Tin đăng này đã hết hạn trên sosanhnha.com
Bạn có thể sử dụng công cụ tìm kiếm trên website để tìm những tin đăng mới nhất.
hoặc xem chi tiết tin
Có thể bạn quan tâm
Bán đất nền dự án
Bán Lô đất Xây Biệt Thự Kdc Biconsi Thuộc Tân Thắng Tân đông Hiệp, Hcm. Diện Tích: 393m2
12,5 tỷ
393m²
Đặc điểm
Mã tin
33334515
Cập nhật
18/08
Loại tin
Bán đất nền dự án
Mức giá
12,5 tỷ
Diện tích
393m²
Địa chỉ
Dự án Khu dân cư Biconsi, Phường Tân Bình, Dĩ An, Bình Dương
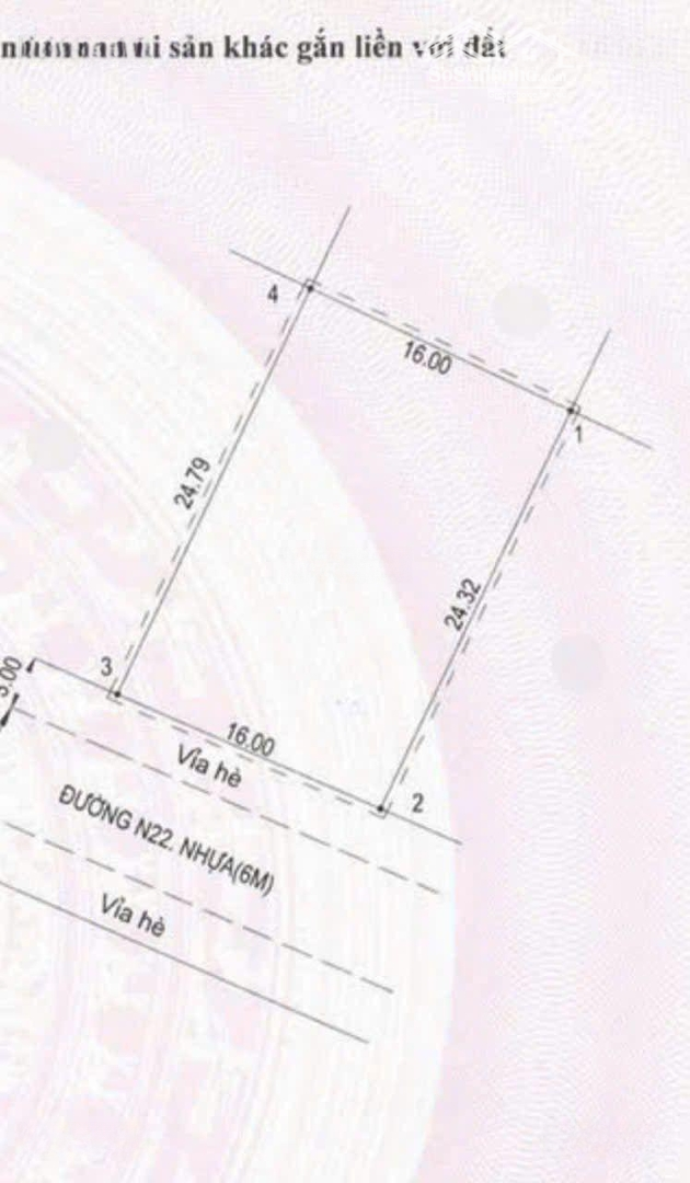
Bán lô đất xây biệt thự KDC Biconsi.
- Thuộc Tân Thắng Tân Đông Hiệp, HCM.
- Diện tích: 393m2, ngang 16m, thổ cư 100%.
- Đường nhựa thông, vỉa hè cây xanh mát mẻ.
- Hướng Tây Nam.
- Hỗ trợ ngân hàng cho khách cần.
Giá 12,5 tỷ còn thương lượng.
SDT
Hình ảnh
- Thuộc Tân Thắng Tân Đông Hiệp, HCM.
- Diện tích: 393m2, ngang 16m, thổ cư 100%.
- Đường nhựa thông, vỉa hè cây xanh mát mẻ.
- Hướng Tây Nam.
- Hỗ trợ ngân hàng cho khách cần.
Giá 12,5 tỷ còn thương lượng.
SDT
Đặc điểm nổi bật
Diện tích :
393m2
Mặt tiền :
16m
Giá :
12,5 tỷ
Có thể bạn quan tâm
-
bán đất dĩ an diện tích 80m2 mặt tiền đường nhự 9m giá chỉ 1ty250tr
1,25 tỷ 80m² Khu đô thị Đông Bình Dương, Nguyễn Thị Minh Khai, Tân Bình, Dĩ An, Bình Dương
-
cần bán dự án đông bình dương vị trí ngay công viên, trường cấp 1,2 chỉ 1,290 tỷ xây nhà ở ngay
1,29 tỷ 80m² Dự án Khu đô thị Đông Bình Dương, Đường Nguyễn Thị Minh Khai, Phường Tân Bình, Dĩ An, Bình Dương
-
chính chủ gửi cần bán lô đất đừng d7-kdc biconsi- p. tân bình- tp dĩ an- bd ( nay là tp hcm)
Liên hệ 121m² Khu dân cư Biconsi, Đường D7, Phường Tân Bình, Dĩ An, Bình Dương
-
đất dĩ an, tphcm giá đầu tư cực tốt dự án đông bình dương - tp. dĩ an
Liên hệ 80m² Dự án Khu đô thị Đông Bình Dương, Đường Nguyễn Thị Minh Khai, Phường Tân Bình, Dĩ An, Bình Dương
-
bán đất kdc lê phong p. tân bình - dĩ an - đường 13 m 4x18m 72m2 full thổ cư - 3,55 tỷ
3,55 tỷ 72m² Khu dân cư Tân Bình, Đường Lê Hồng Phong, Phường Tân Bình, Dĩ An, Bình Dương
-
mặt tiền huỳnh thị tươi bicosi diện tích 368m2 thổ cư full 16x23, đường nhựa 12m kinh doanh đa
13,6 tỷ 368m² Dự án Khu dân cư Biconsi, Đường Huỳnh Thị Tươi, Phường Tân Bình, Dĩ An, Bình Dương