BÁN NHÀ 110m² SẴN DÒNG TIỀN 28 Triệu/Tháng - Nguyễn Thiện Thuật, Bình Thạnh - Giá 9.9 Tỷ Thương Lượng
9,9 tỷ
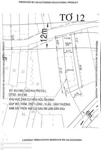
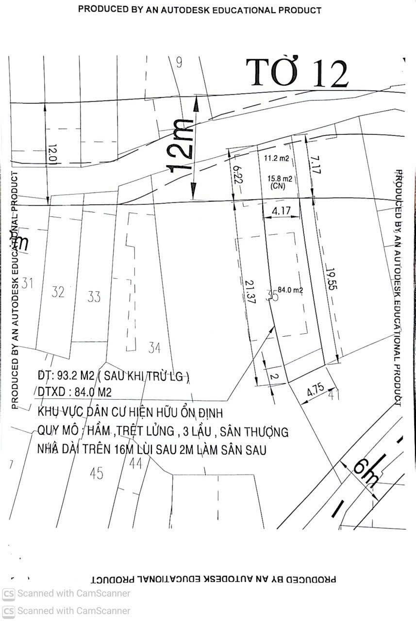
110m²
Đặc điểm
Mã tin
34163681
Cập nhật
03/12/2025
Loại tin
Bán nhà riêng
Mức giá
9,9 tỷ
Diện tích
110m²
Địa chỉ
Nguyễn Thiện thuật,Phố Nguyễn Thiện Thuật, Quận Bình Thạnh, Hồ Chí Minh
BÁN NHÀ 110m² SẴN DÒNG TIỀN 28 Triệu/Tháng - Nguyễn Thiện Thuật, Bình Thạnh - Giá 9.9 Tỷ Thương Lượng️
Bán nhà Nguyễn Thiện Thuật, Phường 24, Quận Bình Thạnh. HĐT 28tr/tháng.
Diện tích: 4x27m, CN 110m². Khu vực an ninh, dân trí cao.
Kết cấu: Trệt, Lầu, 8 phòng đang cho thuê.
Tiện ích: Gần chợ Bà Chiểu, kế bên Công An Phường, bán kính 500m trường mầm non, cấp 1, cấp 2, trường Cao đẳng nghề, chợ Huỳnh Đình Hai, cửa hàng tiện lợi, quán ăn đầy đủ các món...
Vị Trí: Ngay trung tâm Quận Bình Thạnh, kết nối các tuyến đường Phan Văn Trị, Bùi Đình Tuý, Huỳnh Đình Hai, Lê Quang Định, Bạch Đằng, gần Trần Văn Kỷ, Phan Bộu Châu...
Sổ hồng chuẩn chỉnh, công chứng trong ngày
Giá: 9.9 Tỷ Thương lượng chính chủ!
Zalo em Huyền hỗ trợ tìm nhà với chi phí hợp lí nhất!
Hình ảnh
Bán nhà Nguyễn Thiện Thuật, Phường 24, Quận Bình Thạnh. HĐT 28tr/tháng.
Diện tích: 4x27m, CN 110m². Khu vực an ninh, dân trí cao.
Kết cấu: Trệt, Lầu, 8 phòng đang cho thuê.
Tiện ích: Gần chợ Bà Chiểu, kế bên Công An Phường, bán kính 500m trường mầm non, cấp 1, cấp 2, trường Cao đẳng nghề, chợ Huỳnh Đình Hai, cửa hàng tiện lợi, quán ăn đầy đủ các món...
Vị Trí: Ngay trung tâm Quận Bình Thạnh, kết nối các tuyến đường Phan Văn Trị, Bùi Đình Tuý, Huỳnh Đình Hai, Lê Quang Định, Bạch Đằng, gần Trần Văn Kỷ, Phan Bộu Châu...
Sổ hồng chuẩn chỉnh, công chứng trong ngày
Giá: 9.9 Tỷ Thương lượng chính chủ!
Zalo em Huyền hỗ trợ tìm nhà với chi phí hợp lí nhất!
Có thể bạn quan tâm
-
(chdv víp) bạch đằng, gần hàng xanh, điện biên phủ, 106m, mặt đường 5m thông, chỉ 14.99 tỷ.
14,99 tỷ 106m² Đường Bạch Đằng, Phường 24, Bình Thạnh, Hồ Chí Minh
-
(giảm sâu)- chdv - hxh - bùi đình tuý - p24 - q.bình thạnh - 10pn - 10wc- giá chỉ 11 tỷ.
11 tỷ 116m² 10 Đường Bùi Đình Túy, Phường 24, Bình Thạnh, Hồ Chí Minh
-
chủ cần tiền chịu lỗ bán giá 3 tỷ 400 triệu tại quận bình thạnh, xvnt. dt 70,5m2, shr, thuê 25triệu
3,4 tỷ 70.5m² 4 Đường Xô Viết Nghệ Tĩnh, Phường 24, Bình Thạnh, Hồ Chí Minh
-
(hiếm) mặt tiền kinh doanh hẻm xe tải, ngay ngã tư hàng xanh, 100m tiện xây mới làm chdv, chỉ 12ty.
12 tỷ 100m² Đường Bạch Đằng, Phường 24, Bình Thạnh, Hồ Chí Minh
-
hàng hiếm bùi đình túy! nhà 4tầng mới nội thất cao cấp 4x14m hẻm xe hơi tới nhà có hđ thuê
8,1 tỷ 56m² 4 Đường Bùi Đình Túy, Phường 24, Bình Thạnh, Hồ Chí Minh
-
bán nhà hxh sát mặt tiền bùi đình tuý,quận bình thạnh gần phú nhuận 42m2 _3 tầng 4x11 chỉ 4,7 tỷ tl
4,7 tỷ 42m² 3 Đường Bùi Đình Túy, Phường 24, Bình Thạnh, Hồ Chí Minh