Tin đăng này đã hết hạn trên sosanhnha.com
Bạn có thể sử dụng công cụ tìm kiếm trên website để tìm những tin đăng mới nhất.
hoặc xem chi tiết tin
Có thể bạn quan tâm
Bán đất
Bán Lô đất Trong Kcn Trà Nóc 2
33,67 tỷ
12949m²
Đặc điểm
Mã tin
33336469
Cập nhật
18/08/2025
Loại tin
Bán đất
Mức giá
33,67 tỷ
Diện tích
12949m²
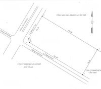
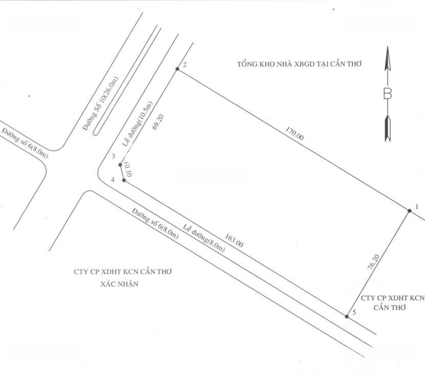
Địa chỉ
Lô 2.9A5, Đường Số 10, Phường Phước Thới, Ô Môn, Cần Thơ
Bán lô đất trong KCN Trà Nóc 2.
Hiện đã sẵn sàng cho bán.
- Diện tích kho bao gồm nơi để hàng + văn phòng, đầy đủ phòng làm việc.
- Kho nằm trong khu công nghiệp Trà Nóc II Cần Thơ.
- Thích hợp cho các doanh nghiệp mở rộng kho hàng hóa và nguyên vật liệu.
Địa chỉ kho xưởng: Lô 2.9A5, Đường số 10, KCN Trà Nóc II, Phường Phước Thới, Quận Ô Môn, Cần Thơ.
Bán Toàn bộ nhà xưởng và Văn Phòng chuyển nhượng đất.
Hình ảnh
Hiện đã sẵn sàng cho bán.
- Diện tích kho bao gồm nơi để hàng + văn phòng, đầy đủ phòng làm việc.
- Kho nằm trong khu công nghiệp Trà Nóc II Cần Thơ.
- Thích hợp cho các doanh nghiệp mở rộng kho hàng hóa và nguyên vật liệu.
Địa chỉ kho xưởng: Lô 2.9A5, Đường số 10, KCN Trà Nóc II, Phường Phước Thới, Quận Ô Môn, Cần Thơ.
Bán Toàn bộ nhà xưởng và Văn Phòng chuyển nhượng đất.
Đặc điểm nổi bật
Diện tích :
12949m2
Mặt tiền :
76.2m
Giá :
33,67 tỷ
Đường vào :
26m
Có thể bạn quan tâm
-
Bán Đất Kho Bãi Ô Môn, Cần Thơ – Mặt Tiền Đường Lớn, Giá 16 Tỷ
16 tỷ 3830m² Trương Văn Diễn, Phước Thới
-
bán 3000m2 cln odt đặng thanh sử, phước thới, ô môn, tp cần thơ
18 tỷ 3000m² Đường Đặng Thanh Sử, Phường Phước Thới, Ô Môn, Cần Thơ
-
ĐẤT VÀNG Ô MÔN, 3.830m² Mặt Tiền Lớn Trương Văn Diễn - Phù hợp Xây Xưởng, kho
16 tỷ 3830m² Trương Văn Diễn, Phước Thới
-
⭐Bán hoặc cho thuê đất mặt tiền tại đường Tôn Đức Thắng, Phường Phước Thới, TP.Cần Thơ, 0903912809
13 triệu/m² 3600m² 0903912809
-
đất đẹp - giá tốt - bán gấp lô đất tiềm năng đường tôn đức thắng, phường phước thới, tp cần thơ
50,4 tỷ 3600m² Phước Thới, Ô Môn, Cần Thơ
-
chính chủ bán đất thổ cư sẵn sổ mặt tiền trung tâm phước thới - ô môn
5 tỷ 1252.9m² Đường Trương Văn Diễn, Phường Phước Thới, Ô Môn, Cần Thơ