Tin đăng này đã hết hạn trên sosanhnha.com
Bạn có thể sử dụng công cụ tìm kiếm trên website để tìm những tin đăng mới nhất.
hoặc xem chi tiết tin
Có thể bạn quan tâm
Bán đất
Bán Lô Góc 2 Mặt Tiền đường Lê đức Thọ Ngang 30m
60,13 tỷ
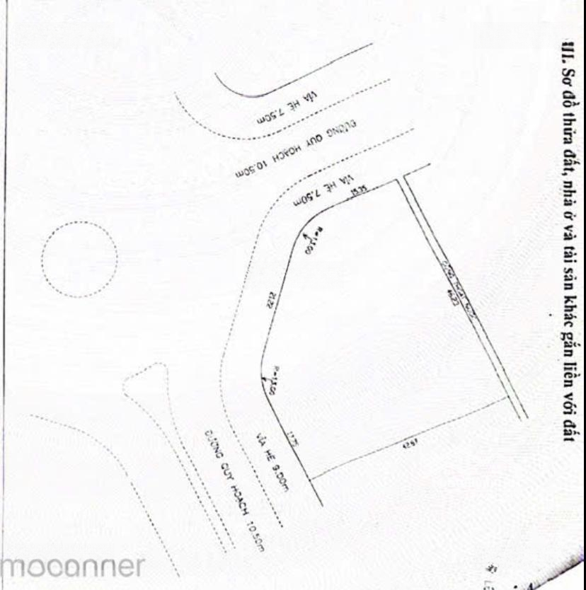
1718m²
Đặc điểm
Mã tin
33307710
Cập nhật
15/08
Loại tin
Bán đất
Mức giá
60,13 tỷ
Diện tích
1718m²
Địa chỉ
Đường Lê Đức Thọ, Phường Thọ Quang, Sơn Trà, Đà Nẵng
Bán lô góc 2 mặt tiền đường Lê Đức Thọ ngang 30m.
1. DT: 1718m2 ngang 30m. Giá 3x triệu/m2.
2. DT: 840m2 ngang 30m. Giá 4x triệu/m2.
Quý khách hàng quan tâm liên hệ em Phú để xem và làm việc.
Hình ảnh
1. DT: 1718m2 ngang 30m. Giá 3x triệu/m2.
2. DT: 840m2 ngang 30m. Giá 4x triệu/m2.
Quý khách hàng quan tâm liên hệ em Phú để xem và làm việc.
Đặc điểm nổi bật
Diện tích :
1718m2
Mặt tiền :
30m
Giá :
60,13 tỷ
Có thể bạn quan tâm
-
Cần bán lô đất kiệt Võ Duy Ninh - Sơn Trà ⭐⭐⭐⭐
4,55 tỷ 89m² Võ Duy Ninh
-
bán đất tặng nhà c4 kiệt ngô quyền, phường sơn trà, tp. đà nẵng (vị trí gần chợ chiều)
3,6 tỷ 70m² Đường Ngô Quyền, Phường Thọ Quang, Sơn Trà, Đà Nẵng
-
chính chủ bán đất kiệt ô tô 5m nguyễn phan vinh , phường sơn trà ( gần chợ & gần biển )
4,9 tỷ 72m² Đường Nguyễn Phan Vinh, Phường Thọ Quang, Sơn Trà, Đà Nẵng
-
đất biển, tiềm năng tăng giá mạnh, gần cầu, chợ mân thái, 130m2 mặt tiền lý nhật quang, chỉ 10.3 tỷ
10,3 tỷ 130m² Đường Lý Nhật Quang, Phường Thọ Quang, Sơn Trà, Đà Nẵng
-
bán lô đất đường nguyễn lâm, khu đầu tuyến sơn trà
8,6 tỷ 100m² Đường Nguyễn Lâm, Phường Thọ Quang, Sơn Trà, Đà Nẵng
-
bán lô góc 2 mặt tiền thành vinh 2 giao thành vinh 5, 240m2, gần biển siêu vip giá tốt đầu tư
30 tỷ 240m² Đường Thành Vinh 2, Phường Thọ Quang, Sơn Trà, Đà Nẵng