Tin đăng này đã hết hạn trên sosanhnha.com
Bạn có thể sử dụng công cụ tìm kiếm trên website để tìm những tin đăng mới nhất.
hoặc xem chi tiết tin
Có thể bạn quan tâm
Bán đất nền dự án
Bán Lô Góc 2 Mặt Tiền Khu Nhà ở Tuấn điền Phúc Giá Chỉ 1tỷ5 Cọc
1,5 tỷ
89.5m²
Đặc điểm
Mã tin
33935274
Cập nhật
04/11/2025
Loại tin
Bán đất nền dự án
Mức giá
1,5 tỷ
Diện tích
89.5m²
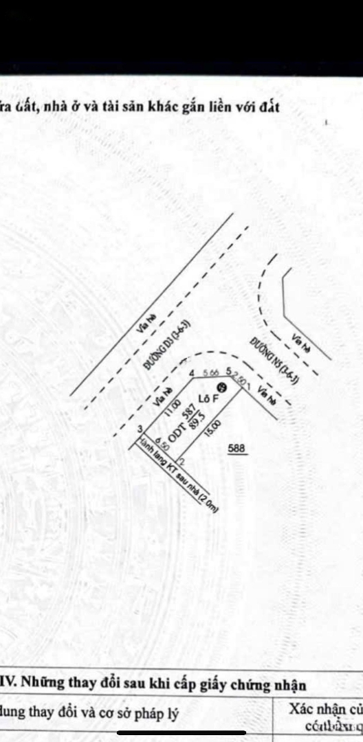
Địa chỉ
Khu nhà ở Tuấn Điền Phúc, Đường ĐT 742, Xã Vĩnh Tân, Tân Uyên, Bình Dương
Khu nhà ở Tuấn Diền Phúc gần cổng VSip2 , sát đường DT742
Vị trí nằm trên trục đường chính
diện tích 89,5m2 full thổ cư.
Giá chỉ 1tỷ5 cọc
Hình ảnh
Vị trí nằm trên trục đường chính
diện tích 89,5m2 full thổ cư.
Giá chỉ 1tỷ5 cọc
Đặc điểm nổi bật
Diện tích :
89.5m2
Mặt tiền :
6.5m
Giá :
1,5 tỷ
Đường vào :
6m
Có thể bạn quan tâm
-
bán lô đất mặt tiền đường 33 vsip2 mở rộng, cách vòng xoay đường dân chủ 70m
3,1 tỷ 150m² Dự án VSIP2 mở rộng, Đường 33, Xã Vĩnh Tân, Tân Uyên, Bình Dương
-
bán lô đất ngay vòng xoay mặt tiền đường vành đai 4 vsip 2a. 15x32m giá 12,5tỷ
12,5 tỷ 465m² IJC@VSIP, Đường Vành Đai 4, Xã Vĩnh Tân, Tân Uyên, Bình Dương
-
bán đất tại ngay tân hiệp, tân uyên, bình dương giá bán 1 tỷ 470 triệu vnd, 76,5m2 giá ưu đãi
1,47 tỷ 76.5m² Dự án KDC Tuấn Điền Phát, Đường N7, Xã Vĩnh Tân, Tân Uyên, Bình Dương
-
cần bán gấp trước tết lô 86m kdc tuấn điền phúc, giá 1 tỷ 260 (thương lượng)
1,26 tỷ 86m² Khu nhà ở Tuấn Điền Phúc, Đường ĐT 742, Xã Vĩnh Tân, Tân Uyên, Bình Dương
-
chinh chủ bán đất vsip2 mở rộng, 3,1 tỷ, 150m2, có dãy trọ đang cho thuê 12tr/tháng. lh
3,1 tỷ 150m² VSIP2 mở rộng, Đường D8, Xã Vĩnh Tân, Tân Uyên, Bình Dương
-
bán đất nền dự án kdc tuấn điền phát, 1,42 tỷ, 72m2, ở vĩnh tân, tân uyên, bình dương
1,42 tỷ 72m² Khu dân cư Tuấn Điền Phát, DH409, Vĩnh Tân, Tân Uyên, Bình Dương