Tin đăng này đã hết hạn trên sosanhnha.com
Bạn có thể sử dụng công cụ tìm kiếm trên website để tìm những tin đăng mới nhất.
hoặc xem chi tiết tin
Có thể bạn quan tâm
Bán nhà riêng
Bán Nhà Bình Thạnh, Nhà Hẻm Xe Hơi đường điện Biên Phủ - Hàng Xanh, 117m2, Giá Bán 13,9 Tỷ Tl
13,9 tỷ
117m²
Đặc điểm
Mã tin
33964750
Cập nhật
07/11/2025
Loại tin
Bán nhà riêng
Mức giá
13,9 tỷ
Diện tích
117m²
Phòng ngủ
3 phòng ngủ
Địa chỉ
Đường Điện Biên Phủ, Phường 25, Bình Thạnh, Hồ Chí Minh
Chính chủ cần bán căn nhà cấp 4 hẻm xe hơi đường Điện Biên Phủ ngay ngã tư Hàng Xanh, phường 25, quận Bình Thạnh
Vị trí tuyệt đẹp, nhà trong khu phố lịch sự, an ninh, yên tĩnh, cách đường chính chỉ 30m, giáp quận 1, quận 2, ngay các Trường Đại Học lớn rất thích hợp xây làm Căn hộ cho thuê
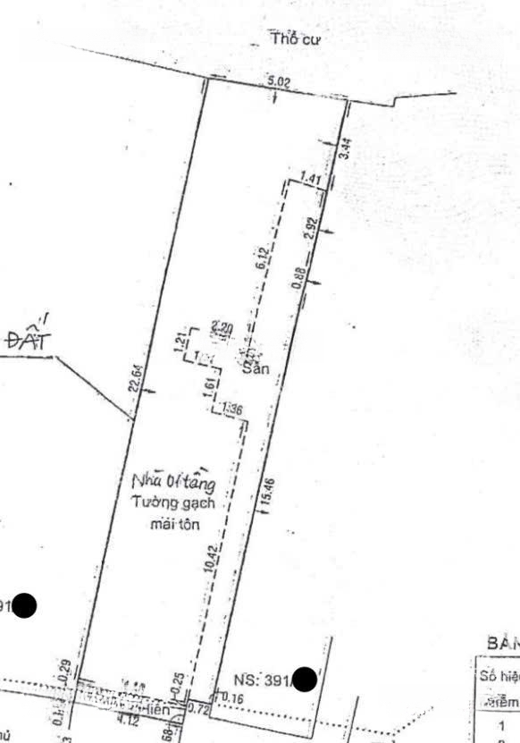
Diện tích công nhận: 117m2 (5m x 23,3m)
Hiện trạng nhà cấp 4 thuận tiện xây mới, khu vực được xây 6 tầng
Giá bán: 13,9 tỷ (TL)
Xem nhà và có giá tốt nhất vui lòng liên hệ Mr.Hiệp chuyên nhà đẹp giá tốt, hỗ trợ pháp lý miễn phí
Nhà bán ngay khu Hàng Xanh cạnh quận 1, giao thông thuận tiện, giá m2 dưới 120 triệu/m2 với chiều ngang 5m cũng là lựa chọn tối ưu cho nhà Đầu tư xây CHDV cho thuê
Hình ảnh
Vị trí tuyệt đẹp, nhà trong khu phố lịch sự, an ninh, yên tĩnh, cách đường chính chỉ 30m, giáp quận 1, quận 2, ngay các Trường Đại Học lớn rất thích hợp xây làm Căn hộ cho thuê
Diện tích công nhận: 117m2 (5m x 23,3m)
Hiện trạng nhà cấp 4 thuận tiện xây mới, khu vực được xây 6 tầng
Giá bán: 13,9 tỷ (TL)
Xem nhà và có giá tốt nhất vui lòng liên hệ Mr.Hiệp chuyên nhà đẹp giá tốt, hỗ trợ pháp lý miễn phí
Nhà bán ngay khu Hàng Xanh cạnh quận 1, giao thông thuận tiện, giá m2 dưới 120 triệu/m2 với chiều ngang 5m cũng là lựa chọn tối ưu cho nhà Đầu tư xây CHDV cho thuê
Đặc điểm nổi bật
Diện tích :
117m2
Giá :
13,9 tỷ
Số tầng :
1 tầng
Phòng ngủ :
3 phòng
Phòng tắm :
2 phòng
Có thể bạn quan tâm
-
bán nhà xô viết nghệ tĩnh, bình thạnh, dt 3.3x12m, 3 tầng, 4pn, mới full nội thất, ở liền - 5.68 tỷ
5,68 tỷ 39.6m² Đường Xô Viết Nghệ Tĩnh, Phường 25, Quận Bình Thạnh, Hồ Chí Minh
-
bán nhà đường xô viết nghệ tĩnh, phường 25, quận bình thạnh, 2 tầng, 3pn 2wc, dtsd 34,4m2, 3 tỷ 650
3,65 tỷ 17.2m² 2 Đường Xô Viết Nghệ Tĩnh, Phường 25, Quận Bình Thạnh, Hồ Chí Minh
-
hẻm xe hơi - ung văn khiêm p25 - nhà 3 tầng 117m2 (4.2mx28m) - dòng tiền 50tr /th - xây mới 7tầng
14,95 tỷ 117m² 7 Đường Ung Văn Khiêm, Phường 25, Quận Bình Thạnh, Hồ Chí Minh
-
bán nhà xây 2 tầng - đường nguyễn văn thương - giá 6.7 tỷ
6,7 tỷ 37m² 3 Đường Nguyễn Văn Thương, Phường 25, Quận Bình Thạnh, Hồ Chí Minh
-
bình thạnh hẻm xe hơi khuvip xô viết nghệ tĩnh 2 chiều- 4 tầng hđ thuê ~ 35tr/th
8,5 tỷ 50m² Đường Xô Viết Nghệ Tĩnh, Phường 25, Quận Bình Thạnh, Hồ Chí Minh
-
siêu phẩm - bán nhà nguyễn gia trí(d2), p25, bình thạnh. 4.5x18m(84.3m2) - 5 tầng - giá: 19 tỷ
19 tỷ 84.3m² Đường Nguyễn Gia Trí, Phường 25, Quận Bình Thạnh, Hồ Chí Minh