ảnh
Dt: 5m x 21m
Giá: 4.5 tỷ
Hẻm xe tải thông ra Tô Ký. Cách Tô Ký 200m. Cách chợ Ba Bầu 250m
Xung quanh nhà kín, cao ráo, sạch sẽ
Xem đất vui lòng liên hệ: Mr Diệp
Đặc điểm nổi bật
Diện tích :
105m2
Mặt tiền :
5m
Giá :
4,5 tỷ
Đường vào :
7m
Có thể bạn quan tâm
-
đất đẹp ngang 7,3m bề thế - vị trí đỉnh - hẻm bê tông 7m thông - shr thổ cư 100%
6,5 tỷ 135m² Đường Tô Ký, Xã Thới Tam Thôn, Hóc Môn, Hồ Chí Minh
-
bán lô đất góc 2mt 5x23m, hẻm 4m, sát chợ thới tứ, vị trí cực đẹp, 2tỷ850tr, ttt, hóc môn
2,85 tỷ 115m² Đường Trịnh Thị Miếng, Xã Thới Tam Thôn, Hóc Môn, Hồ Chí Minh
-
bán gấp lô đất thổ cư 5 m x 20m xay dựng tự do đường ô tô 2/trung đông 7,thới tam thôn,hóc môn
3,5 tỷ 100m² Đường Trung Đông 7, Xã Thới Tam Thôn, Hóc Môn, Hồ Chí Minh
-
SIÊU PHẨM HIẾM – ĐẤT 2 MẶT TIỀN KD PHÙNG THỊ CHUYỆN – 226M² – GIÁ CHỈ 7.49 TỶ!
7,49 tỷ 226m² Thới tam Thôn Hóc Môn
-
hiếm: bán đất thổ cư 2 mặt tiền 10m có vỉa hè, diện tích lớn 178,9m2, có gpxd, giá nhỉnh 7 tỷ
7,4 tỷ 178.9m² Đường Nguyễn Thị Sáu, Xã Thới Tam Thôn, Hóc Môn, Hồ Chí Minh
-
chủ cần tiền bán gấp lô đất 1 sẹc đường đặng thúc vịnh, hóc môn 53m2 giá 1 tỷ 2 thương lượng. shr
1,2 tỷ 53m² Đặng Thúc Vịnh, Thới Tam Thôn, Hóc Môn, Hồ Chí Minh